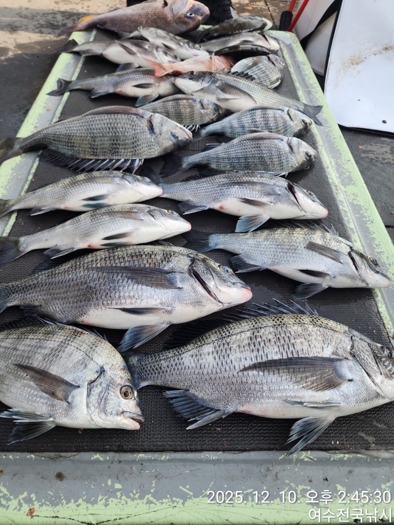
마릿수 감성돔....!!
● 출발지: 여수 신월항
● 목적지: 금오열도
● 대상어종:
● 비용: 10 만원
#출조공지
안녕하세요?
마초맨 박진국입니다.
9일(수요일) 출조는 금오열도 선상출조,
모처럼 날씨가 좋아 거문도로 잡았으나
출조인원 부족으로 금오열도로
(선상낚시)로만 출조합니다.
●포인트:금오도 신선대,직포에서 선상낚시
즐겨 보도록 할 예정입습니다.
점차적으로 40cm 감성돔 씨알이
좋아지고 있습니다.
●또한 선상낚시 비용은 밑밥+미끼 포함
(100.000)원으로 모시고 있습니다.
●커피,생수 지급합니다,
●단,식사는 개인 지참입니다.
따뜻한 물은 준되어 있습니다.
●물때에따라(들물과 날물) 포인트 이동은
두번 원칙으로 합니다.
또한 입질이 없을시 상의해서 포인트 이동
●(선상낚시)단체출조 환영합니다.
●갯바위(단체출조)환영합니다
출조문의 부탁 드립니다.
여수전국낚시: 010 3608 6131






















