가을과 겨울 공존하는 역만도 살감시 마리수

신상품 소개


회원 랭킹


공지사항


NaverBand
낚시인 > 번개조황

가을과 겨울 공존하는 역만도 살감시 마리수

61 미스타스텔론 42 2,485 2022.12.21 09:11

그지난주 12월초 삼총사 청산도 달랑 한미리 숭어랑 복수장소로 1주간에 화요일만 날씨 좋아 덩치들이 꿈틀거릴 것 같은 역만도를 결정해 봅니다.


김치 떨어져 숭어에게 김치 준비 난 보온밥통 2개 싸고 00:30 수완동 미팅, 숭어차로 나로도로 고고,  집에 남아있는 감성천하 2봉 들고 가는길 우주낚시점 크릴5장과 비벼달라고 합니다,  크릴값도 올랐네요,  그놈의 푸틴 악마때문에,  미끼는 청거시와 생크릴


03:00 도착, 아직 문 안연 등대지기,  저멀리 청호레저배 시동걸고 잠시후 출항하니 역만도 포인트가 걱정됩니다. 

낚시복 입고 차에 있으니 불어 켜진 가게 들어가 명부적고 유자차 한잔 마시고 탑승 04시 출항 손죽도 패스, 1시간후 역만도 도착, 휜여 한 분 내리고 서쪽으로 가면서 몇팀 내리고 우릴 부릅니다. 보찰여 못가서 호텔자리라고 합니다. 


바칸 물 채우고 1호 전자찌 날리니 발앞 10M 걸리고,  10M권 지나면 안걸려 볼락은 안나옵니다. 

좌측 남쪽 보찰여방향에서 여명의 기운이 솟아 오릅니다.  앞에는 거문도 소삼부도 대삼부도 실루엣이 우측으로는 초도와 원도 장도가 보여줍니다. 

862ba598d001ab5b33f01b15045f43a1_1671579231_9557.jpg
좌 남쪽 보찰여방향 간조때 10~13m 수심층 뻘물색 홈통 집어가 되어 살감시는 많으나 덩치는 아직입니다. 

수심 13m 지점은 홍통 중앙으로 가장 깊습니다. 이 붉은색(적) 바위섬 적만도가 역만도로 명칭이 변경됐다고 합니다. 바위에 철 성분이 많아 오랫동안 비로 산회되어 이렇게 붉게 변화되어서. 
862ba598d001ab5b33f01b15045f43a1_1671579253_4673.jpg

장도,다라지도, 원도,초도 방향 모습  포인트 호텔자리라 그런지 호텔같이 평편하고 좋네요, 우측 곶부리에서 좌로 썰물 흐르고 간조후 들물에도 같은 방향으로 흘러 이상한 포인트나 조류가 동일방향 좋은 포인트로 기억될 것 같습니다. 사리때는 피하고 조금때 10m 수심 초도방향이 좋고 물에 세지면 12~13m권 홈통을 공략하면 좋습니다. 


새벽 홈통에서 낚시하다 날이 새자 초도방향에서 하니 첫 쏨뱅이가 인사를 하고 노래미, 복어 등등 

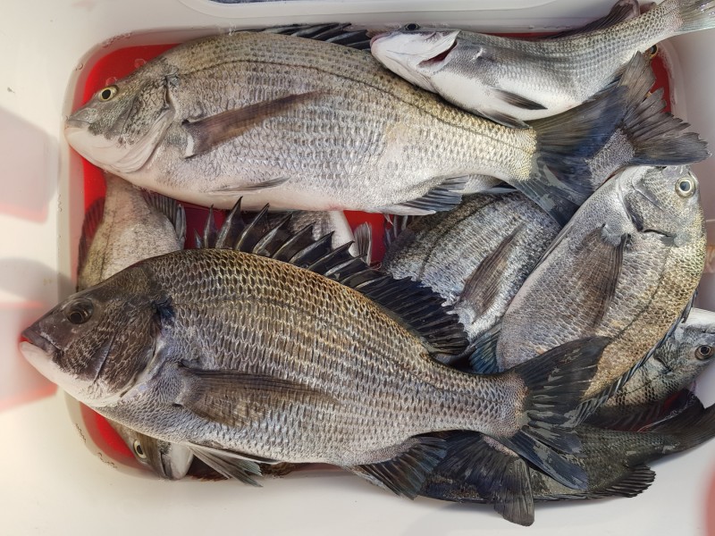
08시 드뎌 감생이가 얼굴 보이고 30분에 하나씩 보이고 뜰채질과 들어뽕을 반복합니다. 3호바늘 10여 복어가 먹어치우고 4호바늘로 해도 감시는 잘 옵니다. 

아침도 안먹고 숭어가 싸온 모시송편 들고 먹으면서 집중낚시 ㅎㅎㅎ, 숭어도 같이 합류하고 드뎌 한 수 합니다.  15cm 나비 방생부터 4짜 덩치까지 골고루 9수나 됩니다.  10시 늦은 아침에 막걸리는 기본입니다. 

숭어는 새로 감은 원줄 는슨하게 감았는지 스풀이 씹어먹어 푸는데 또 찌 채비하는데 시간 다 소비해 버립니다.  

862ba598d001ab5b33f01b15045f43a1_1671579656_5601.jpg
4짜초 2수, 살감시7, 잡어(쏨뱅이,노래미,망상어,복어), 학선생


새벽 시작한 청거시로 떨어질 때까지 사용하고 그후 크릴 사용 딱 한미리 후 철수시간이 됩니다.

청거시는 입주위에 걸려 바늘 빼고 다시 낚시하였고 크릴은 삼켜 목줄 자르고 

14시 거문도 선상팀 철수, 14:20 우리 철수, 마지막 휜여에서 5짜와 4짜후 덩치들이 나와 다행입니다.


귀항길 곡두여 지나 엔진소리 줄어들어 나중에 알아보니  나로다~손죽도길 여객선 항로에 김양식장 불법으로 설치 장애물이 되고 있다고 합니다.  

862ba598d001ab5b33f01b15045f43a1_1671579709_09.jpg
광주도착 용산동 퇴근시간 밀리고 풍암동도 지체, 포로시 18:10 동천동 회집 도착(고흥서 밟으니 딱 2시간 소요). 

뒤풀이 복어 불러 한사라, 한사라는 퇴근하는 딸과 귀가 와이프에 바치고


862ba598d001ab5b33f01b15045f43a1_1671579726_902.jpg
지리에 살감시 구이 한마리씩 뜯고 나머진 회집 사징님께 드립니다.  빌리어드 스포츠할 시간없고 호프 한잔 하고 있으니 퇴근하는 딸 도착 귀가

12월말 가족송년 아들과 회감장만 첫 출조약속 1물인데 여수, 고흥, 완도 어디가 좋을까요? 




5

좋은 글이라고 생각되시면 "추천(좋아요)"을 눌러주세요!


  • 페이스북으로 보내기
  • 트위터로 보내기
  • 구글플러스로 보내기
  • 카카오스토리로 보내기
  • 네이버밴드로 보내기
  • 네이버로 보내기
  • 텀블러로 보내기
  • 핀터레스트로 보내기
42 댓글
1 수도조사 22-12-22 16:53 0  
▶작성자 본인에 의해 삭제된 댓글입니다.(삭제일시 : 2022-12-22 16:53:23)
1 수도조사 22-12-22 16:53 0  
항상 어복 가득하세요

축하합니다! 행운의 바늘에 당첨! 111점 적립되었습니다!

2 노란케미 22-12-22 19:04 0  
대단하십니다........
완전 부럽네요
살감생이라도 구경이라도 했으면...........
61 미스타스텔론 22-12-23 12:28 0  

저연의 섭리 법착이 깨지면 인간의 삶이 불편해질까 걱정입니다.
8 허니파파 22-12-23 10:48 0  
간만에 보는 스텔론님 마릿수 조황이네요.
진심 감축드립니다.
이번 시즌엔 꼭 5짜 잡아내시길 인천 쌍둥이아빠가 응원합니다~^^
22 절대낚수마니아 22-12-26 10:25 0  
감시회 땟깔이 완죤끝내주십니다 ㅎ
손맛축하드립니다
61 미스타스텔론 22-12-27 08:43 0  

여기 단골회집에서는 회집외 고기(저의 모임에서 잡아온 고기만) 저렴한 상치림값으로 회와 지리 해줍니다. 껍질 벗기는 자동기계로 하다보니 감성돔 특유의 선홍빛 이쁜 땟깔이 부족한 편입니다.
59 폭주기관차 22-12-26 13:56 0  
뻘물이 보이는데 그래도 잘 되나봅니다.
축하드립니다.^&^
잘 보았네요

축하합니다! 행운의 바늘에 당첨! 478점 적립되었습니다!

61 미스타스텔론 22-12-27 08:45 0  

 갯바위 근처만 뻘물이 흘렀어도 자원이 많아서인지 마리수로는 역만도낚시 처음입니다.
 
b_hot_innakmall_200x80_240307.jpg b_hot_nios_200x80.gif b_hot_ggsusan_hongeu_160x100.gif b_hot_innakmall_200x80_211203.gif
포토 제목
 

인낚 최신글


인낚 최신댓글


온라인 문의 안내


월~금 : 9:00 ~ 18:00
토/일/공휴일 휴무
점심시간 : 12:00 ~ 13:00