앗싸조법 (싹쓸이)

신상품 소개


회원 랭킹


공지사항


NaverBand
낚시인 > 번개조황

앗싸조법 (싹쓸이)

2 백리 3 2,354 2024.03.03 04:16



친구야 ?
응 ~

찌 보이나 ?
감각으로 하면 되지 ^^

오늘은  앗싸 !  앗싸 !  하지마라
.......   .......
.......    .......

앗싸 ?  입찔한다 ??
빤다 ???
앗싸 !!
낚시대는 크게휘는데 요동이 없다 ;;

설마  설마  설마  ;;

앗싸 !!  소주  두병짜리  홍삼이다  ;;;
억구로 큰데 해삼인지 홍삼인지
견제 해서 잡았다나  어쨌다나  ㅎㅎㅎ

해삼은 빨고  홍삼은 견적해야 잡는다 ?
좋은것 많이 배웁니다 ㅎㅎㅎ

앗싸 !!
요번에는 대가 크게 휩니다 ???
꾹꾹은 아닌데 ???

앗싸 !!!
농어다  앗싸 !!  소주 5병  ㅎㅎㅎ

앗싸 !! 기분좋다  앗싸 !!
앗싸  또 빤다  앗싸

앗싸  !!  앗싸 가오리 뎃빠이크다
미  ~~ 챠  앗싸!!
앗싸가 앞전날  하고  재현하는 것 같다 ㅎㅎ

앗싸 !!   앗싸  가오리는 소주 반박스다 ㅋ
앗싸 !!  기분 째진다  ^^
앗싸  !!  ㅎㅎㅎㅎ

그넘의 일기예보는 왜그리 안맞는지
돌풍 바람에 투들투들 하는데
친구 또  앗싸 !!  한다 ??

앗싸 !!  망상어 새끼다 ㅎㅎㅎ

친구낚시 하는 자세 가만히 처다보니
기가 찹니다 ㅎㅎ

누가보면  초보중에 왕초보 낚시 기법을
하고 있습니다 ㅎㅎ

초릿대 물속에 처박고  어신찌 수중2~3M
앗싸 !!
잡아냅니다  감성돔  ㅎㅎㅎ

눈빛이 틀립니다 남들이 보면 어정쩡한 자세지만 ㅎㅎ

양발끝을 세우고  한가락 바람도  계산
하면서 물속고기 예상  먹이쟁탈을
그려내며 잡습니다 ^^

앗싸 !!
우리 친구 낚시잘한다 ㅎㅎㅎ

이번에 마음먹고 야구공만한 어신찌
만들어 학공치 1타 2피로 학공치
대구리 맞추는 신공을 친구 한테
보여 줍니다 ㅎㅎ

나두
앗싸  2피다   앗싸 3피  ㅎㅎ
망치자루 만한 학공치가 어신찌에
맞고 골로갑니다 ㅎㅎ

둘이 앗싸  몇번 타니까 대상어 10수
넘습니다 ^^
앗싸 !! 바람터져  연날리기식  낚시조법이다
ㅎㅎㅎㅎ

앗싸  !!
문어 통발  살림망 하니 좋타이 ㅎㅎㅎ
빵이좋아 40전후도 꽉찬다
앗싸 !!
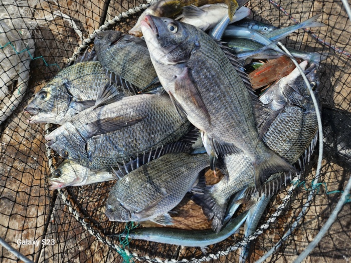
배불러라 이곳  싹쓸이 했다 아이가

앗싸 !!  ㅎㅎㅎㅎㅎ
ㅎㅎㅎㅎㅎㅎㅎㅎㅎ
c67fc7c4_01707989698196.jpg
7f6938c7_01707989700226.jpg
m_cam.gif
nof_101x.gif
Share on Facebook    kas.png    kat.png    밴드공유
0

좋은 글이라고 생각되시면 "추천(좋아요)"을 눌러주세요!


  • 페이스북으로 보내기
  • 트위터로 보내기
  • 구글플러스로 보내기
  • 카카오스토리로 보내기
  • 네이버밴드로 보내기
  • 네이버로 보내기
  • 텀블러로 보내기
  • 핀터레스트로 보내기
3 댓글
 
b_hot_innakmall_200x80_240307.jpg b_hot_nios_200x80.gif b_hot_ggsusan_hongeu_160x100.gif b_hot_innakmall_200x80_211203.gif
포토 제목
 

인낚 최신글


인낚 최신댓글


온라인 문의 안내


월~금 : 9:00 ~ 18:00
토/일/공휴일 휴무
점심시간 : 12:00 ~ 13:00