라온피싱 무안감시와 쭈꾸미 동시낚시

신상품 소개


회원 랭킹


공지사항


NaverBand
낚시인 > 번개조황

라온피싱 무안감시와 쭈꾸미 동시낚시

61 미스타스텔론 10 1,243 2022.09.19 11:46
13 http://배가 보입니다.

라온피싱 선상 감시와 쭈꾸미 1타2피낚시 매력에 무안 펑크난 자리 포로시 가게 됩니다.  그런데 14호 태풍 "난마돌" 발생과 북상에 매일 윈디와 기상청을 들어가 봅니다. 다행이 일본으로 방향을 튼 덕분에 출항할 수 있다고 해 다행입니다. 

19일 새벽 미팅 1시간 이내거리 무안 해제 탄도만에 가니 버스팀 북적북적 원투낚시에 붕장어 낚은 낚시인 구경하고 수위차에 따른 높낮이부표선창 경사각도가 달라지는 철계단 낚시인을 위한 배려 좋습니다. 


20여분 운항후 선수와 선미 닻을 내려 고정하고 다들 채비에 분주하고 난 이미 막대찌 채비 준비해 와 느긋하게 구경이나 하니 전자막대찌도 처음 보고 낚시장비들도 많이 발전, 난 복잡한 선장실앞을 피해 선미로 가 채비를 내려봅니다. 수심은 10m  인공어초가 산재해 있다고 


첫 고기로 손가락 사이즈 붕장어, 바늘이 용케 잘 빠져 줍니다. 찌는 안보여도 감각으로

앞에서 감시 을라오고 25급 살감시 구이용으로 딱 좋습니다.  나도 올라오고

그러다가 1년생 나비도 올라오고 2년생 깻잎도 올라오고 고향앞으로, 앞에선 3짜도 보이고

난 장타로 공략하니 3짜가 올라옵니다.   서해에선 귀한 뻰찌도 올라와 선장님 사진촬영합니다. 25도 안돼 고향앞으로

무안군 돌돔 치어 방류사업 하다가 이제는 안한다고 합니다.  


만조후 썰물에 배를 다시 정박합니다.  이상하게도 나비와 깻잎만 나와 쭈꾸미로 이동

한 번 탄 슈만호(신가동 화모리포차 벵에돔 단골), 헤라크레스, 포인트 배들이 보입니다. 바람통에 10~30여수후 14:00 조기철수합니다. 

2eb65eb6a906104c32d9f61a3ea220ab_1663555211_511.jpg
12마리 쭈꾸미 한 접시도 안됩니다. 

2eb65eb6a906104c32d9f61a3ea220ab_1663555305_7437.jpg
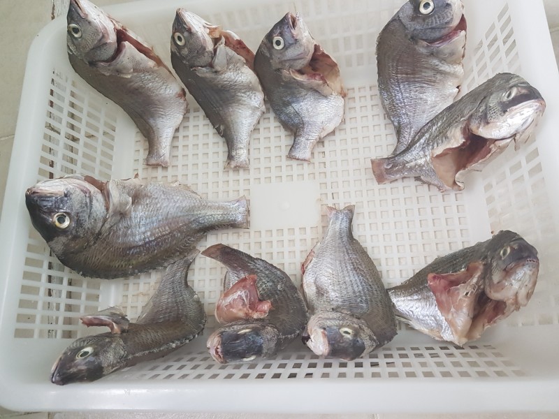
어제 소금간후 아침에 말렸는데 태풍바람 덕분에 꼬득꼬득 말라가는 뱃살 기름기 제법 찬 무안 살감시

주말은 동화도 방파제 감시 데이트 생각중입니다. 






 


1

좋은 글이라고 생각되시면 "추천(좋아요)"을 눌러주세요!


  • 페이스북으로 보내기
  • 트위터로 보내기
  • 구글플러스로 보내기
  • 카카오스토리로 보내기
  • 네이버밴드로 보내기
  • 네이버로 보내기
  • 텀블러로 보내기
  • 핀터레스트로 보내기
10 댓글
21 K무사시 22-09-19 13:55 0  
마릿수는 적지만 맛나보입니다~ 살감시도 꼬득꼬득 말려 반찬으로 그만일듯 합니다
61 미스타스텔론 22-09-20 20:19 0  

가을 서해 무안 살감시 뱃살에 기름기가 제법 차고 있어 구이맛이 납니다.

축하합니다! 행운의 바늘에 당첨! 31점 적립되었습니다!

1 내사랑감시 22-09-19 16:57 0  
갑자기 쇠주가 생각납니다. 알감시 구워 밥먹으면 저절로 넘어가겠네요.
31 멧돌이 22-09-20 07:44 0  
감시와 쭈꾸미 낚시를 동시에 대단하심니다.!!
61 미스타스텔론 22-09-20 20:22 0  

오전 어초근처 감시낚시하고 포인트 이동해 10시부터 쭈꾸미낚시 했습니다.
 
b_hot_innakmall_200x80_240307.jpg b_hot_nios_200x80.gif b_hot_ggsusan_hongeu_160x100.gif b_hot_innakmall_200x80_211203.gif
포토 제목
 

인낚 최신글


인낚 최신댓글


온라인 문의 안내


월~금 : 9:00 ~ 18:00
토/일/공휴일 휴무
점심시간 : 12:00 ~ 13:00