안녕하세요.
팀태공 김영일입니다.
정말 오랜만에 갯바위 낚시를 하게 되었습니다.
갈려고 하면 기상이 좋지않아 매번 포기하였는데 토요일 오후 출조를 계획해 봅니다.
오늘은 다대포 내만 야간으로 오후3시경 출조해서 9시 철수할려고 했는데 태풍의 영향으로 오후 기상이 안좋아질듯해서
급하게 11시 출조해서 7시 철수하는걸로 급 변경했습니다.
몇달만에 낫개 호*호에 도착해서 밑밥을 준비합니다.
감당*가 2봉+구레*1봉+크릴 4장+보리 3봉으로 준비했습니다.


낚시점에 도착해서 차 문열고 내리니깐 제일 반겨주는 장군이~~~!
오랜만에 왔다고 시위하는건지 올라 타네요.ㅋㅋㅋ 난 그러는거 안좋아하는데ㅜㅜ
그래도 안본지 오래되었는데도 기억하고 좋다고 꼬리치고~~~!
사진을 못찍어서 아쉽네요~!
같이갈 동생.친구기다리는데 갑자기 급*이~~~ㅜㅜ
아~~~화장실가면 그날 꽝인데...10년 넘은 징크스~!
우짜지...참아볼까~~~~~!아~~~이건 인간의 힘으로 다스릴게 아님을 직감하고 시원하게 밀어내기 한판하고 나옵니다.
친구가 니 어디갔다 왔노? 하길래
화장실 갔다왔다.와~!ㅜㅜ
친구가 니는 오늘 헛빵이네.ㅋㅋㅋㅋㅋㅋ놀리네요...
그래~!오늘 징크스 함 깨보자~!
11시 출발해서 가고자하는곳은 이미 많은 조사님들로 내릴곳 없고...
4명이 철수하는곳이 있어 동생이랑 그곳에 내리지만 이곳도 많은 분들이 있네요.
그나마 4분이 철수해 낚시 자리가 있네요~!
오늘의 낚시 자리입니다.
공략지점입니다.전방 15미터~20미터.우측은 여로인해 불가.좌로 15미터...공략지점이 아주 협소합니다.
물이 빠르면 낚시 불가할듯하네요...
좌측으로 조금만 흘리면 채비를 걷어 들어야하는 상황이네요...
오늘 채비입니다.
1호대
3000번릴
2.75호 원줄
1.75 목줄
1호 구멍찌로 시작합니다.
밑끼는 크릴+경단입니다.
채비전 밑밥은 최대한 많이 뿌려놓습니다.
내린적이 있는곳이라 수심은 7미터부터 시작합니다.
첫캐스팅에 메가리가 시원하게 가져가네요.
두번.세번 모두 메가리네요...
그런데 징크스때문일까요??????
캐스팅 준비하는데 그만 낚시대를 손에서 놓아버리네요...
왜 그랬을까요?
다행이 발앞이 비스듬한 갯바위라서 불행중 다행이였습니다.
큰 데미지는 없었네요...
옆에서 동생이 먼저 히트하네요...
미끼 교체합니다.
경단으로~~~!바로 입질 들어오네요...!
그리고 잠시후 다시 히트...
두마리 잡고 나니 바람이 터지네요...그러면서 입질이 엄청 약아집니다.
뒷줄잡고 견제...히트가 안되네요...
줄을 팽팽하게 합니다.더이상 찌가 안내려가네요...
살짝 챔질~!히트~~~!이런씩으로 히트가 되네요..
잘하면 오늘 조황이 좋을듯 했으나...갑자기 비가 내리네요...
그러면서 이곳에는 물도 바뀌고 점점 북동풍이 강하다는 예보에 4시쯤 자리를 이동해봅니다.
포인트 이동 했습니다~~~~~~!
대 실패~~~~~~!했습니다.
이동한 포인트는 뻘물에 메가리가~~~!ㅜㅜ
밑밥안줘도 어두워질때까지 변함이 없네요.
그래도 오늘은 그런대로 징크스를 없앤듯해서 기분은 좋았습니다.ㅎㅎ
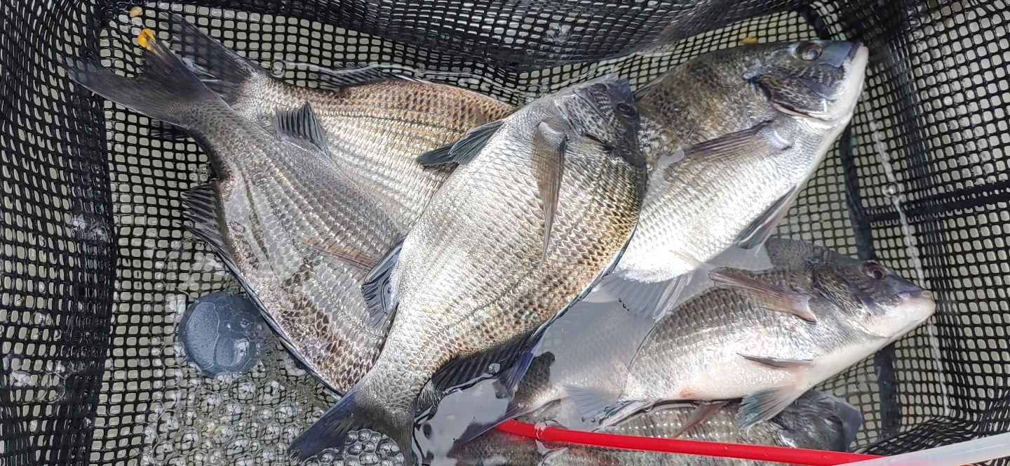
35정도나오네요...나 먹으라고 주네요...다른 2마리는 동생이...
못잡은 형님 3마리 드리고......
오늘 출발전 초밥먹을수 있나???하던 집에있는분을 위해서 가져가 봅니다.
긴꼬리가 아직 맛있네요.ㅎㅎ
큼지막하고 두툼하게 만들었습니다.
맛~~~~~~은~!
좋았습니다.
어디서 자연산감성돔 초밥을 먹어보겠습니까?ㅎㅎ
회를 너무 두툼하게 썰어서 실패했습니다.ㅎㅎ
다대포 내만 전역에 감성돔이 들어왔습니다.
시간되시는분은 출조해보십시요.
좋은 손맛으로 하루를 즐겁게 해줄꺼에요...
이상 긴 글 읽어주셔서 감사합니다.
|
|
|
|