9 울딸콩 22-06-25 21:13 0 맛나겠네요 손맛축하드림니다 맛나겠네요 손맛축하드림니다 댓글 설정 댓글 신고 2 갯바위앵글러 22-06-26 08:35 0 @울딸콩 예 새론맛입니다. @울딸콩 예 새론맛입니다. 댓글 설정 댓글 신고 25 게토레이 22-06-25 21:28 0 손맛 축하드립니다 수고 하셨습니다 손맛 축하드립니다 수고 하셨습니다 댓글 설정 댓글 신고 2 갯바위앵글러 22-06-26 08:35 0 @게토레이 모처럼 두자릿수 조항이라 짜릿했네요 ^^ @게토레이 모처럼 두자릿수 조항이라 짜릿했네요 ^^ 댓글 설정 댓글 신고 17 분납 22-06-25 22:36 0 눈맛! 손맛! 입맛! 충분하네요~ 잘 보았습니다~ 눈맛! 손맛! 입맛! 충분하네요~ 잘 보았습니다~{이모티콘:onion-070.gif:50} 댓글 설정 댓글 신고 2 갯바위앵글러 22-06-26 08:36 0 @분납 벵에는 사랑입니다 ㅎㅎ @분납 벵에는 사랑입니다 ㅎㅎ 댓글 설정 댓글 신고 7 최강루어 22-06-26 05:48 0 맛있겠네요. 수고하셨습니다. 축하합니다! 행운의 바늘에 당첨! 92점 적립되었습니다! 맛있겠네요. 수고하셨습니다. {이모티콘:innak-302.gif:50} 댓글 설정 댓글 신고 2 갯바위앵글러 22-06-26 08:37 0 @최강루어 물회+소면 조합은 정말 강추합니다. 살얼음까지 넣어 먹으니 올여름 더위는 싹 가시네요^^ @최강루어 물회+소면 조합은 정말 강추합니다. 살얼음까지 넣어 먹으니 올여름 더위는 싹 가시네요^^ 댓글 설정 댓글 신고 1 꼴방파 22-06-28 20:18 0 입에 침이 한가득 돗네요 굿이에요 굿굿굿 입에 침이 한가득 돗네요 굿이에요 굿굿굿 댓글 설정 댓글 신고 2 갯바위앵글러 22-06-30 19:40 0 @꼴방파 맛도 최고입니다 ㅎㅎ @꼴방파 맛도 최고입니다 ㅎㅎ 댓글 설정 댓글 신고 21 K무사시 22-06-29 08:39 0 새콤하이 쳐직쳐직ㅎ 없던 입맛도 돌아올듯 합니다~침 고이가 빙글빙글 새콤하이 쳐직쳐직ㅎ 없던 입맛도 돌아올듯 합니다~침 고이가 빙글빙글{이모티콘:onion-126.gif:50} 댓글 설정 댓글 신고 2 갯바위앵글러 22-06-30 19:40 0 @K무사시 입맛없을때 강추 드립니다 ㅎㅎ @K무사시 입맛없을때 강추 드립니다 ㅎㅎ 댓글 설정 댓글 신고 16 마음만오짜 22-06-30 08:09 0 손맛 축하드립니다 물회 맛있겠네요 손맛 축하드립니다 물회 맛있겠네요 댓글 설정 댓글 신고 2 갯바위앵글러 22-06-30 19:41 0 @마음만오짜 꼭 소면 넣어서 드셔보시길 추천드립니다 ㅎㅎ 축하합니다! 행운의 바늘에 당첨! 426점 적립되었습니다! @마음만오짜 꼭 소면 넣어서 드셔보시길 추천드립니다 ㅎㅎ 댓글 설정 댓글 신고 1 여밭이좋아 22-07-05 16:14 0 저두 회국수 엄청하는데 ㅎㅎ 군침이 ㅎㅎㅎ 수고하셨읍니다 저두 회국수 엄청하는데 ㅎㅎ 군침이 ㅎㅎㅎ 수고하셨읍니다 댓글 설정 댓글 신고 1 수도조사 22-11-22 20:02 0 안낚 즐낚 하세요 안낚 즐낚 하세요 댓글 설정 댓글 신고
17 분납 22-06-25 22:36 0 눈맛! 손맛! 입맛! 충분하네요~ 잘 보았습니다~ 눈맛! 손맛! 입맛! 충분하네요~ 잘 보았습니다~{이모티콘:onion-070.gif:50} 댓글 설정 댓글 신고
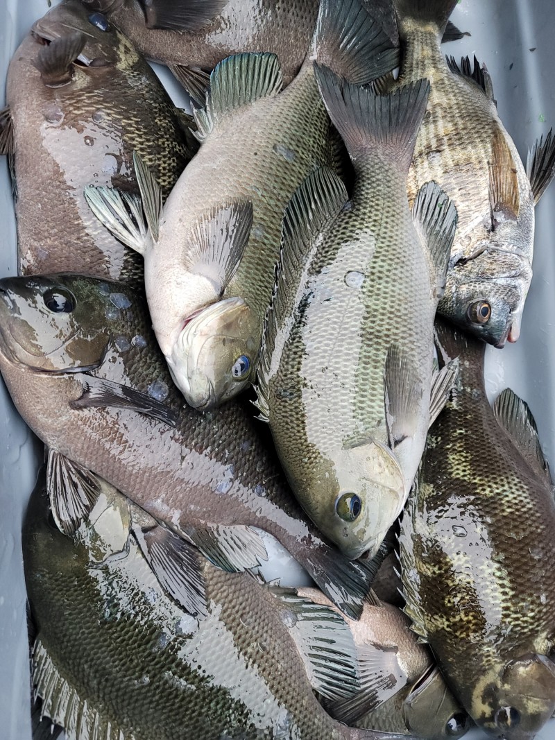
7 최강루어 22-06-26 05:48 0 맛있겠네요. 수고하셨습니다. 축하합니다! 행운의 바늘에 당첨! 92점 적립되었습니다! 맛있겠네요. 수고하셨습니다. {이모티콘:innak-302.gif:50} 댓글 설정 댓글 신고
2 갯바위앵글러 22-06-26 08:37 0 @최강루어 물회+소면 조합은 정말 강추합니다. 살얼음까지 넣어 먹으니 올여름 더위는 싹 가시네요^^ @최강루어 물회+소면 조합은 정말 강추합니다. 살얼음까지 넣어 먹으니 올여름 더위는 싹 가시네요^^ 댓글 설정 댓글 신고
21 K무사시 22-06-29 08:39 0 새콤하이 쳐직쳐직ㅎ 없던 입맛도 돌아올듯 합니다~침 고이가 빙글빙글 새콤하이 쳐직쳐직ㅎ 없던 입맛도 돌아올듯 합니다~침 고이가 빙글빙글{이모티콘:onion-126.gif:50} 댓글 설정 댓글 신고
2 갯바위앵글러 22-06-30 19:41 0 @마음만오짜 꼭 소면 넣어서 드셔보시길 추천드립니다 ㅎㅎ 축하합니다! 행운의 바늘에 당첨! 426점 적립되었습니다! @마음만오짜 꼭 소면 넣어서 드셔보시길 추천드립니다 ㅎㅎ 댓글 설정 댓글 신고