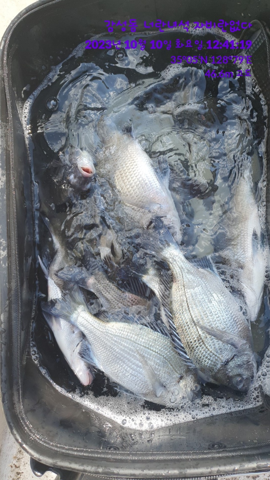
감성돔 금어기 때문인지는 모르겠지만
살감성돔 개체수가 어마어마 하더군요.
잘 관리가 되면 감성돔이 많이 번성하지 싶은
생각이 들었습니다.
잔씨알 속에 대물 감성돔 너무 멋지네요.
잘보았습니다. ^^
살감성돔 개체수가 어마어마 하더군요.
잘 관리가 되면 감성돔이 많이 번성하지 싶은
생각이 들었습니다.
잔씨알 속에 대물 감성돔 너무 멋지네요.
잘보았습니다. ^^
가덕도 감성돔. 눈만붙은게 버글버글방갑습니다. 다은아빠입니다
이제 바람도. 쌀쌀한게. 겨울옷 꺼내 입어야 겠네요
환절기. 감기조심하시고. 안낚하세요
이시기에 멀리안가고. 가까운곳만 가도
손맛은. 원없이 보는 계절이 온듯합니다
연일 달리지만. 쓸만한고기는. 단2마리뿐
간혹. 큰게. 올라오는데


5짜랑 4짜랑. 한2백마리 잡으면 한두리식 나오는듯 합니다
모두 손맛보시고. 어복 충만하시기를.