방파제 조황이 좋으네요.
발판 편한 곳도 보이고 사진 상으로는
조사님들도 많지 않아 보이네요.
멋진 포인트인것 같습니다.
손맛, 입맛 축하드리고요.
수고하셨습니다. ^^
발판 편한 곳도 보이고 사진 상으로는
조사님들도 많지 않아 보이네요.
멋진 포인트인것 같습니다.
손맛, 입맛 축하드리고요.
수고하셨습니다. ^^

몇년만에 어제 찾은 약산도 갯바위, 내리자마자 금일도에서 멋진 일출이 
좌측 약산 1번지 등대방향 (당목항에서 도보로 몇번 찾은 곳)

유측 간출여가 발달, 모황도,형도,갈마도,혈도 신지도 방향. 사진에는 물색 좋게 나오나 빨물색이였고 잔고등어와 학공치로 페베한 것 같습니다. 
포로시 25급 하나에 45급은 마량시장서 쇼핑
17시 귀광 이쁘게 뜨고 숙성시켜 22시 수요일 집회후 인근 형제집서 한잔
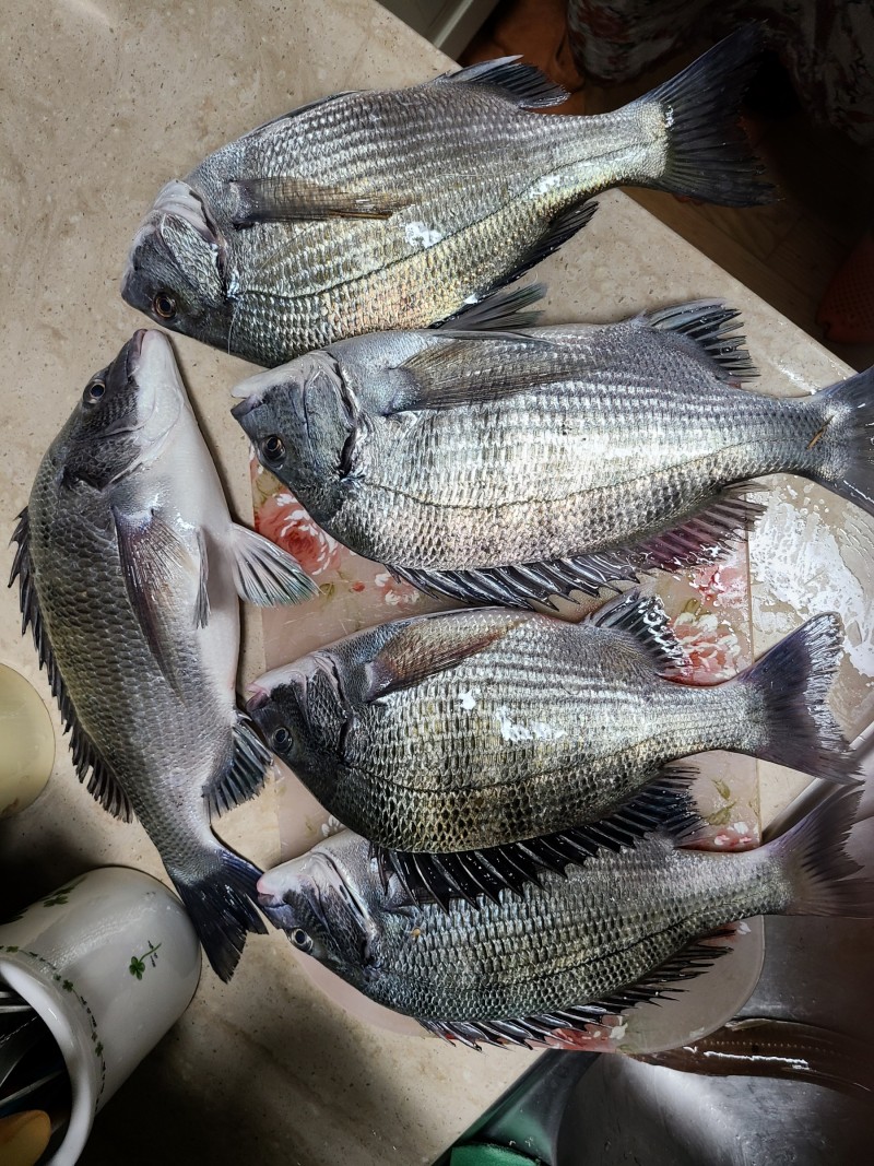
11월 하순 어느 방파제
첫번째 4짜급은 터지고 3짜들로 
두 번째는 포로시 한수
이상으로 최근 3번 번개 출조 조황입니다.
이제 황제도 도보와 역만도가 생각닙니다.
1962년 완도에서 태어나 민장대와 원투낚시와 찌낚시 입문 22년으로 주말이면 바다가 아른거리고 이제는 대물을 목적으로 출조할 계획입니다.
|
|
|
|