혹시나..........
노파심에서 말씀인데요
다음에 또 기회가 있어 금오도에서 낚시하실 땐
해경 또는 국립공원공단 다도해해상사무소 관리선이 돌아 댕기는지 잘 살피시소
특히 텐트, 소고기 꿉으실 때 등등이요....
축하합니다! 행운의 바늘에 당첨! 353점 적립되었습니다!
여수 금오도 벵에돔 탐사 조행기(푸가 스탭)여수 금오도 벵에돔을 찾아서...
안녕하십니까
푸가 필드테스터 이현석입니다.
여수 금오도에 아직이른 시기(23년3월18일 출조)이긴 하지만 벵에돔 탐사&감성돔 낚시를 다녀온 조행기 올립니다.
창원에서 출발해 여수 돌산 프린스호를 타고 12시에 출항 합니다.

오늘은 같이 하선한 분은 푸가의 이만석 필드 테스터님입니다.
하선한 포인트 이름은 발파?자리라고 하네요
해가 뜨고 보니 뒤에 작은 돌산을 발파한 흔적이 여기저기 보입니다 ^^
저녁 12시에 출항해 30분을 달려 갯바위에 도착해서 텐트를 먼저 쳐봅니다
텐트를 치고 미끼??? 를 준비 합니다 ㅎㅎ
오늘의 벵에돔 미끼는 바로 !!!
짜잔~~~! 맛잇는 소고기 한접시가 완성됫네요^^


번개탄에 소고기를 구워서 맛잇게 먹고 텐트 안에 들어가 잠을 청해봅니다.
누워서도 자꾸 생각나는 맛이네요
ㅎㅎ
갯바위에서는 멀 먹어도 느끼는 맛이 두배가 되는거 같습니다^^
벵에돔 밑밥을 준비하시는 이만석 필드 테스터님^^
해가 뜨고 낚시를 시작합니다
첫 캐스팅에 입질이와서 대가 멋지게 휘엇는데 망상어가 첫수로 반겨 줍니다..ㅜㅡ
이놈들이 오늘의 복병이엇네요
망상어 복어....
날씨는 봄인데 수온이 아직 차가워서 요즘 안개도 심하고 벵에돔들이 입을 도통 열지를 않습니다
저는 옆에서 감성돔 낚시를 준비해봅니다.
여기 자리는 발앞에는 잡어가 너무 많은듯 하여 오늘은 장타 낚시를 해보기로 합니다.
낚시대 1.2호
원줄 푸가 무사시 3호
목줄 푸가 무사시 2.5호
찌 특대 기울찌
수중찌 3b
감성돔 바늘 3호
이렇게 채비를 만들어 시작합니다.
새벽에 물이 일찍 날물 방향으로 갑니다. 이런날이 잇죠 물돌이 시간이 안됫는데 물이 먼저 돌아서 날물로 흘러갑니다.
갯바위 우측에서 좌측으로 소부도 사이로 물이 힘차게 가네요
초날물이 시작되고 8시30분쯤 첫입질이 시원하게 들어옵니다
전유동의 매력이죠 원줄을 호로록 시원하게 가져가는 입질에 대를 세우고 릴링중 바늘이 설걸렷는지 빠지고 마네요 ㅜㅜ
물이 너무 빠르게 가다가 중날물이 되니 물이 아주 예쁘게 잠방잠방 흘러갑니다.
9시 30분쯤 한번 더 시원한 입질을 받습니다
이번에는 침착하게 대를 세우고 챔질을 한번 더 확실하게 합니다. 1분 가까이 파이팅을 하고 뜰채에 담아봅니다.
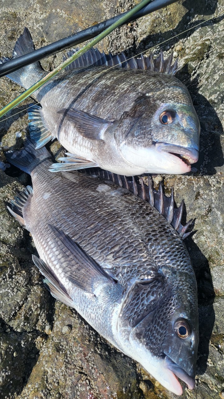
이쁜 감성돔이 한마리 올라옵니다 딱 봐도 4짜는 넘는 녀석이네요 ㅎㅎ
한동안은 소강상태에 접어들다가
끝날물때 한번 더 원줄에 강력한 어신이 전해 집니다.
발앞에 와서 마지막 발악까지 하고야 마네요
침착하게 마무리를 하고 바칸에 고기를 담습니다

둘다 40은 넘어가고 뒤에 잡은 놈은 45 가까이 되어 보입니다
두시 철수라 갯바위에서 간단한 요기를 거리를 준비합니다.
ㅎㅎ 오늘은 소고기 파티네요
갯바위에서 먹어서 그런지 더 맛잇는거 같습니다 ^^
간단히 육사시미를 먹고 한시간전 대를 접고 갯바위 청소 및 정리를 시작합니다.
낚시대와 푸가 쏠채도 놓고 찍어도 보고^^
비록 오늘 벵에돔 탐사는 실패햇지만
감성돔 두마리가 반갑게 와줘서 즐거운 출조가 되었네요.
물론 소고기도 한몫했지요 ㅎ_ㅎ
철수 후 항에서 재어보니 45..42..나오네요...다음에는 5짜 친구 만날수 있겟지요 ㅎㅎ
이렇게 즐거웠던 여수 금오도 조행기를 마무리 합니다.
다음에는 좀 더 멋진 갯바위에서 인사 드리도록 하겠습니다.
감사합니다^^
축하합니다! 행운의 바늘에 당첨! 353점 적립되었습니다!