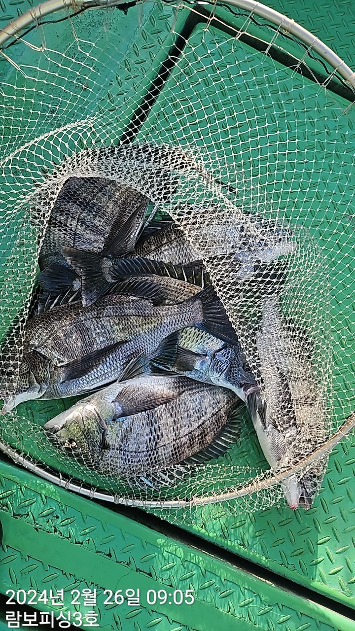
감성돔(어초 실시간) 빵좋은 4짜 4짜외 마리수 손맛~람보3호 핫조황(27일 예약)