감성돔(실시간)강풍 속 중치급들 본격 입질~대동낚시(14일 예약)

신상품 소개


회원 랭킹


공지사항


NaverBand
점주/선장 > 가장 빠른!!  실시간 조황

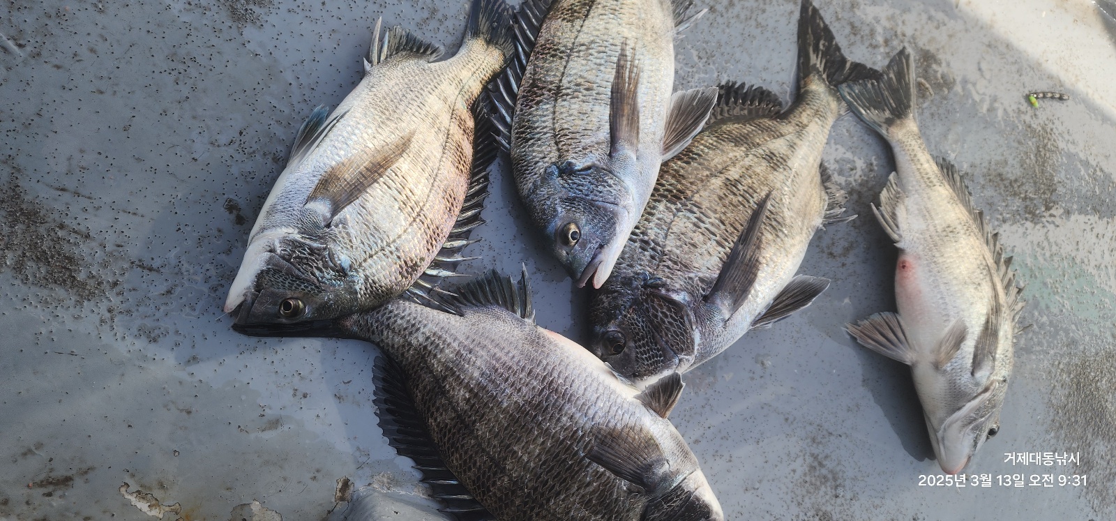
감성돔(실시간)강풍 속 중치급들 본격 입질~대동낚시(14일 예약)

거제대동낚시 1 93 2025.03.13 09:56
거제 어초 여밭 선상 감성돔 낚시 대동낚시입니다.
강한 북풍이 포인트에 불어오며 예민한 녀석들의 입질을 파악하기
힘든 상황이지만 밑밥이 어느정도 들어가자 녀석들의 반응이 이어지기
시작합니다.
큰 녀석들은 없지만 중치급들로 손맛 즐기고 있고, 좋은 조류가 흐르니
바람을 극복하며 대물 감성돔 만날 수 있도록 집중해보겠습니다.
내일 예약가능합니다.

▣ 선비(대동낚시) 조정 안내
(시행) 2025년 2월 기존 출조비 10만원 ▶11만원으로 변경됩니다.


▣ 거제도 대물감성돔(어초여밭) 흘림 낚시 ▣ 365출조!!!
★ 14일(금요일) 7물, 감성돔 선상 영등철 대물 흘림낚시 "예약가능"
★ 15일(토요일) 8물, 감성돔 선상 영등철 대물 흘림낚시 "예약가능"
★ 16일(일요일) 9물, 감성돔 선상 영등철 대물 흘림낚시 "예약가능"
★ 17일(월요일) 10물, 감성돔 선상 영등철 대물 흘림낚시 "예약가능"
★ 18일(화요일) 11물, 감성돔 선상 영등철 대물 흘림낚시 "예약가능"

▦대동낚시 ☎010-4550-9017
▣ 거제시 사등면 성포로 133(사등농협앞)
▣ 밴드 : https://band.us/@daedongho
▣ 예약 (수협) 2020-4222-9164 이춘석
0

좋은 글이라고 생각되시면 "추천(좋아요)"을 눌러주세요!


, , , , , , , , , , , , , , , , , , , , , , , , ,

  • 페이스북으로 보내기
  • 트위터로 보내기
  • 구글플러스로 보내기
  • 카카오스토리로 보내기
  • 네이버밴드로 보내기
  • 네이버로 보내기
  • 텀블러로 보내기
  • 핀터레스트로 보내기
1 댓글
거제대동낚시 25-03-13 09:56 0  
14일 거제 어초 여밭 선상 감성돔 낚시 예약가능합니다. 감사합니다.
 
포토 제목
 

인낚 최신글


인낚 최신댓글


온라인 문의 안내


월~금 : 9:00 ~ 18:00
토/일/공휴일 휴무
점심시간 : 12:00 ~ 13:00