(실시간)감성돔 출동~2방 팅 4짜 외 마릿수 中~젠틀호(27일 예약)

신상품 소개


회원 랭킹


공지사항


NaverBand
점주/선장 > 가장 빠른!!  실시간 조황

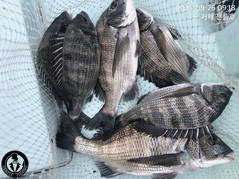
(실시간)감성돔 출동~2방 팅 4짜 외 마릿수 中~젠틀호(27일 예약)

거제젠틀호 0 58 2025.09.26 10:07
거제도 릴찌낚시 전문 출조점 젠틀호 한선장입니다.
가을 시즌 감성돔들이 포인트를 점령했습니다~ 새벽 타임 불감당 대물
2방 팅~ 터트리고 벗겨지는 녀석들도 있지만 4짜 외 중치급들로 마릿수
손맛 즐기고 있습니다. 좋은 조류가 포인트를 지나가니 마릿수 조황을
위해 집중해보겠습니다. 내일 6자리 예약 가능합니다.

27일(토요일) 거제도 어장 어초/여밭 감성돔 흘림낚시 예약가능합니다.
이번 주말까지 쭉~ 참돔들이 활동하기 적합한 황금 물때가 이어지기에
손맛 즐기러 오셔도 좋을 듯 합니다~

▣ 젠틀호 참돔낚시 예약 일정 ▣
27일(토요일) (06명) 13물 거제도 어장/어초 여밭 감성돔 흘림낚시 "예약 가능"
28일(일요일) 예약 완료 감사합니다.
29일(월요일) (06명) 조금 거제도 어장/어초 여밭 감성돔 흘림낚시 "예약 가능"
30일(화요일) (06명) 1물 거제도 어장/어초 여밭 감성돔 흘림낚시 "예약 가능"

▣ 젠틀호 예약문의 ☎ 010-8949-4045
(찾아 오시는 길) 거제시 거제면 서정리 773-14
▣ 젠틀호 밴드 : https://band.us/@gentlefishing
0

좋은 글이라고 생각되시면 "추천(좋아요)"을 눌러주세요!


, , , , , , , , , , , , , , , , , , , , , ,

  • 페이스북으로 보내기
  • 트위터로 보내기
  • 구글플러스로 보내기
  • 카카오스토리로 보내기
  • 네이버밴드로 보내기
  • 네이버로 보내기
  • 텀블러로 보내기
  • 핀터레스트로 보내기
0 댓글
 
b_hot_innakmall_200x80_240307.jpg b_hot_nios_200x80.gif b_hot_ggsusan_hongeu_160x100.gif b_hot_innakmall_200x80_211203.gif
포토 제목
 

인낚 최신글


인낚 최신댓글


온라인 문의 안내


월~금 : 9:00 ~ 18:00
토/일/공휴일 휴무
점심시간 : 12:00 ~ 13:00