4짜들외 마릿수
12월 07일(일)
인낚 현재접속자
2,510명 (
121
)
공지사항
인낚도서관
점주선장전용 공지사항
로그인
광고/제휴 문의
운영진에게
인낚ㅣ인터넷바다낚시
0
어종별선상
어종별갯바위
낚시인조황
점주선장조황
출조정보
낚시광장
낚시지식인
낚시교실
중고장터
휴게실
인낚도서관
인낚몰
0
어종별선상
어종별 선상조황
4대돔 조황
먹물 조황
갈치 조황
볼락&전갱이
빅게임 지깅&파핑
외줄&외수질
기타 어종
어종별 갯바위조황
4대돔 조황
먹물 조황
갈치 조황
볼락&전갱이
농어&삼치&방어&부시리
기타 어종
어종별갯바위
어종별 선상조황
4대돔 조황
먹물 조황
갈치 조황
볼락&전갱이
빅게임 지깅&파핑
외줄&외수질
기타 어종
어종별 갯바위조황
4대돔 조황
먹물 조황
갈치 조황
볼락&전갱이
농어&삼치&방어&부시리
기타 어종
낚시인조황
낚시인 번개조황
낚시인조행기
스탭조행기
우리낚시동호회이야기
전국낚시동호회소개
동호회갤러리
지난 조황자료보기(년도별 조황 자료)
점주선장조황
전국 실시간 조황
선상(배)+좌대 조황
갯바위+방파제 조황
점주선장전용 공지사항
지난 조황자료보기(년도별 조황 자료)
출조정보
낚시인동행출조
점주선장 갯바위 출조
점주선장 선상출조
기상파고정보(기상청)
해상예보
물때표
파고예보(일본)
실시간해양관측예보
스마트조석예보
낚시광장
낚시계뉴스
대회 및 낚시관련 홍보
제품평가단
신상품소개
낚시지식인
Q&A 묻고 답하기
조황/포인트 문의
주간 베스트
낚시용품 사용기
낚시투표
토론방
新어류도감
낚시교실
낚시기법소개
어종별 낚시교실
입문자교실
중급자교실
낚시용어사전
중고장터
중고장터 이용후기
더치트 사기피해 검색
팝니다
삽니다
교환합시다
무료로 드립니다
부품팝니다
부품삽니다
일반 생활용품 사고 팔기
휴게실
출석부
낚시갤러리
세상사는 이야기(자유게시판)
낚시이야기 마당
먹고사는 이야기
구인구직
칭찬합니다
어째이런일이
습득물 찾기
메인
어종별선상
어종별갯바위
낚시인조황
점주선장조황
출조정보
낚시광장
낚시지식인
낚시교실
중고장터
휴게실
0
[ 점주/선장 ] 스페샬 조황
시범 운영중입니다.
글 작성시 5,000점 이상의 포인트 점수가 필요합니다.
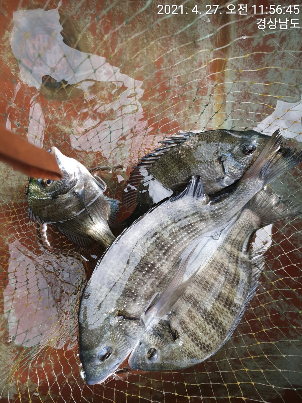
4짜들외 마릿수
보헤미안
마산
0
398
2021.04.27 12:01
아래사진 일부입니다
매일출항합니다
수부터 주말 텅비었습니다
예약문의 010 4871 8569
0
좋은 글이라고 생각되시면 "추천(좋아요)"을 눌러주세요!
게시물 신고
목록
글쓴이
3
1
Lv.11
보헤미안
점주선장
161,750 (83.7%)
등록된 인사글이 없습니다.
04.29
불감당들과 멋진싸이즈 계속나옵니다
04.27
4짜들외 마릿수
0
댓글
로그인한 회원만 댓글 등록이 가능합니다.
×
Image Upload
로그인한 회원만 등록가능합니다.
목록
2025.06.05
인터넷바다낚시
★ 6월 금어기 안내
금어기 안내입니다.금어기 동안에는 해당 어종의 조황은 등재하시면 안됩니다.조황 등재 확인시 바로 삭제되며, 따로 안내드리지 않…
더보기
인터넷바다낚시
★ 5월 금어기 안내 - 감성돔,삼치,참문어,주꾸미 외
금어기 안내입니다.금어기 동안에는 해당 어종의 조황은 등재하시면 안됩니다.조황 등재 확인시 바로 삭제되며, 따로 안내드리지 않습니다.금어기인 어종을 잡았을 때는 손맛 보시고, 안전하게 방생 부탁드립니다.산란기 어종 보호를 위해 만들어진 금어기이니만큼 …
더보기
인터넷바다낚시
★ 4월 금어기 안내
금어기 안내입니다.금어기 동안에는 해당 어종의 조황은 등재하시면 안됩니다.조황 등재 확인시 바로 삭제되며, 따로 안내드리지 않습니다.금어기인 어종을 잡았을 때는 손맛 보시고, 안전하게 방생 부탁드립니다.산란기 어종 보호를 위해 만들어진 금어기이니만큼 …
더보기
인터넷바다낚시
|
공지
★ 8월 금어기 안내
금어기 안내입니다. 금어기 동안에는 해당 어종의 조황은 등재하시면 안됩니다. 조황 등재 확인시 바로 삭제되며, 따로 안내드리지 않습니다. 금어기인 어종을 잡았을 때는 손맛 보시고, 안전하게 방생 부탁드립니다. 산란기 어종 보호를 위해 만들어진 금어기이…
더보기
인터넷바다낚시
|
공지
★ 5월 금어기 안내
금어기 안내입니다. 금어기 동안에는 해당 어종의 조황은 등재하시면 안됩니다. 조황 등재 확인시 바로 삭제되며, 따로 안내드리지 않습니다. 금어기인 어종을 잡았을 때는 손맛 보시고, 안전하게 방생 부탁드립니다. 산란기 어종 보호를 위해 만들어진 금어기이…
더보기
인터넷바다낚시
|
공지
제목 특수문자 사용금지
점주/선장님 올려주시는 조황에 늘 감사드립니다.인터넷바다낚시 조황 제목에는 특수문자를 사용할 수 없습니다.조황등재에 있어서 오랜 관례같은 것이라 신규 가입자 분들을 제외하고 공지를 따로 해드리진 않았습니다.하지만,근래에 들어와 특수문자 사용이 늘어나고…
더보기
2021.04.29
보헤미안
|
마산
불감당들과 멋진싸이즈 계속나옵니다
멋진 대물들이 마릿수와 함께 제법나옵니다 금ㅡ예약가능 토ㅡ완료 일ㅡ예약가능합니다 예약문의 010 4871 8569
2021.04.29
거제최강피싱
|
거제
【거제최강】참돔/부시리 흘림-5짜외 한방 터지고 즐낚 …
☆★내일은 오전 감성돔 흘림 출동합니다!!!★☆ #점주조황 #거제 #감성돔 #참돔 #부시리 #찌낚시 #흘림낚시 #선상낚시 #바…
더보기
2021.04.29
람보피싱
|
거제
《먼다바 참돔흘림》실시간/오늘도 5짜4짜들이 호로록 합…
금일 람보피싱 실시간 전합니다 오늘도 좋은날씨에 원줄 줄줄줄 흘리고 있습니다 떼깔좋은 참돔 5짜4짜들이 따문따문 원줄을 가져갑…
더보기
2021.04.29
거제은아2호
|
거제
《감성돔》4짜4짜들외 내만에서 대물 사냥중~
내만에서 대물 사냥중입니다. 4짜중반까지 올라오고 있습니다. 남은 시간 집중해 보겠습니다. ★은아호선단★ 3톤 5대 승선인원 …
더보기
초기화
날짜순
조회순
추천순
검색
1
2
3
Search
검색대상
제목
내용
제목+내용
회원아이디
회원아이디(코)
글쓴이
글쓴이(코)
또는
그리고
검색어
필수
검색
닫기
인낚몰 초특가
★500★ W쿠션 멀티 수중찌 M L - 전유동 반유동 끄심바리 필수품 수중쿠션
★5,900★ 여러개 있으면 아주 좋은 EVA 시스템 백
★ 1+1 플로팅, 세미, 카본 낚시줄 행사 호수선택가능 / 택상 1+1 원줄, 목줄 행사
★6,000★ 예민함의 끝판왕 애니원찌 벵에돔찌 학공치찌
★15,000★ 오동목 구멍찌 5개 + 메쉬 찌케이스 세트
★22만원★ 40W 집어등을 이 가격에!
★5,000★ 전층쿠션 15세트입 S / L 사이즈
★2,000★ 전층쿠션 5세트입 S / L 사이즈
★10,000 미니집어등5개 + 425배터리 1개 + 스토퍼고무 10개
★13,500 深海 심해대물 갈치집어등 3개 5LED 오색 집어등 갈치낚시 필수품 건전지3개 포함 수중집어등
★9,900★ 수제공방 갈치 풀치 잔치세트 짬낚시 필수 하나로 끝
★8,650~★ 아부가르시아 카치카치다마 유동식 타이라바 - 80g / 100g / 120g / 140g