회원가입 ▶ 점주선장 승급신청 ▶ 승급완료 ▶ 조황글 작성 |








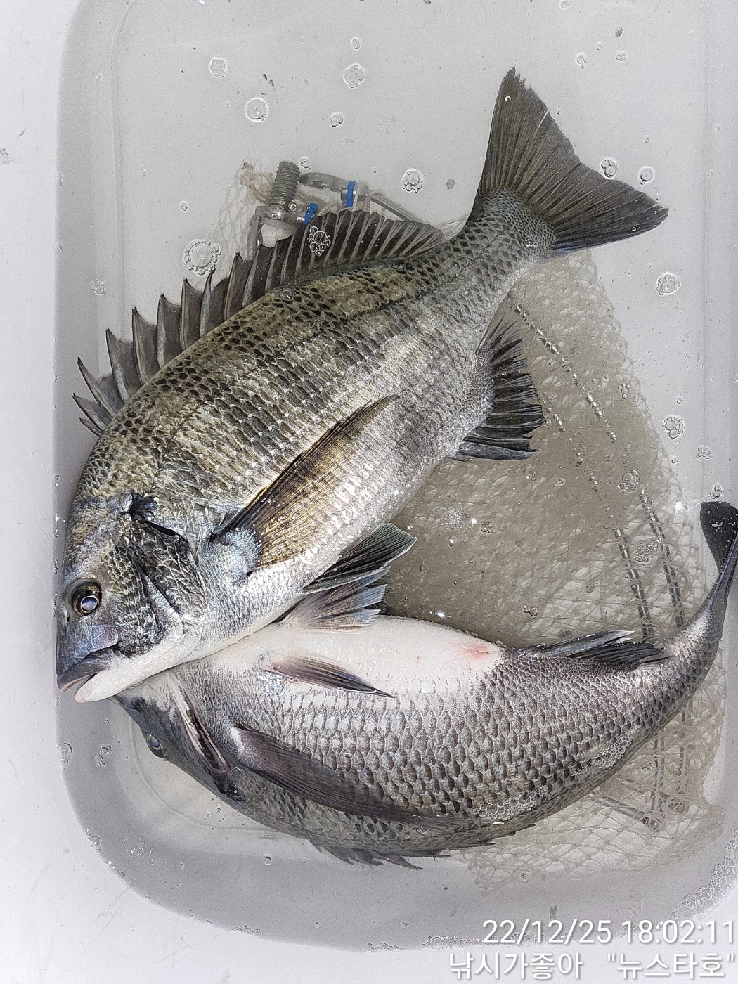
안녕 하십니까! 메리~~~ 크리스마스~~~ 남해 미조에 낚시가좋아(뉴스타호) 인사 드립니다 금일 조황 올려 드립니다 추운 바람통속에 대단히들 고생들 많으셨습니다 바람도 불고 수온도 떨어지다 보니 조과가 썩 좋지는 않네요 그래도 살포시 얼굴 구경은 하였습니다 즐거운 크리스마스 가족분들과 행복한 시간들 지내십시요 감사합니다
*출조시 밑밥및 소품은 준비하여 오셔도 무방하오며 혹여나 준비하시질 못하신 분들을 위하여 최상급 크릴을 준비해 놓도록 하겠습니다 감사합니다*
*출조및 문의사항*
상호:낚시가좋아(뉴스타호)
주소:경남 남해군 미조면 동부대로9
선장님:010-6434-0015