- 당일 조황 올리기 - 이전 조황 복사해서 올리지 말기 |
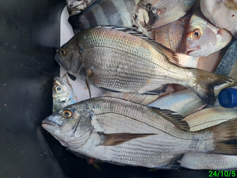
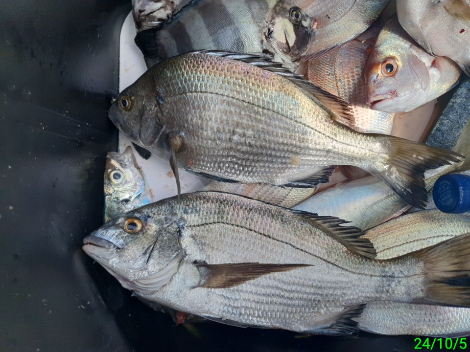
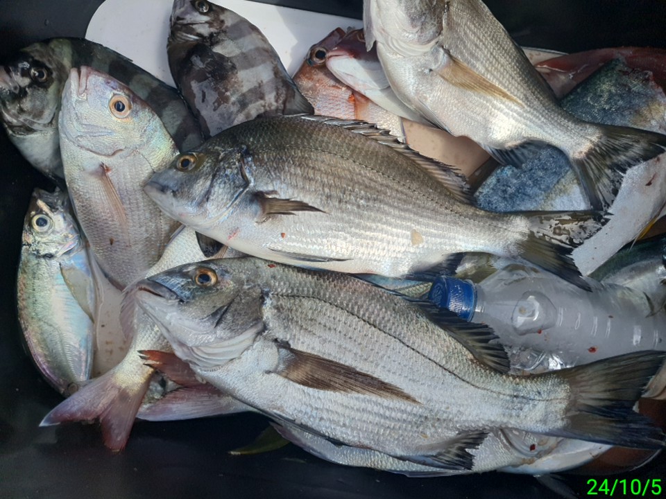
욕지권 갯바위 철수조황입니다
북풍계열의 바람이 강했지만
욕지권은 북풍은 피할데가많아
낚시에 지장이없었습니다
사리물때임에도 조류소통이 좋지못해
꾸준한게 입질이 들어오지못했지만
잠깐 조류가 갈때 연속적으로 손맛도
보시고 큰사이즈들은 제법 많이 터트
리셨답니다
내일은 오늘보다 예보도좋아 포인트
제약도 덜하겠고 조류흐름만 좋아지면
씨알급으로 마리수도 가능할거 같습니다
출조하신 조우님들 수고 많으셨습니다
오시는 길 통영낚시에서 매달 감성돔
최대중량 이벤트도 하고있으니 이벤트
참가도 하셔 1등 주인공에 도전도 해보세요
요즘도 여전히 새벽 동트기 직전
대물들의 습격에 터트림이 많습니다
동틀무렵에는 꼭 강한채비로
승부보시기바랍니다
아직까진 욕지권바다는 여름수온이라
여름어종들도 제법 많이 낚이고있으니
대상어는아니더라도 다양한 어종들로
손맛을 즐기실수 있습니다
요즘 갯바위 무늬오징어도 제법 나오는
상황이니 무늬장비 있으신분들은
잠시 흔들어 보시면 몇마리 건져가실수
있습니다
예약 하실때 대상어종만 말씀해주시면 어종에
맞는 최고의 포인트로 최대한 손맛 즐기실수있게
모셔드릴것을 약속드립니다
아직 낮엔 제법덥지만 새벽녘은 제법쌀쌀합니다
가벼운 외투정도는 준비해오십시요
파워피싱아일랜드호는
선장이기 이전에 낚시인의 마음으로
조우님들의 출조길이 즐거워지실수 있도록
출조하신 조우님 한분 한분 최선으로
선장이 피곤해져야 조우님들이 즐거워진다는
마인드로 모시겠습니다
출조,철수시에 선실내 에어컨 시원하게 가동됩니다
선박후미에 시원한음료와 라면등간단한 간식거리
준비되어있습니다
예약,출조문의는 010 8517 1782
네비주소
통영시 산양읍 산양일주로 1429-17
파워피싱아일랜드호 밴드로초대합니다
밴드가입시 실명가입 부탁드립니다