- 당일 조황 올리기 - 이전 조황 복사해서 올리지 말기 |
반갑습니다.^^
거제 대포항 *스타피싱* 그선장 입니다.^^
저히 스타피싱의 쎌프 스타벅스 휴게실 입니다.^^
더울때는 시원하게 추을때는 따듯하게 출조시 시간을 여유롭게 오셨어
차와 간단한 간식 식사등 드실수있도록 모든준비를 하였습니다.
[출조문의 예약= = 010-3530-8877]
[예약받는시간 08시~22시까지}
[통화가 안될시 문자남겨주시면 연락드리겠습니다.]
출항 30분 전에 도착 부탁드립니다^^.........
반갑습니다.^^
거제 대포항 스타피싱 그선장 입니다.
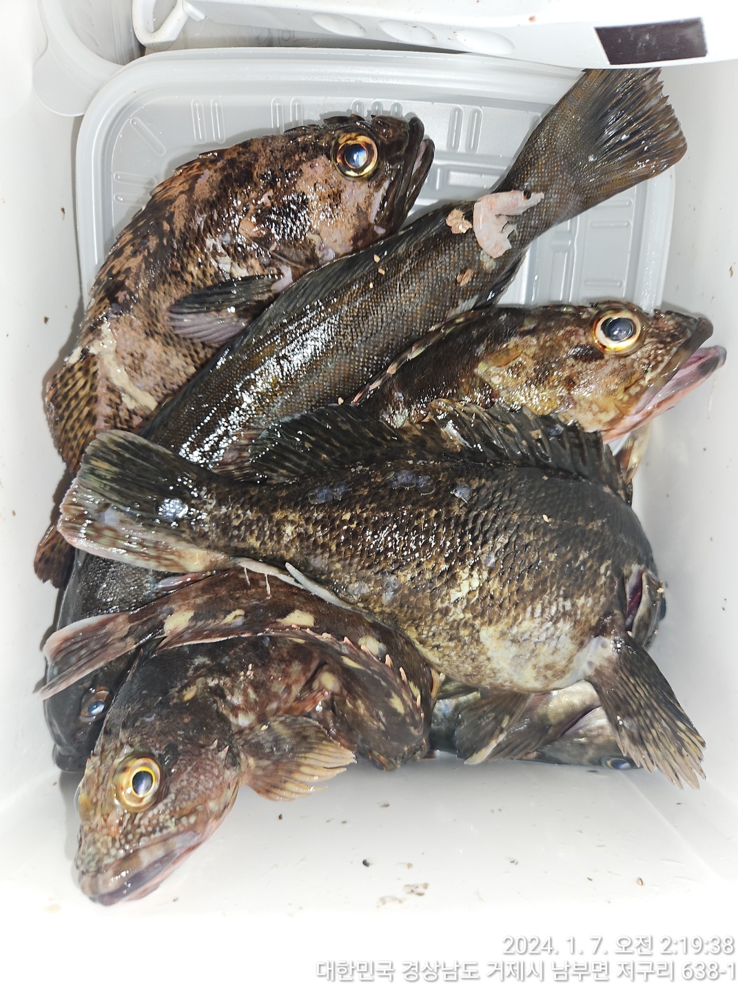
1월 6일 주말 토요일 매물도권 및 준내만권 밤뽈락 출조 조황 입니다.
요 몆일은 바다날씨가 영~별로 입니다.
밤뽈락 출조도 퐁당 퐁당 출조를 해보지만 역시나 날씨의 영향을 많이받는 낚시라 좋은조황을 보기는 힘드네요.
그나마 토요일은 빤짝 날씨가 괸찮아보였지만 역시나 바람이 많아 이리저리 바람피하여 숨어들어가기 바빴네요.ㅡㅡ"
어려운 여건속에서도 제범 쿨러로 손맛을보신분들도 계시고 드실만큼 반쿨하신분들도 계시고
손맛을 보시지 못하신분들도 계셨습니다.
오늘 현제 날씨가 빼꼼하여 10여분들께서 밤마실삼아 뽈락낚시를 나가계시지만 오늘도 바람이 제법 분다고하시네요.
한동안 포근하다 다시금 제법 추워젔습니다.
겨울철 출조시에는 아주 소량의 비예보가 있어도 우의는 꼭 준비하시고 출조를 하셔야 합니다.
한겨울에는 조금의 비만 맞아도 많이 추워집니다.
낚시복 정도만 챙기셔도 괸찮겠습니다.
특히 야간출조 새벽출조시 방한에 만전을 기하시고 출조를 하셔야 하겠습니다.
스타피싱은 구을비도권 매물도권 출조 새벽출조 오후바리출조로 출조중입니다.
늘 그렇듯 모둔분들께서 손맛을 보시길 바래보지만 모든분들이 다 손맛을 보시지는 못하셨습니다.
그선장 늘 많은분들께서 손맛을 즐기실수 있도록 더욱더 노력하겠습니다.^^
출항전 하선하시고싶은 섬 대매물도:소매물도 미리 이야기해주시면 최대한 맞추어 드리도록 하겠습니다.
마 그냥 선장님 촉대로 내려주이소 하시믄 손맛보십니데이~ㅋㅋㅋ
다녀가신 조우님들 수고많으셨습니다.
감사합니다.^^
그선장 기상이 허락하는날은 밤출조 새벽출조 오전 오후리리출조 쭉~달림니다.^^
###저희 스타피싱 주 출조지는 매물도""대덕도"가왕도"죽도"대포권 등 입니다.###
"스타피싱" 매물도 및 준내만권 진입하는 최단거리 최단시간의 출항지 입니다.^^
***매물도권 준내만권 밤"뽈락" 출조합니다***
***출조 오후17시00출조 ~ 철수: 24시00분 04시00분 철수
***준내만 3인 이상 밤뽈"출조 19시00시21:00시 출조가능 합니다.
** 기상등 현지사정으로 출조시간이 변경될수도 있으니 반드시 예약전화로 확인바랍니다
**대물을 낚으셔서 무료승선권 많이많이 받아가셔유~~^^
@@벵에돔 40cm 이상 1장 50cm 이상 2장 @@
@@벵에돔 30cm 이상 10마리이상 1장 @@
@@참돔 60cm 이상 1장 70cm 이상 2장 80cm 이상 3장@@
@@감성돔 50cm 이상 1장 55cm 이상 2장@@
@@볼락 30cm 이상 1장
**주말출조시간은 기상에따라 변동적일수있으므로 문의부탁 드리겠습니다
매물도 출조는 예약제로 운영하오니 출조문의 예약번호로 예약부탁드립니다
가게 예약전번으로 010 3530 8877 연락주시면 되겠습니다.^^
네비주소 : 경남 거제시 남부면 대포길 62-1
준 비 물 : 신분증 구명조끼(300만원)참,야영시에는 텐트.취사도구는 단속대상입니다(참고하세요)
언제나 저희 스타피싱 낚시를 찾아주신조사님들께 감사드립니다(^^)