네임
카드
카드
척포낚시배
경남 통영시 척포길 187
010-3857-7766
경남 통영시 척포길 187
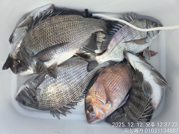
어제 볼락이 있는가 하고
탐사차 2사람이 볼락낚시
출조를 하였는데 이거 뭣가!
1사람은 3~40여수를 다른
1사람은 쿨러가 부족 할
정도로 가득 담았서 왔네요.
오늘 볼락 출조를 할 예정인
사람들은 16시 30분까지
오시면 출조 할 수가
있겠습니다.
저의척포낚시배는
통영시 척포길 187에 있으며.
연락처는, 010 3857 7766
입니다
밴드는 band.us/@chukpo1
▶ 지켜주세요! ◀
- 당일 조황을 올리셔야 합니다.
- 지난 조황은 2일이내 미등록 조황만 가능합니다.
- 이미 올린 조황을 붙여넣기하여 계속 등재하시면 중복조황에 해당합니다.
- 당일 조황을 올리면서 이전 조황을 같이 올리면 중복조황에 해당합니다.
- 조황없는 출조정보는 출조정보 게시판을 이용하시길 바랍니다.
- 올린 글 삭제하고 다시 올려 상단에 올리려는 방법, 이용규칙 위반입니다.
- 제목에 특수문자 사용하시면 안됩니다. (온점, 쉼표, 느낌표, 괄호, 물결만 허용)
☆ 공지사항에 '조황등재시 유의사항' 게시글을 꼭 확인하시고 조황작성 부탁드리며, 가장 기본적인
규칙이 지켜지지 않을 시 예고없이 글 삭제 및 이용정지 될 수 있음을 알려드립니다.