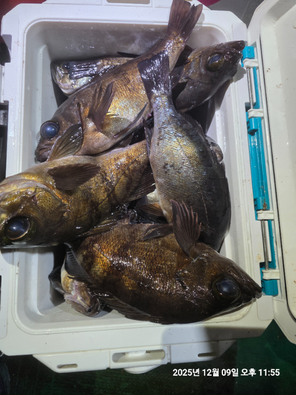
꾸준한 감성돔 호조황~.
02월 14일(토)
인낚 현재접속자
4,094명 (
198
)
공지사항
인낚도서관
점주선장전용 공지사항
로그인
광고/제휴 문의
운영진에게
인낚ㅣ인터넷바다낚시
0
어종별선상
어종별갯바위
낚시인조황
점주선장조황
출조정보
낚시광장
낚시지식인
낚시교실
중고장터
휴게실
인낚도서관
인낚몰
0
어종별선상
4대돔 조황
먹물 조황
갈치 조황
볼락&전갱이
빅게임 지깅&파핑
외줄&외수질
기타 어종
어종별갯바위
4대돔 조황
먹물 조황
갈치 조황
볼락&전갱이
농어&삼치&방어&부시리
기타 어종
낚시인조황
낚시인 번개조황
낚시인조행기
스탭조행기
우리낚시동호회이야기
전국낚시동호회소개
동호회갤러리
지난 조황자료보기(년도별 조황 자료)
점주선장조황
전국 실시간 조황
선상(배)+좌대 조황
갯바위+방파제 조황
점주선장전용 공지사항
지난 조황자료보기(년도별 조황 자료)
출조정보
낚시인동행출조
점주선장 갯바위 출조
점주선장 선상출조
기상파고정보(기상청)
해상예보
물때표
파고예보(일본)
실시간해양관측예보
스마트조석예보
낚시광장
낚시계뉴스
대회 및 낚시관련 홍보
제품평가단
신상품소개
낚시지식인
Q&A 묻고 답하기
지식인 베스트
조황/포인트 문의
낚시용품 사용기
낚시투표
토론방
新어류도감
낚시교실
낚시기법소개
어종별 낚시교실
입문자교실
중급자교실
낚시용어사전
중고장터
중고장터 이용후기
더치트 사기피해 검색
팝니다
삽니다
교환합시다
무료로 드립니다
부품팝니다
부품삽니다
일반 생활용품 사고 팔기
휴게실
출석부
낚시갤러리
세상사는 이야기(자유게시판)
낚시이야기 마당
먹고사는 이야기
구인구직
칭찬합니다
어째이런일이
습득물 찾기
인낚도서관
인낚 유튜브
인낚 칼럼
블루, 그것이 알고싶다
더블테일의 두 눈으로 보는 세상
입질의추억의 피싱다이어리
나無의 바다 이야기
전문강좌
海巖의 바다낚시 이야기
이성규의 전유동낚시 강좌
조성민의 금요루어클럽
메인
어종별선상
어종별갯바위
낚시인조황
점주선장조황
출조정보
낚시광장
낚시지식인
낚시교실
중고장터
휴게실
인낚도서관
인낚몰
0
전국 실시간 조황
선상(배)+좌대 조황
갯바위+방파제 조황
점주선장전용 공지사항
지난 조황자료보기(년도별 조황 자료)
점주/선장 >
갯바위 + 방파제 조황
꾸준한 감성돔 호조황~.
돌산작금프린스호
0
335
2025.12.07 22:30
● 출항지 : 여수,광양
● 출조지 : 여수,광양
● 출조인원 : 20명 이상
네임
카드
돌산작금프린스호
여수시 돌산읍 돌산로655-13
010-3514-9648
실시간 예약
홈페이지
밴드 바로가기
유튜브/SNS
돌산 작금 프린스호 입니다
끝나지 않은 왕사리물뗘
시야는 답답했지만
찐한 손맛은 전포인트에서..
내일도 대물을 찾아
04시출항합니다
출조 예약시
010. 3514. 9648
찾아오시는길
여수시 돌산읍 돌산로655-13
0
신고
목록
0
댓글
로그인한 회원만 댓글 등록이 가능합니다.
×
Image Upload
로그인한 회원만 등록가능합니다.
포토
제목
이름
날짜
[사천] [코난피싱]일요일 밤뽈락출조 갑니다~~
출항지 : 사천 / 출조지 : 사천
사천부강호
17
43분전
사천부강호
10:48
[통영] 아쿠아] 5짜중반 체포하고 포근하게 즐낚중~
출항지 : 통영 / 출조지 : 통영
통영아쿠아피싱
78
1시간전
통영아쿠아피싱
10:07
[통영] 탱크체포 설연휴 매일 출항~
출항지 : 통영 / 출조지 : 통영
파워피싱아일랜드호
68
2시간전
파워피싱아일랜드호
09:28
[통영] 척포[제일호] 밤 뽈락~쿨러~반쿨로~정상출항~~
출항지 : 통영 / 출조지 : 통영
척포제일호
115
3시간전
척포제일호
08:52
[고흥,녹동] 실전낚시 2월13일 거문도 장도 다녀왔습니다
출항지 : 고흥,녹동 / 출조지 : 고흥,녹동
녹동실전낚시
68
7시간전
녹동실전낚시
04:44
[완도] 청산도 조황
출항지 : 완도 / 출조지 : 완도
완도등대호
71
9시간전
완도등대호
02:38
[통영] [[척포은성호]]뽈라구 간만의 쿨러 조황~~~
출항지 : 통영 / 출조지 : 통영
척포은성호
190
9시간전
척포은성호
02:13
[여수,광양] 저수온도속 감성돔 조황
출항지 : 여수,광양 / 출조지 : 여수,광양
돌산작금프린스호
145
02.13
돌산작금프린스호
02.13
[고흥,녹동] 13일(금)감성돔 조황!
출항지 : 고흥,녹동 / 출조지 : 고흥,녹동
고흥명성피싱호
65
02.13
고흥명성피싱호
02.13
[울산] 2월13일 장생포 동네낚시 조황
출항지 : 울산 / 출조지 : 울산
장생포털보낚시
89
02.13
장생포털보낚시
02.13
[여수,광양] 성빈호. 2월13일 출조다녀왔습니다.
출항지 : 여수,광양 / 출조지 : 여수,광양
여수성빈호
186
02.13
여수성빈호
02.13
[여수,광양] 전설해태호> 금오열도 굵은씨알 덩어리 감성돔들 ,,,
출항지 : 여수,광양 / 출조지 :
여수전설해태호
190
02.13
여수전설해태호
02.13
[여수,광양] 2/13 금요일 빵좋은 51.50 대물감성돔조황!!
출항지 : 여수,광양 / 출조지 : 여수,광양
여수썬라이즈호
162
02.13
여수썬라이즈호
02.13
[거제] 양지암 대물감성돔 학공치 소식입니다
출항지 : 거제 / 출조지 : 거제
능포나이스낚시
386
02.13
능포나이스낚시
02.13
[거제] 구조라~대물 감성돔 조과외~~
출항지 : 거제 / 출조지 : 거제
거제포세이돈낚시
441
02.13
거제포세이돈낚시
02.13
초기화
날짜순
조회순
검색
1
2
3
4
5
Search
검색대상
제목
내용
제목+내용
회원아이디
회원아이디(댓글)
글쓴이
글쓴이(댓글)
또는
그리고
검색어
필수
검색
닫기
검색조건
제목
내용
제목+내용
회원아이디
회원아이디(코)
글쓴이
글쓴이(코)
검색어
또는
그리고
검색
인낚몰 초특가
★설특가 190,000★ 파직스 자동팽창식 구명의 PL-181+원줄+장갑
★설특가 99,000★ 디캡스 자동팽창식 구명복+원줄+장갑
★설특가 8,000부터★ ISF 바칸 삼나무 테이블
★설특가 4,000★ FF 블리츠 전자캐스팅볼 점등 점멸 + 구매수량만큼 425배터리 증정 / 4개단위로 구매시 케이스 증정
★설특가 12,000★ 티렉스 미니 일렉볼 + BR322 배터리 1개 증정
★설특가 6,000★ 티렉스 일렉트로볼 점등 점멸
★설특가 18,000부터★ 1+1 플로팅, 세미, 카본 낚시줄 행사 호수선택가능 / 택상 1+1 원줄, 목줄 행사
★3,000★ MAEK 맥 호래기 대바늘 호래기콕 J타입 (카본바디 2입)
★5,000★ 어부공방 NEW 호래전
★4,500★ 야마시타 SB 호래기 대바늘
★3,000★ 하야부사 6단 볼락 전갱이 카드채비 SD724 볼락채비
★1,000★볼락낚시에 최적인 메바트로볼 - 캐스팅볼, 메바볼