만재도 감성돔 조황

신상품 소개


회원 랭킹


공지사항


NaverBand
점주/선장 > 갯바위 + 방파제 조황

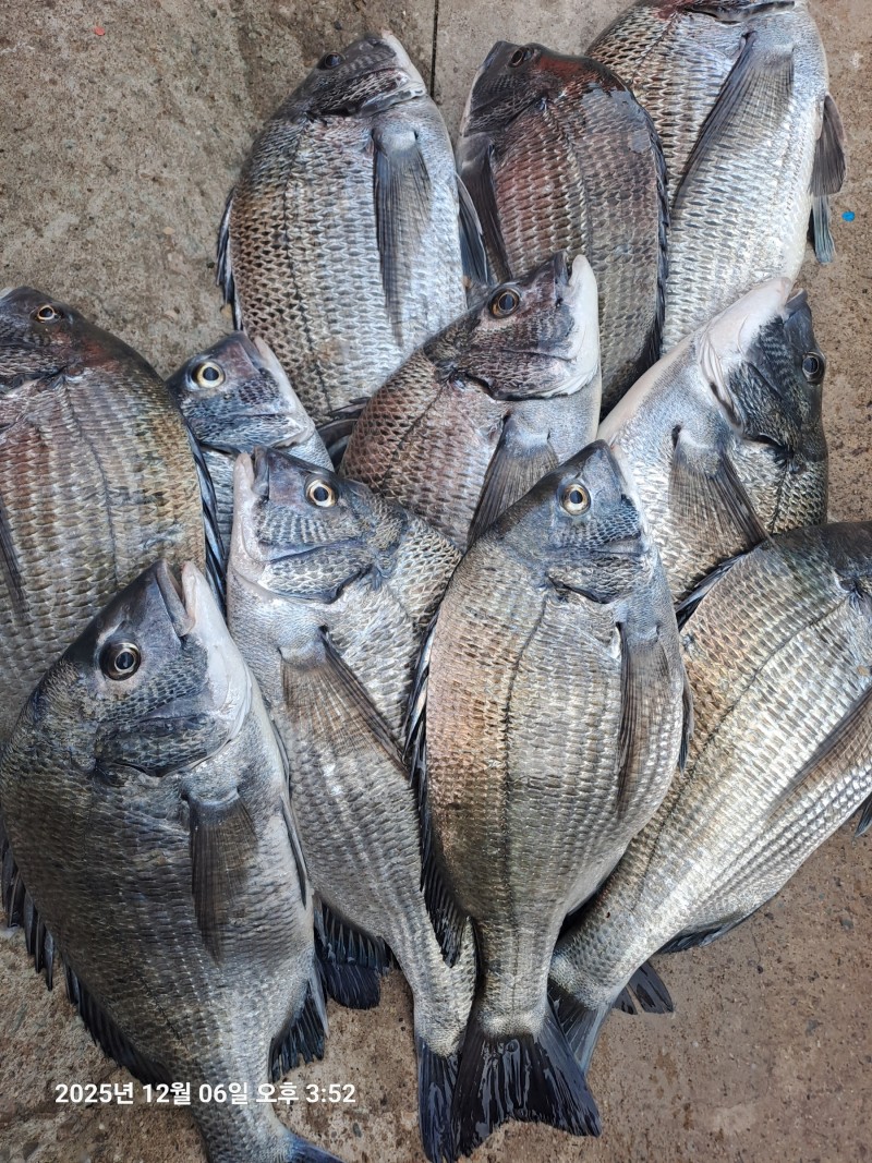
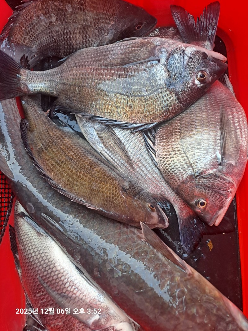
만재도 감성돔 조황

만재동진호 0 243
● 출항지 : 무안,신안

안녕하세요.

만재도동진호입니다. 

만재도 감성돔 조황 아주 좋습니다 

개인 20여수 이상 낭고 있습니다 

4짜 5짜.대물들 나오네요

.몇방씩 터지고 아쉬워 하십니다. 

종선비 5만원 입니다.

010-9381-0765. 

.

  • 페이스북으로 보내기
  • 트위터로 보내기
  • 구글플러스로 보내기
  • 카카오스토리로 보내기
  • 네이버밴드로 보내기
  • 네이버로 보내기
  • 텀블러로 보내기
  • 핀터레스트로 보내기
0 댓글
포토 제목
 
 

인낚 최신글


인낚 최신댓글


온라인 문의 안내


월~금 : 9:00 ~ 18:00
토/일/공휴일 휴무
점심시간 : 12:00 ~ 13:00