하태도 대박조황입니다

신상품 소개


회원 랭킹


공지사항


NaverBand
점주/선장 > 갯바위 + 방파제 조황

하태도 대박조황입니다

진도신신낚시 0 144
● 출항지 : 해남,진도

안녕하세요 

진도신신낚시 인사드립니다,

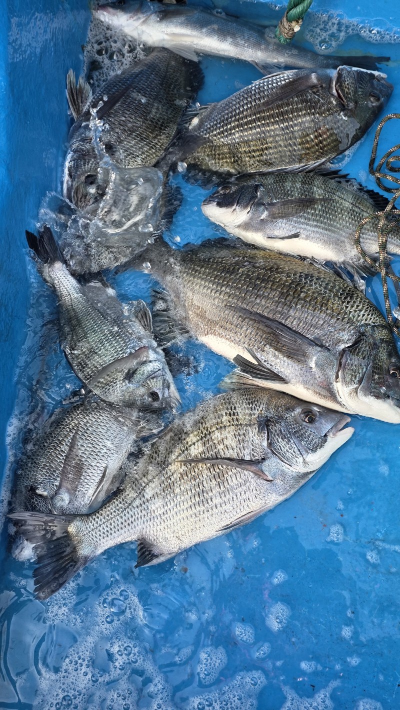
12월6~7일 하태도1박2일출조 조황입니다,

하태도 전포인트 에 감성돔 마릿수 조황입니다,

5짜넘는 대물감성돔들이 주로 나오고잇으며,

조류가 약한곳은 잔씨알의 감성돔 마릿수조황이 나와주었네요

너무 많이 나와 조황사진은 컷해서 올리겟습니다,

12월9~10일 하태도 1박2일 몆자리 여유있습니다,

출조문의

진도신신낚시

010-3086-0092

  • 페이스북으로 보내기
  • 트위터로 보내기
  • 구글플러스로 보내기
  • 카카오스토리로 보내기
  • 네이버밴드로 보내기
  • 네이버로 보내기
  • 텀블러로 보내기
  • 핀터레스트로 보내기
0 댓글
포토 제목
 
 

인낚 최신글


인낚 최신댓글


온라인 문의 안내


월~금 : 9:00 ~ 18:00
토/일/공휴일 휴무
점심시간 : 12:00 ~ 13:00