신지 신바다호

신상품 소개


회원 랭킹


공지사항


NaverBand
점주/선장 > 갯바위 + 방파제 조황

신지 신바다호

신지신바다 0 39
● 출항지 : 완도
F28277938I.jpg낚시뚜에서 인낚으로 보내는 자동조황
top01.png

민어킬러

신바다호

top02.png
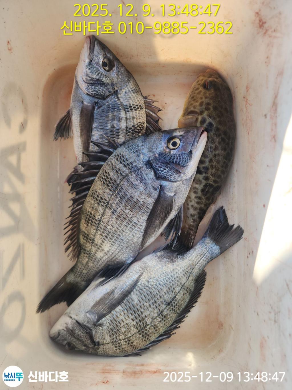
· 출조일시2025-12-09(화)
· 출조인원6명
· 어종감성돔

오늘도 신바다를 찾아주신 조사님들 감사합니다

F28277938I.jpgF282779239.jpgF2827791KZ.jpgF28277906V.jpg

오늘도 신바다를 찾아주신 조사님들 감사합니다.


​신분증 꼭 준비하십시요

밑밥(막기) 필요하신분은 전날 말씀 해주세요

출조지: 형도.제도. 외룡도.본도 3만

농여.모황도.진섬 3만5천

선창주소:전남 완도군 신지면 신지로 1012-16

​신바다호 010-9885-2362

네비주소 :전남 완도군 신지면 신지로 1012-16

예약문의

010-9885-2362

수협

0000 9885 2362

최문석

F00732823L.jpg

민어킬러

신바다호

최문석 선장

F05076673W.jpg
항구명 가인리항
승선인원 8명
출조점명 신지신바다
배 타는 곳전남 완도군 신지면 신지로 1012-16

홈페이지 바로가기 Click

낚시뚜
▶ 지켜주세요! ◀

- 당일 조황을 올리셔야 합니다.
- 지난 조황은 2일이내 미등록 조황만 가능합니다.
- 이미 올린 조황을 붙여넣기하여 계속 등재하시면 중복조황에 해당합니다.
- 당일 조황을 올리면서 이전 조황을 같이 올리면 중복조황에 해당합니다.
- 조황없는 출조정보는 출조정보 게시판을 이용하시길 바랍니다.
- 올린 글 삭제하고 다시 올려 상단에 올리려는 방법, 이용규칙 위반입니다.
- 제목에 특수문자 사용하시면 안됩니다. (온점, 쉼표, 느낌표, 괄호, 물결만 허용)

☆ 공지사항에 '조황등재시 유의사항' 게시글을 꼭 확인하시고 조황작성 부탁드리며, 가장 기본적인
규칙이 지켜지지 않을 시 예고없이 글 삭제 및 이용정지 될 수 있음을 알려드립니다.

  • 페이스북으로 보내기
  • 트위터로 보내기
  • 구글플러스로 보내기
  • 카카오스토리로 보내기
  • 네이버밴드로 보내기
  • 네이버로 보내기
  • 텀블러로 보내기
  • 핀터레스트로 보내기
0 댓글
포토 제목
 
 

인낚 최신글


인낚 최신댓글


온라인 문의 안내


월~금 : 9:00 ~ 18:00
토/일/공휴일 휴무
점심시간 : 12:00 ~ 13:00