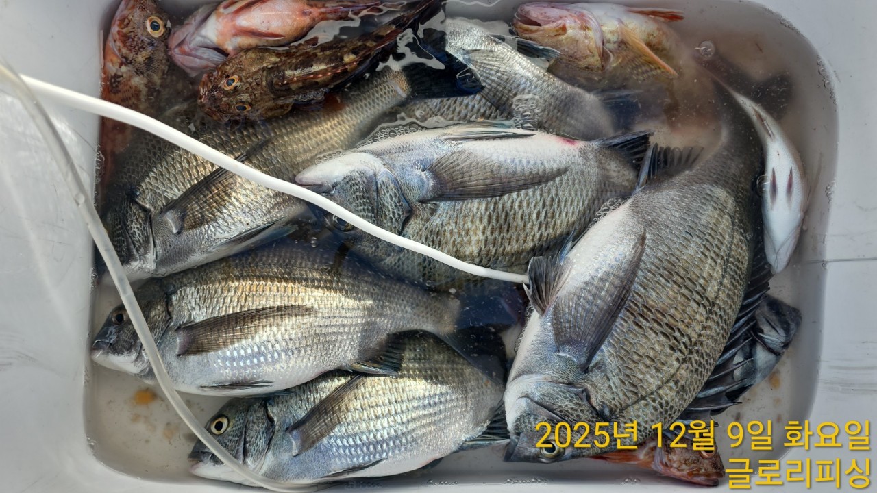
글로리호 52cm 감성돔 조황입니다

신상품 소개


회원 랭킹


공지사항


NaverBand
점주/선장 > 갯바위 + 방파제 조황

글로리호 52cm 감성돔 조황입니다

글로리피싱 0 34
● 출항지 : 여수,광양 ● 출조지 : 여수,광양

d60931d904b6bdf98c3cc8127a4686c9_1765265994_4744.jpg



 

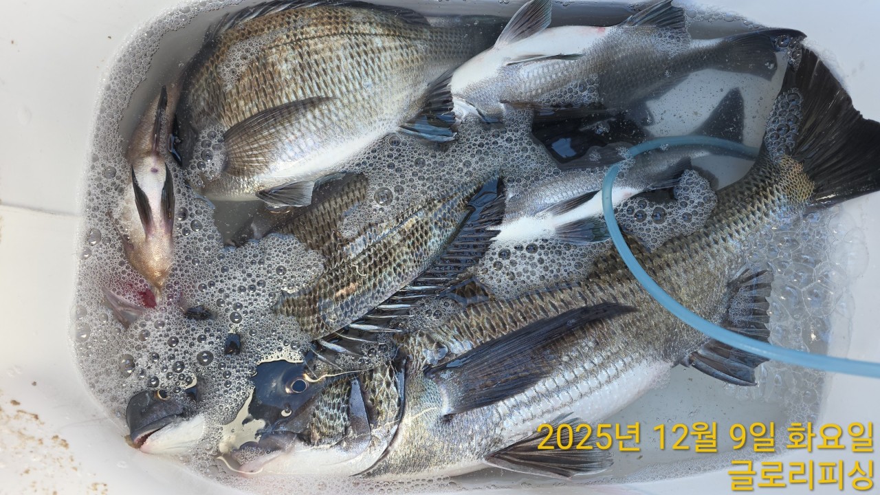
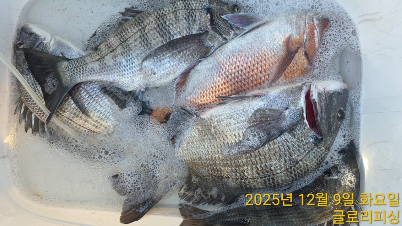
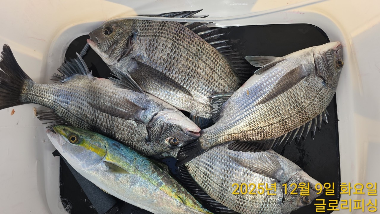
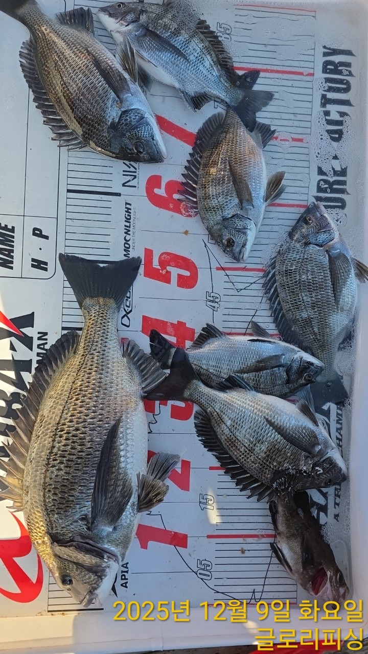
52cm급 감성돔~!! 어제 하루 주춤했던 조황이 오늘 조금 올라와 주네요.


60~70 %정도 손맛보고 배에 오르십니다.


오늘 50cm급 감성돔이 나오겠다 예상했는데 한 마리가 얼굴을 보여주네요.


내일도 힘차게 달립니다!!







d60931d904b6bdf98c3cc8127a4686c9_1765266036_2868.jpg



d60931d904b6bdf98c3cc8127a4686c9_1765266036_5132.jpg



d60931d904b6bdf98c3cc8127a4686c9_1765266036_7553.jpg



d60931d904b6bdf98c3cc8127a4686c9_1765266037_0794.jpg



d60931d904b6bdf98c3cc8127a4686c9_1765266037_3205.jpg



d60931d904b6bdf98c3cc8127a4686c9_1765266037_599.jpg



d60931d904b6bdf98c3cc8127a4686c9_1765266037_856.jpg



d60931d904b6bdf98c3cc8127a4686c9_1765266038_1267.jpg



d60931d904b6bdf98c3cc8127a4686c9_1765266038_3593.jpg



d60931d904b6bdf98c3cc8127a4686c9_1765266038_6616.jpg



d60931d904b6bdf98c3cc8127a4686c9_1765266051_794.jpg



d60931d904b6bdf98c3cc8127a4686c9_1765266052_0834.jpg



d60931d904b6bdf98c3cc8127a4686c9_1765266052_322.jpg




 

        1-1출항 시간 

  
12월 11일(목) 04시 30분 ~ 14시 금오열도
12월 12일(금) 04시 30분 ~ 14시 금오열도

12월 13일(토) 1항차 : 02시 ~ 12시 금오열도
               2항차 : 04시 ~ 14시 금오열도
12월 14일(일) 1항차 : 02시 ~ 12시 금오열도
               2항차 : 04시 ~ 14시 금오열도

12월 15일(월) 04시 30분 ~ 14시 금오열도
12월 16일(화) 04시 30분 ~ 14시 금오열도
12월 17일(수) 04시 30분 ~ 14시 금오열도
12월 18일(목) 04시 30분 ~ 14시 금오열도
12월 19일(금) 04시 30분 ~ 14시 금오열도


1-2. 출조지역, 기상에 따라 출, 입항 시간이 변동 됩니다. 
       밴드에 가입하시면 실시간 확인 가능 합니다


1-3. 글로리피싱 밴드 안내

     https://band.us/@gloryfishing  


2. 안내 사항
  2-1. 신분증은 꼭 지참 하시기 바랍니다.
       구명 조끼,갯바위화는 반드시 착용하시기 바랍니다





 

  • 페이스북으로 보내기
  • 트위터로 보내기
  • 구글플러스로 보내기
  • 카카오스토리로 보내기
  • 네이버밴드로 보내기
  • 네이버로 보내기
  • 텀블러로 보내기
  • 핀터레스트로 보내기
0 댓글
포토 제목
 
 

인낚 최신글


인낚 최신댓글


온라인 문의 안내


월~금 : 9:00 ~ 18:00
토/일/공휴일 휴무
점심시간 : 12:00 ~ 13:00