뱅에판떼기/돌돔38,37/감성돔45,44,43,42,41
01월 25일(일)
인낚 현재접속자
4,352명 (
265
)
공지사항
인낚도서관
점주선장전용 공지사항
로그인
광고/제휴 문의
운영진에게
인낚ㅣ인터넷바다낚시
0
어종별선상
어종별갯바위
낚시인조황
점주선장조황
출조정보
낚시광장
낚시지식인
낚시교실
중고장터
휴게실
인낚도서관
인낚몰
0
어종별선상
4대돔 조황
먹물 조황
갈치 조황
볼락&전갱이
빅게임 지깅&파핑
외줄&외수질
기타 어종
어종별갯바위
4대돔 조황
먹물 조황
갈치 조황
볼락&전갱이
농어&삼치&방어&부시리
기타 어종
낚시인조황
낚시인 번개조황
낚시인조행기
스탭조행기
우리낚시동호회이야기
전국낚시동호회소개
동호회갤러리
지난 조황자료보기(년도별 조황 자료)
점주선장조황
전국 실시간 조황
선상(배)+좌대 조황
갯바위+방파제 조황
점주선장전용 공지사항
지난 조황자료보기(년도별 조황 자료)
출조정보
낚시인동행출조
점주선장 갯바위 출조
점주선장 선상출조
기상파고정보(기상청)
해상예보
물때표
파고예보(일본)
실시간해양관측예보
스마트조석예보
낚시광장
낚시계뉴스
대회 및 낚시관련 홍보
제품평가단
신상품소개
낚시지식인
Q&A 묻고 답하기
지식인 베스트
조황/포인트 문의
낚시용품 사용기
낚시투표
토론방
新어류도감
낚시교실
낚시기법소개
어종별 낚시교실
입문자교실
중급자교실
낚시용어사전
중고장터
중고장터 이용후기
더치트 사기피해 검색
팝니다
삽니다
교환합시다
무료로 드립니다
부품팝니다
부품삽니다
일반 생활용품 사고 팔기
휴게실
출석부
낚시갤러리
세상사는 이야기(자유게시판)
낚시이야기 마당
먹고사는 이야기
구인구직
칭찬합니다
어째이런일이
습득물 찾기
인낚도서관
인낚 유튜브
인낚 칼럼
블루, 그것이 알고싶다
더블테일의 두 눈으로 보는 세상
입질의추억의 피싱다이어리
나無의 바다 이야기
전문강좌
海巖의 바다낚시 이야기
이성규의 전유동낚시 강좌
조성민의 금요루어클럽
메인
어종별선상
어종별갯바위
낚시인조황
점주선장조황
출조정보
낚시광장
낚시지식인
낚시교실
중고장터
휴게실
인낚도서관
인낚몰
0
전국 실시간 조황
선상(배)+좌대 조황
갯바위+방파제 조황
점주선장전용 공지사항
지난 조황자료보기(년도별 조황 자료)
점주/선장 >
갯바위 + 방파제 조황
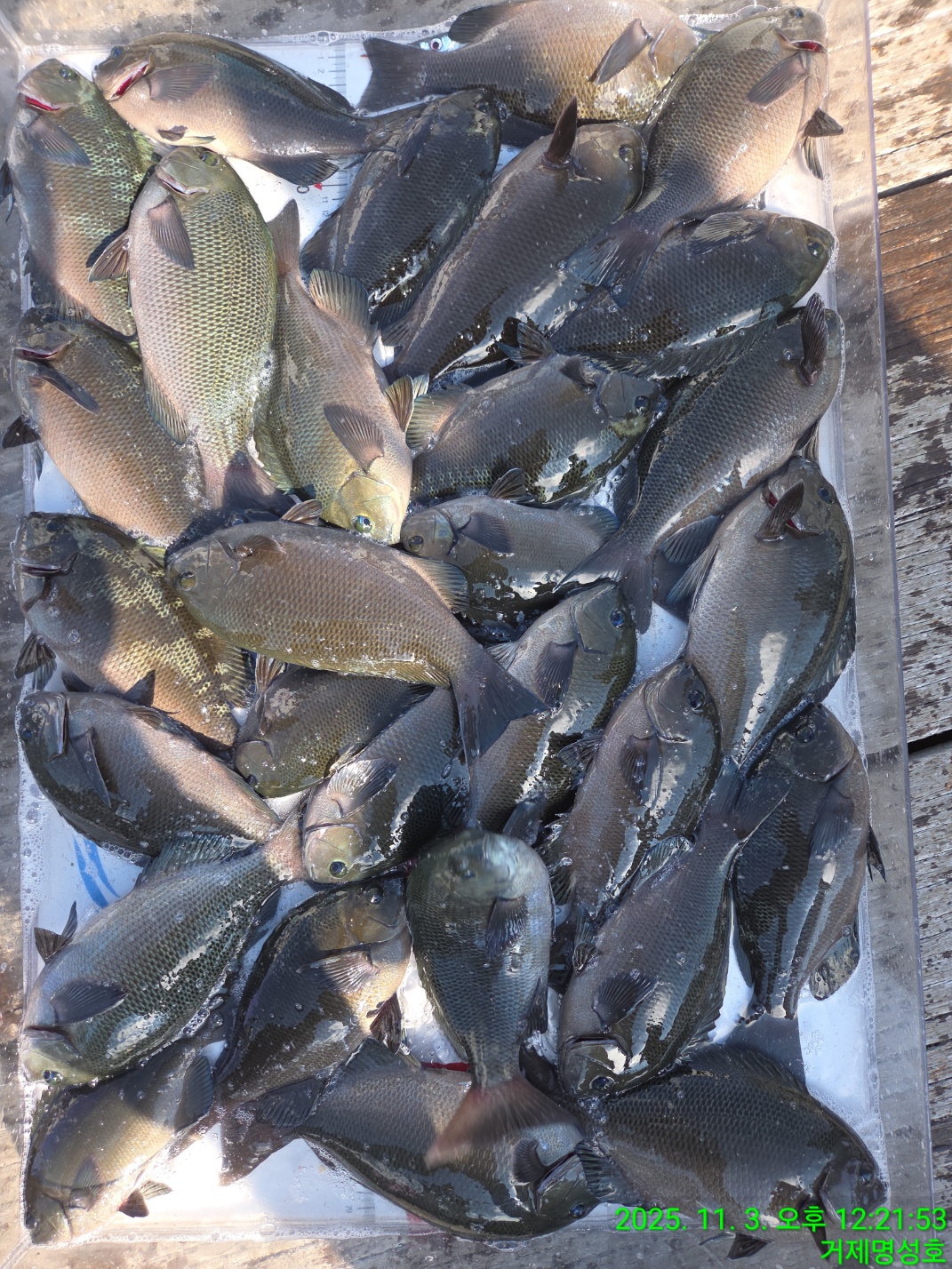
뱅에판떼기/돌돔38,37/감성돔45,44,43,42,41
거제명성호
0
970
2025.11.04 19:44
● 출항지 : 거제
● 출조지 : 거제
● 출조인원 : 16~20명
네임
카드
거제명성호
경남 거제시 남부면
저구리 89-6
010-3572-5323
실시간 예약
홈페이지
밴드 바로가기
유튜브/SNS
안녕하십니까?
거제명성호 11월3,4일조황입니다.
어제는 뱅에돔이 판떼기로 나오더니
오늘은 덩치급 돌돔과 감성돔이 몇마리 나왔습니다.
오늘도 저희 명성낚시,명성호를 찾아주시어 감사합니다.
명성호 홈페이지 http://거제명성호.kr
<출조문의>
명성낚시 : 010 - 5669 - 2000
명 성 호 : 010 - 3572 - 5323
오시는길 : 거제시 남부면 저구리 89-6번지
(도로명주소는 저구해안길 43번지) 입니다
===========================================# 정직한 조황으로 안전하고 즐거운 낚시여행이 될수 있도록 최선을 다하겠습니다. #
@@@ 행복한 갯바위 낚시를 위한 꿀팁 @@@
1. 갯바위 쓰레기는 싹다 잡아주시고~~~ 물청소하는 센스~
2. 안전장구 착용은 필수~(구명복, 갯바위신발..등)
3. 신분증은 꼭~~ 챙겨오시구요
4. 고기사랑~ 낚시 사랑 (방생사이즈 고기는 살려주는 센스)
5. 매물도권은 취사.텐트는 단속 대상입니다.~~
감사합니다 "꾸뻑"
0
신고
목록
0
댓글
로그인한 회원만 댓글 등록이 가능합니다.
×
Image Upload
로그인한 회원만 등록가능합니다.
포토
제목
이름
날짜
[통영] 완전종일)탱크51,50외 터지고 난리부르스(05시-17시)
출항지 : 통영 / 출조지 : 통영
파워피싱아일랜드호
279
5분전
파워피싱아일랜드호
21:50
[여수,광양] 휴일 감성돔 꾸준한 조황
출항지 : 여수,광양 / 출조지 : 여수,광양
돌산작금프린스호
30
48분전
돌산작금프린스호
21:06
[여수,광양] 1/25일 일요일 마릿수 감성돔소식~~~!!!!!
출항지 : 여수,광양 / 출조지 : 여수,광양
여수153낚시
47
1시간전
여수153낚시
20:50
[통영] 볼락등 척포소식입니다
출항지 : 통영 / 출조지 : 통영
척포낚시배
58
1시간전
척포낚시배
20:31
[울산] 1/25일 장생포 동네낚시 떡전어 굿~ 조황
출항지 : 울산 / 출조지 : 울산
장생포털보낚시
25
2시간전
장생포털보낚시
20:12
[거제] 감성돔&학꽁치
출항지 : 거제 / 출조지 : 거제
거제명성호
114
2시간전
거제명성호
19:50
[거제] 외포 소식입니다.
출항지 : 거제 / 출조지 :
외포낚시
226
3시간전
외포낚시
19:11
[부산] 가덕도월척낚시 감성돔 조황입니다
출항지 : 부산 / 출조지 : 부산
가덕도월척낚시
168
3시간전
가덕도월척낚시
19:03
[부산] 가덕대항낚시[학꽁치/마릿수]조황입니다.
출항지 : 부산 / 출조지 : 부산
가덕도대항낚시선장
92
3시간전
가덕도대항낚시선장
19:02
[부산] 가덕대항낚시[4짜마릿수/감성돔]조황입니다.
출항지 : 부산 / 출조지 : 부산
가덕도대항낚시선장
150
3시간전
가덕도대항낚시선장
18:54
[여수,광양] 글로리호 조황입니다.
출항지 : 여수,광양 / 출조지 : 여수,광양
글로리피싱
104
3시간전
글로리피싱
18:47
[남해] 1/25 미조 대림호 조황입니다
출항지 : 남해 / 출조지 : 남해
미조대림호
201
3시간전
미조대림호
18:45
[부산] 가덕자유인낚시 감성돔 조황입니다.
출항지 : 부산 / 출조지 : 부산
가덕도자유인낚시
143
3시간전
가덕도자유인낚시
18:39
[남해] 간만에 주말에 쫌 나와주네요~~~
출항지 : 남해 / 출조지 : 남해
낚시가좋아two
225
3시간전
낚시가좋아two
18:37
[여수,광양] 1/25 휴일 50.49.48.46 대물 감성돔 조황!!
출항지 : 여수,광양 / 출조지 : 여수,광양
여수썬라이즈호
104
4시간전
여수썬라이즈호
18:20
초기화
날짜순
조회순
검색
1
2
3
4
5
Search
검색대상
제목
내용
제목+내용
회원아이디
회원아이디(댓글)
글쓴이
글쓴이(댓글)
또는
그리고
검색어
필수
검색
닫기
검색조건
제목
내용
제목+내용
회원아이디
회원아이디(코)
글쓴이
글쓴이(코)
검색어
또는
그리고
검색
인낚몰 초특가
MAEK 맥 호래기 대바늘 호래기콕 J타입 (카본바디 2입)
어부공방 NEW 호래전
야마시타 SB 호래기 대바늘
★3,000★ 하야부사 6단 볼락 전갱이 카드채비 SD724 볼락채비
★1,000★볼락낚시에 최적인 메바트로볼 - 캐스팅볼, 메바볼
★13,000~★3NO 일본 오리지날 직수입 극강 멀티 무광 마크사 원줄
★500★ W쿠션 멀티 수중찌 M L - 전유동 반유동 끄심바리 필수품 수중쿠션
★5,900★ 여러개 있으면 아주 좋은 EVA 시스템 백
★ 1+1 플로팅, 세미, 카본 낚시줄 행사 호수선택가능 / 택상 1+1 원줄, 목줄 행사
★6,000★ 예민함의 끝판왕 애니원찌 벵에돔찌 학공치찌
★15,000★ 오동목 구멍찌 5개 + 메쉬 찌케이스 세트
★22만원★ 40W 집어등을 이 가격에!