11/29 남해 미조 대림호 갯바위조황입니다

신상품 소개


회원 랭킹


공지사항


NaverBand
점주/선장 > 갯바위 + 방파제 조황

11/29 남해 미조 대림호 갯바위조황입니다

미조대림호 0 553
● 출항지 : 남해 ● 출조지 : 남해
41c7cd835fdc604feda4712b0bf22506_1764411699_7193.jpeg



41c7cd835fdc604feda4712b0bf22506_1764411699_9274.jpeg



41c7cd835fdc604feda4712b0bf22506_1764411700_1285.jpeg



41c7cd835fdc604feda4712b0bf22506_1764411700_3147.jpeg



41c7cd835fdc604feda4712b0bf22506_1764411707_4254.jpeg



41c7cd835fdc604feda4712b0bf22506_1764411707_6308.jpeg



41c7cd835fdc604feda4712b0bf22506_1764411707_8451.jpeg



41c7cd835fdc604feda4712b0bf22506_1764411708_0191.jpeg



41c7cd835fdc604feda4712b0bf22506_1764411708_1943.jpeg



41c7cd835fdc604feda4712b0bf22506_1764411717_5011.jpeg



41c7cd835fdc604feda4712b0bf22506_1764411717_6922.jpeg



41c7cd835fdc604feda4712b0bf22506_1764411717_8795.jpeg


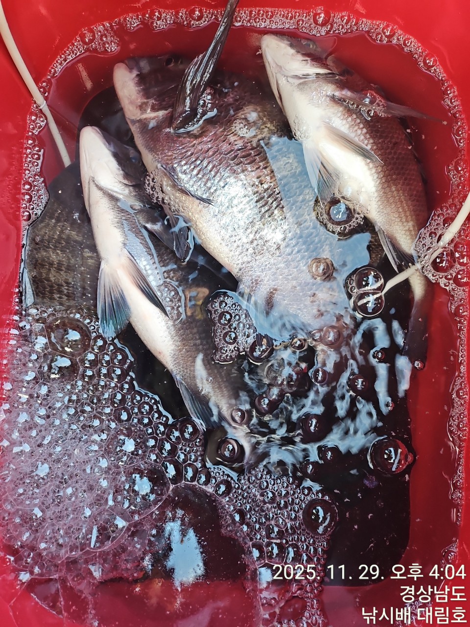
안녕하세요 남해 미조 대림호입니다.

 

금일조황입니다

그다지 좋은 물때는 아니여도 손맛은 보네요

 

출조하신 조사님들 수고하셨습니다.

 

<미조 낚시배 대림호> 

*선장연락처 : 010-2090-0407

*갯바위낚시&선상낚시 전문

*승선정원 - 선장포함 18명 / 톤수 - 7.93t)

*주소 : 남해군 미조면 미조로 318번길 16

—————————————————————

*밑밥 / 미끼 예약 가능합니다

: 출조시 밑밥 및 미끼는 미리 준비해오셔도 무방하오며 미리 준비하시지 못하신분들은 밑밥 예약가능합니다

—————————————————————

*저녁 9시 이후에는 간혹 전화를 못받는경우가 있을수있어 양해부탁드립니다.

—————————————————————

*휴무안내

- 매월 둘째/넷째 화요일은 휴무입니다(전화문의)

—————————————————————

※주차

-대림호 선착장 앞으로 넓은 공용 주차시설 완비되어있습니다.

편하게 주차가능합니다.

—————————————————————

*낚시배와 펜션 함께 운영하고있습니다 (꿈엔들펜션)

-펜션문의 : 010-2620-1067

-낚시문의 : 010-2090-0407

 

 

*꿈엔들펜션 바로가기

 

 

www.꿈엔들.kr


  • 페이스북으로 보내기
  • 트위터로 보내기
  • 구글플러스로 보내기
  • 카카오스토리로 보내기
  • 네이버밴드로 보내기
  • 네이버로 보내기
  • 텀블러로 보내기
  • 핀터레스트로 보내기
0 댓글
포토 제목
 
 

인낚 최신글


인낚 최신댓글


온라인 문의 안내


월~금 : 9:00 ~ 18:00
토/일/공휴일 휴무
점심시간 : 12:00 ~ 13:00