가거도 감성돔 겨울 시즌 서서히 시작되네요!!!
12월 06일(토)
인낚 현재접속자
3,700명 (
215
)
공지사항
인낚도서관
점주선장전용 공지사항
로그인
광고/제휴 문의
운영진에게
인낚ㅣ인터넷바다낚시
0
어종별선상
어종별갯바위
낚시인조황
점주선장조황
출조정보
낚시광장
낚시지식인
낚시교실
중고장터
휴게실
인낚도서관
인낚몰
0
어종별선상
어종별 선상조황
4대돔 조황
먹물 조황
갈치 조황
볼락&전갱이
빅게임 지깅&파핑
외줄&외수질
기타 어종
어종별 갯바위조황
4대돔 조황
먹물 조황
갈치 조황
볼락&전갱이
농어&삼치&방어&부시리
기타 어종
어종별갯바위
어종별 선상조황
4대돔 조황
먹물 조황
갈치 조황
볼락&전갱이
빅게임 지깅&파핑
외줄&외수질
기타 어종
어종별 갯바위조황
4대돔 조황
먹물 조황
갈치 조황
볼락&전갱이
농어&삼치&방어&부시리
기타 어종
낚시인조황
낚시인 번개조황
낚시인조행기
스탭조행기
우리낚시동호회이야기
전국낚시동호회소개
동호회갤러리
지난 조황자료보기(년도별 조황 자료)
점주선장조황
전국 실시간 조황
선상(배)+좌대 조황
갯바위+방파제 조황
점주선장전용 공지사항
지난 조황자료보기(년도별 조황 자료)
출조정보
낚시인동행출조
점주선장 갯바위 출조
점주선장 선상출조
기상파고정보(기상청)
해상예보
물때표
파고예보(일본)
실시간해양관측예보
스마트조석예보
낚시광장
낚시계뉴스
대회 및 낚시관련 홍보
제품평가단
신상품소개
낚시지식인
Q&A 묻고 답하기
조황/포인트 문의
주간 베스트
낚시용품 사용기
낚시투표
토론방
新어류도감
낚시교실
낚시기법소개
어종별 낚시교실
입문자교실
중급자교실
낚시용어사전
중고장터
중고장터 이용후기
더치트 사기피해 검색
팝니다
삽니다
교환합시다
무료로 드립니다
부품팝니다
부품삽니다
일반 생활용품 사고 팔기
휴게실
출석부
낚시갤러리
세상사는 이야기(자유게시판)
낚시이야기 마당
먹고사는 이야기
구인구직
칭찬합니다
어째이런일이
습득물 찾기
메인
어종별선상
어종별갯바위
낚시인조황
점주선장조황
출조정보
낚시광장
낚시지식인
낚시교실
중고장터
휴게실
0
전국 실시간 조황
선상(배)+좌대 조황
갯바위+방파제 조황
점주선장전용 공지사항
지난 조황자료보기(년도별 조황 자료)
점주/선장 >
갯바위 + 방파제 조황
가거도 감성돔 겨울 시즌 서서히 시작되네요!!!
목포신안낚시마트
0
201
12.04 19:31
● 출항지 : 무안,신안
● 출조지 : 무안,신안
● 출조인원 : 3~5명
네임
카드
목포신안낚시마트
전라남도 목포시 영산로 847 (대양동) 창고형 낚시 할인 마트
01046067041
0612827041
실시간 예약
홈페이지
밴드 바로가기
유튜브/SNS
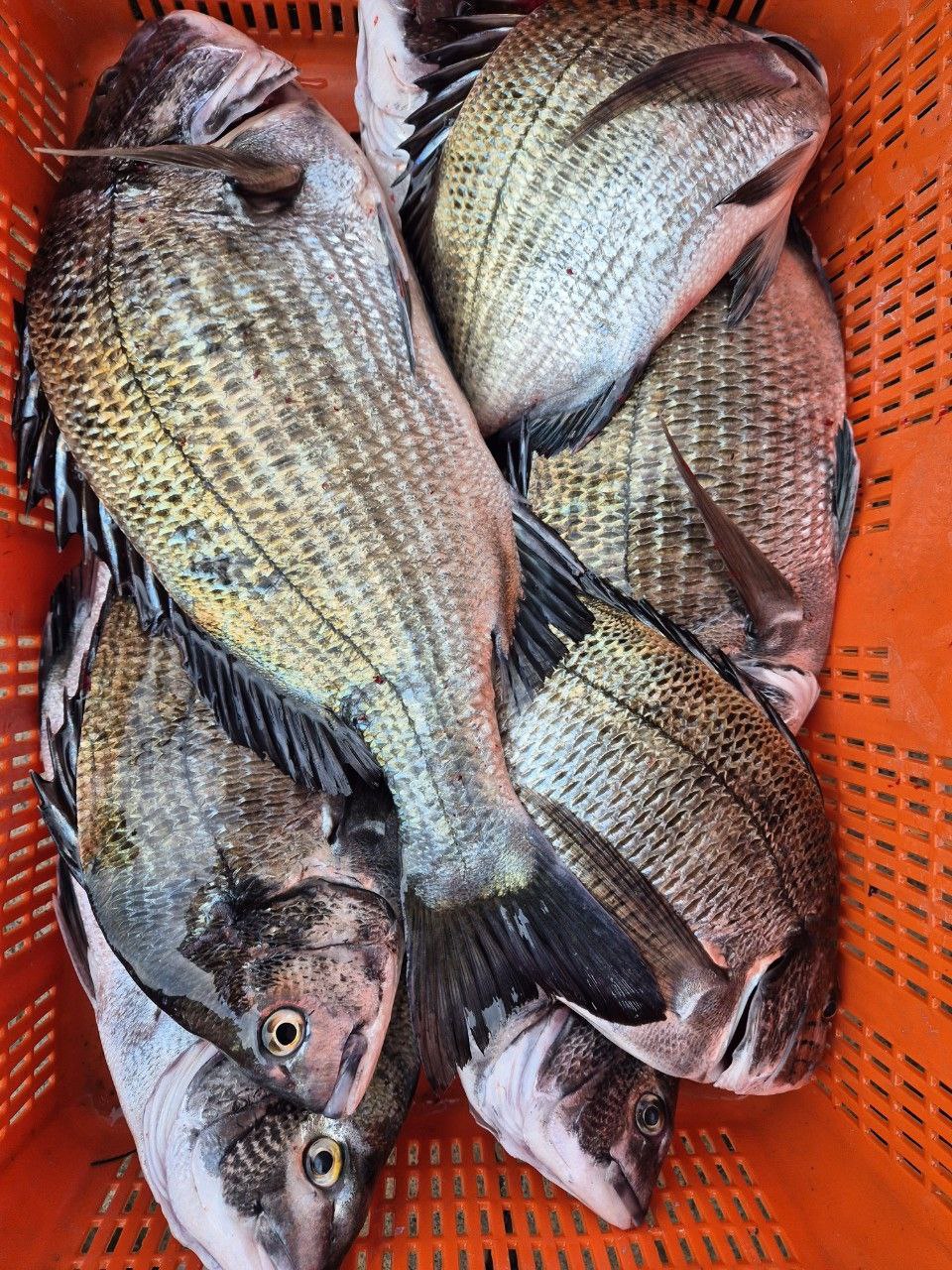
안녕하세요!!
목포 신안 낚시 김평호입니다.
위 사진은 가거도 1구 섬 민박 임성인 선장님께서
오늘 감성돔과 돌돔 ,벵에돔소식 입니다.
가거도 또한 서서히 겨울 감성돔 시작을 알려주고 있네요!!
* 최소 10명 이상 출항 할려고 합니다.*
* 사전 예약 부탁 드립니다. *
예약 문의 :
목포 신안 낚시 : 010 - 4606 - 7041
0
신고
목록
0
댓글
로그인한 회원만 댓글 등록이 가능합니다.
×
Image Upload
로그인한 회원만 등록가능합니다.
포토
제목
이름
날짜
[통영] 5짜맛집~매일5짜가~5짜.4짜들~낼바람맞고하실분들모십니다.
출항지 : 통영 / 출조지 : 통영
비키라피싱
198
3분전
비키라피싱
14:40
[여수,광양] 12/6 토요일 마릿수 감성돔소식~~!!!!!
출항지 : 여수,광양 / 출조지 : 여수,광양
여수153낚시
31
30분전
여수153낚시
14:13
[통영] 독도]욕지권 감성돔조황~일요일정상출항
출항지 : 통영 / 출조지 : 통영
독도피싱
36
33분전
독도피싱
14:09
[통영] 대박호)1항차 두미도 대물54 살아있네
출항지 : 통영 / 출조지 : 거제
통영대박피싱
104
1시간전
통영대박피싱
13:34
[여수,광양] 광도 거문도 벵에돔 돌돔
출항지 : 여수,광양 / 출조지 :
여수전국낚시
37
1시간전
여수전국낚시
13:33
[통영] 스타]팡팡 잘터지네요 4짜감성돔들 조황 일요일 출항06시 종일
출항지 : 통영 / 출조지 : 통영
통영스타피싱
81
2시간전
통영스타피싱
12:54
[여수,광양] 금오열도권 감성돔조황
출항지 : 여수,광양 / 출조지 :
씨울프피싱
64
2시간전
씨울프피싱
12:44
[여수,광양] 문어 실시간조황 대물 대왕 4K 3K...
출항지 : 여수,광양 / 출조지 :
여수성신낚시
51
4시간전
여수성신낚시
11:06
[통영] 아쿠아] 실시간 5짜4짜들로
출항지 : 통영 / 출조지 : 통영
통영아쿠아피싱
159
4시간전
통영아쿠아피싱
10:21
[고성] 욕지군도] 전투 종일 낚시 4 짜 후반부터 두자릿수 행진은 계속…
출항지 : 고성 / 출조지 : 통영
고성섬낚시
195
6시간전
고성섬낚시
08:42
[통영] 레코드호25~26시즌 갯바위 밤볼락 스타트!
출항지 : 통영 / 출조지 :
통영레코드호열바다낚…
200
7시간전
통영레코드호열바다낚…
08:09
[통영] 씨알좋은 전갱이 조황입니다 오늘 오후 4시 뽈락 출조합니다
출항지 : 통영 / 출조지 : 통영
통영삼덕삼성1호
229
7시간전
통영삼덕삼성1호
07:27
[여수,광양] 성빈호.12월 5일 출조 다녀왔습니다.
출항지 : 여수,광양 / 출조지 : 여수,광양
여수성빈호
107
8시간전
여수성빈호
07:12
[사천] ((한사리))두미도&갈도 탱크55.5cm.51.50.49.49.…
출항지 : 사천 / 출조지 : 사천
한사리피싱
216
8시간전
한사리피싱
07:05
[통영] 욕지권,씨알좋은 밤볼락들...
출항지 : 통영 / 출조지 : 통영
통영나드리호
303
13시간전
통영나드리호
01:59
초기화
날짜순
조회순
검색
1
2
3
4
5
Search
검색대상
제목
내용
제목+내용
회원아이디
회원아이디(댓글)
글쓴이
글쓴이(댓글)
또는
그리고
검색어
필수
검색
닫기
검색조건
제목
내용
제목+내용
회원아이디
회원아이디(코)
글쓴이
글쓴이(코)
검색어
또는
그리고
검색
인낚몰 초특가
★500★ W쿠션 멀티 수중찌 M L - 전유동 반유동 끄심바리 필수품 수중쿠션
★5,900★ 여러개 있으면 아주 좋은 EVA 시스템 백
★ 1+1 플로팅, 세미, 카본 낚시줄 행사 호수선택가능 / 택상 1+1 원줄, 목줄 행사
★6,000★ 예민함의 끝판왕 애니원찌 벵에돔찌 학공치찌
★15,000★ 오동목 구멍찌 5개 + 메쉬 찌케이스 세트
★22만원★ 40W 집어등을 이 가격에!
★5,000★ 전층쿠션 15세트입 S / L 사이즈
★2,000★ 전층쿠션 5세트입 S / L 사이즈
★10,000 미니집어등5개 + 425배터리 1개 + 스토퍼고무 10개
★13,500 深海 심해대물 갈치집어등 3개 5LED 오색 집어등 갈치낚시 필수품 건전지3개 포함 수중집어등
★9,900★ 수제공방 갈치 풀치 잔치세트 짬낚시 필수 하나로 끝
★8,650~★ 아부가르시아 카치카치다마 유동식 타이라바 - 80g / 100g / 120g / 140g