28일 금오열도 갯바위 감성돔 조황입니다
12월 28일(일)
인낚 현재접속자
4,202명 (
290
)
공지사항
인낚도서관
점주선장전용 공지사항
로그인
광고/제휴 문의
운영진에게
인낚ㅣ인터넷바다낚시
0
어종별선상
어종별갯바위
낚시인조황
점주선장조황
출조정보
낚시광장
낚시지식인
낚시교실
중고장터
휴게실
인낚도서관
인낚몰
0
어종별선상
어종별 선상조황
4대돔 조황
먹물 조황
갈치 조황
볼락&전갱이
빅게임 지깅&파핑
외줄&외수질
기타 어종
어종별 갯바위조황
4대돔 조황
먹물 조황
갈치 조황
볼락&전갱이
농어&삼치&방어&부시리
기타 어종
어종별갯바위
어종별 선상조황
4대돔 조황
먹물 조황
갈치 조황
볼락&전갱이
빅게임 지깅&파핑
외줄&외수질
기타 어종
어종별 갯바위조황
4대돔 조황
먹물 조황
갈치 조황
볼락&전갱이
농어&삼치&방어&부시리
기타 어종
낚시인조황
낚시인 번개조황
낚시인조행기
스탭조행기
우리낚시동호회이야기
전국낚시동호회소개
동호회갤러리
지난 조황자료보기(년도별 조황 자료)
점주선장조황
전국 실시간 조황
선상(배)+좌대 조황
갯바위+방파제 조황
점주선장전용 공지사항
지난 조황자료보기(년도별 조황 자료)
출조정보
낚시인동행출조
점주선장 갯바위 출조
점주선장 선상출조
기상파고정보(기상청)
해상예보
물때표
파고예보(일본)
실시간해양관측예보
스마트조석예보
낚시광장
낚시계뉴스
대회 및 낚시관련 홍보
제품평가단
신상품소개
낚시지식인
Q&A 묻고 답하기
지식인 베스트
조황/포인트 문의
낚시용품 사용기
낚시투표
토론방
新어류도감
낚시교실
낚시기법소개
어종별 낚시교실
입문자교실
중급자교실
낚시용어사전
중고장터
중고장터 이용후기
더치트 사기피해 검색
팝니다
삽니다
교환합시다
무료로 드립니다
부품팝니다
부품삽니다
일반 생활용품 사고 팔기
휴게실
출석부
낚시갤러리
세상사는 이야기(자유게시판)
낚시이야기 마당
먹고사는 이야기
구인구직
칭찬합니다
어째이런일이
습득물 찾기
인낚도서관
인낚 유튜브
인낚 칼럼
블루, 그것이 알고싶다
더블테일의 두 눈으로 보는 세상
입질의추억의 피싱다이어리
나無의 바다 이야기
전문강좌
海巖의 바다낚시 이야기
이성규의 전유동낚시 강좌
조성민의 금요루어클럽
메인
어종별선상
어종별갯바위
낚시인조황
점주선장조황
출조정보
낚시광장
낚시지식인
낚시교실
중고장터
휴게실
인낚도서관
인낚몰
0
전국 실시간 조황
선상(배)+좌대 조황
갯바위+방파제 조황
점주선장전용 공지사항
지난 조황자료보기(년도별 조황 자료)
점주/선장 >
갯바위 + 방파제 조황
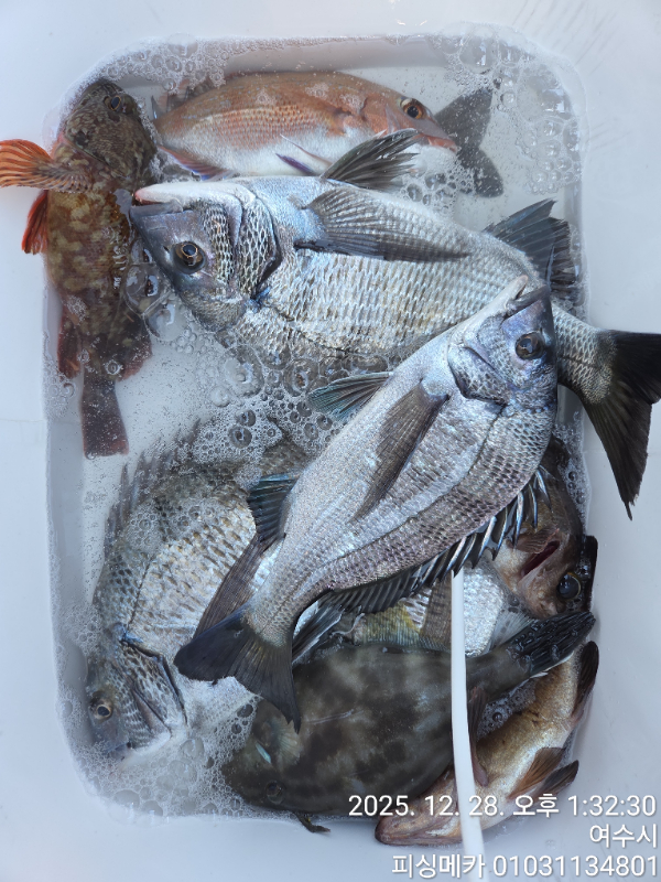
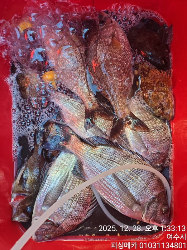
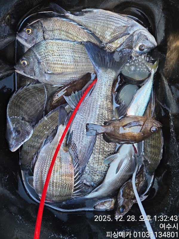
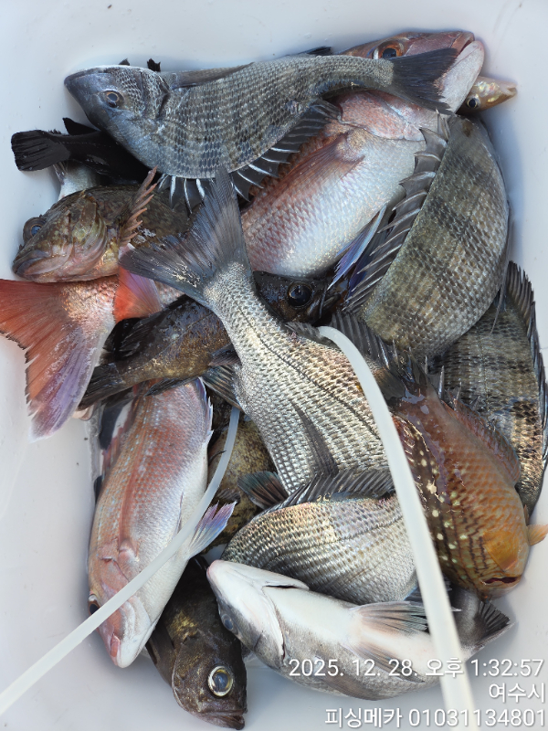
28일 금오열도 갯바위 감성돔 조황입니다
피싱메카호
0
90
3시간전
● 출항지 : 여수,광양
● 출조인원 : 16~20명
네임
카드
피싱메카
전남 여수시 신월동 국동항 소경도대합실
010-3113-4801
실시간 예약
홈페이지
밴드 바로가기
유튜브/SNS
안녕하세요 피싱메카 도경준입니다
28일 금오열도 갯바위 감성돔 조황입니다
오늘은 좋은 기상에 금오도.안도.연도 까지
포인트를 잡고 갯바위 낚시를 즐기고왔습니다
빈손. 철수도 몇포인트 되고 총쏘신 분들도
몆분 계시내요 ㅠ.ㅠ
대물들이 슬슬 움직이기 시작하내요
채비들 강하게 쓰시길 바랍니다..
오늘도 출조하신 사장님들 수고하셨습니다
내일도 금오열도 갯바위 감성돔 낚시 출조합니다
같이 가실분들은 전화주세요...
*** 여수 피싱메카 예약 안내 ***
예약문의 : 010-3113-4801
오시는길 : 전남 여수시 신월동 국동항 소경도대합실
홈페이지 : https://mecca.sunsang24.com/
0
신고
목록
0
댓글
로그인한 회원만 댓글 등록이 가능합니다.
×
Image Upload
로그인한 회원만 등록가능합니다.
포토
제목
이름
날짜
[통영] 척포)최선장~대물 5짜(52,51,51)외 4짜들로~~
출항지 : 통영 / 출조지 : 통영
척포최선장
7
2분전
척포최선장
17:21
[통영] 오늘도 5짜 2%부족
출항지 : 통영 / 출조지 : 통영
척포낚시배
11
6분전
척포낚시배
17:16
[여수,광양] 휴일 여수 금오열도 감성돔조황
출항지 : 여수,광양 / 출조지 : 여수,광양
여수해변낚시
11
12분전
여수해변낚시
17:11
[부산] 가덕대항낚시[마릿수/학꽁치]조황입니다.
출항지 : 부산 / 출조지 : 부산
가덕도대항낚시선장
18
13분전
가덕도대항낚시선장
17:10
[거제] 감성돔 조황 53/50외 마릿수 조황!!!
출항지 : 거제 / 출조지 : 거제
해림호
32
25분전
해림호
16:58
[사천] (유성호) 터짓네~터져!! 4짜내만감성돔 마릿수조황
출항지 : 사천 / 출조지 : 사천
피싱유성호
32
31분전
피싱유성호
16:52
[통영] 박가이드피싱)5짜5짜외 4짜들 감성돔 조황~~
출항지 : 통영 / 출조지 : 통영
통영박가이드피싱
44
35분전
통영박가이드피싱
16:48
[여수,광양] 12/28 일요일 마릿수 감성돔소식~~~!!!!
출항지 : 여수,광양 / 출조지 : 여수,광양
여수153낚시
55
50분전
여수153낚시
16:33
[여수,광양] 글로리호 50cm급 감성돔 조황입니다.
출항지 : 여수,광양 / 출조지 : 여수,광양
글로리피싱
59
1시간전
글로리피싱
16:14
[통영] 폴라리스)주말 갯바위 감성돔 출조조황입니다
출항지 : 통영 / 출조지 : 통영
폴라리스피싱
63
1시간전
폴라리스피싱
16:11
[고흥,녹동] 28일 일요일 거문도 조황 입니다.
출항지 : 고흥,녹동 / 출조지 : 고흥,녹동
고흥한바다2호
49
1시간전
고흥한바다2호
16:01
[여수,광양] 12/28 금오열도권 감성돔 호조황이어갑니다~
출항지 : 여수,광양 / 출조지 : 여수,광양
[여수]낚시군단
70
1시간전
[여수]낚시군단
16:00
[부산] 만남피싱4짜외감성돔/학꽁치조황입니다
출항지 : 부산 / 출조지 : 부산
가덕도만남낚시
99
2시간전
가덕도만남낚시
15:22
[여수,광양] 1월 1일 연도 안도 갯바위 선상 갑니다
출항지 : 여수,광양 / 출조지 :
여수창성호6
63
2시간전
여수창성호6
15:06
[여수,광양] 28일 금오열도 갯바위 감성돔 조황입니다
출항지 : 여수,광양 / 출조지 :
피싱메카호
91
3시간전
피싱메카호
14:37
초기화
날짜순
조회순
검색
1
2
3
4
5
Search
검색대상
제목
내용
제목+내용
회원아이디
회원아이디(댓글)
글쓴이
글쓴이(댓글)
또는
그리고
검색어
필수
검색
닫기
검색조건
제목
내용
제목+내용
회원아이디
회원아이디(코)
글쓴이
글쓴이(코)
검색어
또는
그리고
검색
인낚몰 초특가
★3,000★ 하야부사 6단 볼락 전갱이 카드채비 SD724 볼락채비
★1,000★볼락낚시에 최적인 메바트로볼 - 캐스팅볼, 메바볼
★13,000~★3NO 일본 오리지날 직수입 극강 멀티 무광 마크사 원줄
★500★ W쿠션 멀티 수중찌 M L - 전유동 반유동 끄심바리 필수품 수중쿠션
★5,900★ 여러개 있으면 아주 좋은 EVA 시스템 백
★ 1+1 플로팅, 세미, 카본 낚시줄 행사 호수선택가능 / 택상 1+1 원줄, 목줄 행사
★6,000★ 예민함의 끝판왕 애니원찌 벵에돔찌 학공치찌
★15,000★ 오동목 구멍찌 5개 + 메쉬 찌케이스 세트
★22만원★ 40W 집어등을 이 가격에!
★5,000★ 전층쿠션 15세트입 S / L 사이즈
★2,000★ 전층쿠션 5세트입 S / L 사이즈
★10,000 미니집어등5개 + 425배터리 1개 + 스토퍼고무 10개