네임
카드
카드
미조대림호
경남 남해군 미조면 미조로318번길 16 대림호 (미조리, 낚시배대림호)
010-2090-0407
경남 남해군 미조면 미조로318번길 16 대림호 (미조리, 낚시배대림호)





















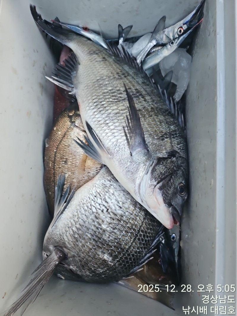
안녕하세요 남해 미조 대림호입니다.
금일조황입니다
간만에 날씨가 좋아서 그런지 많은 조사님들이 찾아주셨습니다.
오늘도 어김없이 대물급 감성돔들이 나와주네요
출조하신 조사님들 수고하셨습니다.
<미조 낚시배 대림호>
*선장연락처 : 010-2090-0407
*갯바위낚시&선상낚시 전문
*승선정원 - 선장포함 18명 / 톤수 - 7.93t)
*주소 : 남해군 미조면 미조로 318번길 16
—————————————————————
*밑밥 / 미끼 예약 가능합니다
: 출조시 밑밥 및 미끼는 미리 준비해오셔도 무방하오며 미리 준비하시지 못하신분들은 밑밥 예약가능합니다
—————————————————————
*저녁 9시 이후에는 간혹 전화를 못받는경우가 있을수있어 양해부탁드립니다.
—————————————————————
*휴무안내
- 매월 둘째/넷째 화요일은 휴무입니다(전화문의)
—————————————————————
※주차
-대림호 선착장 앞으로 넓은 공용 주차시설 완비되어있습니다.
편하게 주차가능합니다.
—————————————————————
*낚시배와 펜션 함께 운영하고있습니다 (꿈엔들펜션)
-펜션문의 : 010-2620-1067
-낚시문의 : 010-2090-0407
*꿈엔들펜션 바로가기
www.꿈엔들.kr