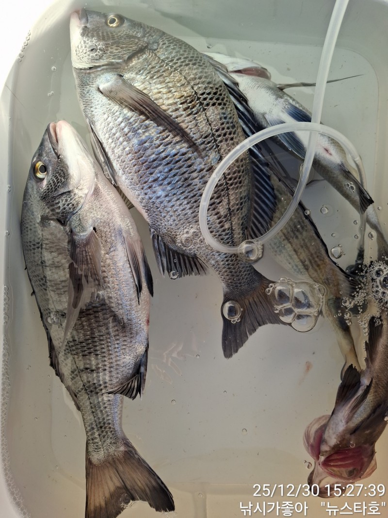
안녕 하십니까! 남해 미조에 낚시가좋아(뉴스타호)인사 드립니다 금일 조황 올려 드립니다 오전엔 바람이 제법 불었지만 다행이도 오후 들어선 바람이 잦아 들었네요 오늘도 오짜랑 덩큰이 녀석들 구경 할수가 있었습니다 오늘 하루도 추운 날씨속에 고생들 많으셨습니다 즐거운 저녁시간들 되시고 마무리 잘하시길 바랍니다 감사합니다
*출조시 밑밥및 소품은 준비하여 오셔도 무방하오며 혹여나 준비하시질 못하신 분들을 위하여 최상급 크릴을 준비해 놓도록 하겠습니다 감사합니다*
*출조및 문의사항*
상호:낚시가좋아(뉴스타호)
주소:경남 남해군 미조면 동부대로9
선장님:010-6434-0015
로그인한 회원만 등록가능합니다.