9일 금오열도 갯바위 출조합니다
01월 09일(금)
인낚 현재접속자
4,197명 (
292
)
공지사항
인낚도서관
점주선장전용 공지사항
로그인
광고/제휴 문의
운영진에게
인낚ㅣ인터넷바다낚시
0
어종별선상
어종별갯바위
낚시인조황
점주선장조황
출조정보
낚시광장
낚시지식인
낚시교실
중고장터
휴게실
인낚도서관
인낚몰
0
어종별선상
어종별 선상조황
4대돔 조황
먹물 조황
갈치 조황
볼락&전갱이
빅게임 지깅&파핑
외줄&외수질
기타 어종
어종별 갯바위조황
4대돔 조황
먹물 조황
갈치 조황
볼락&전갱이
농어&삼치&방어&부시리
기타 어종
어종별갯바위
어종별 선상조황
4대돔 조황
먹물 조황
갈치 조황
볼락&전갱이
빅게임 지깅&파핑
외줄&외수질
기타 어종
어종별 갯바위조황
4대돔 조황
먹물 조황
갈치 조황
볼락&전갱이
농어&삼치&방어&부시리
기타 어종
낚시인조황
낚시인 번개조황
낚시인조행기
스탭조행기
우리낚시동호회이야기
전국낚시동호회소개
동호회갤러리
지난 조황자료보기(년도별 조황 자료)
점주선장조황
전국 실시간 조황
선상(배)+좌대 조황
갯바위+방파제 조황
점주선장전용 공지사항
지난 조황자료보기(년도별 조황 자료)
출조정보
낚시인동행출조
점주선장 갯바위 출조
점주선장 선상출조
기상파고정보(기상청)
해상예보
물때표
파고예보(일본)
실시간해양관측예보
스마트조석예보
낚시광장
낚시계뉴스
대회 및 낚시관련 홍보
제품평가단
신상품소개
낚시지식인
Q&A 묻고 답하기
지식인 베스트
조황/포인트 문의
낚시용품 사용기
낚시투표
토론방
新어류도감
낚시교실
낚시기법소개
어종별 낚시교실
입문자교실
중급자교실
낚시용어사전
중고장터
중고장터 이용후기
더치트 사기피해 검색
팝니다
삽니다
교환합시다
무료로 드립니다
부품팝니다
부품삽니다
일반 생활용품 사고 팔기
휴게실
출석부
낚시갤러리
세상사는 이야기(자유게시판)
낚시이야기 마당
먹고사는 이야기
구인구직
칭찬합니다
어째이런일이
습득물 찾기
인낚도서관
인낚 유튜브
인낚 칼럼
블루, 그것이 알고싶다
더블테일의 두 눈으로 보는 세상
입질의추억의 피싱다이어리
나無의 바다 이야기
전문강좌
海巖의 바다낚시 이야기
이성규의 전유동낚시 강좌
조성민의 금요루어클럽
메인
어종별선상
어종별갯바위
낚시인조황
점주선장조황
출조정보
낚시광장
낚시지식인
낚시교실
중고장터
휴게실
인낚도서관
인낚몰
0
전국 실시간 조황
선상(배)+좌대 조황
갯바위+방파제 조황
점주선장전용 공지사항
지난 조황자료보기(년도별 조황 자료)
점주/선장 >
갯바위 + 방파제 조황
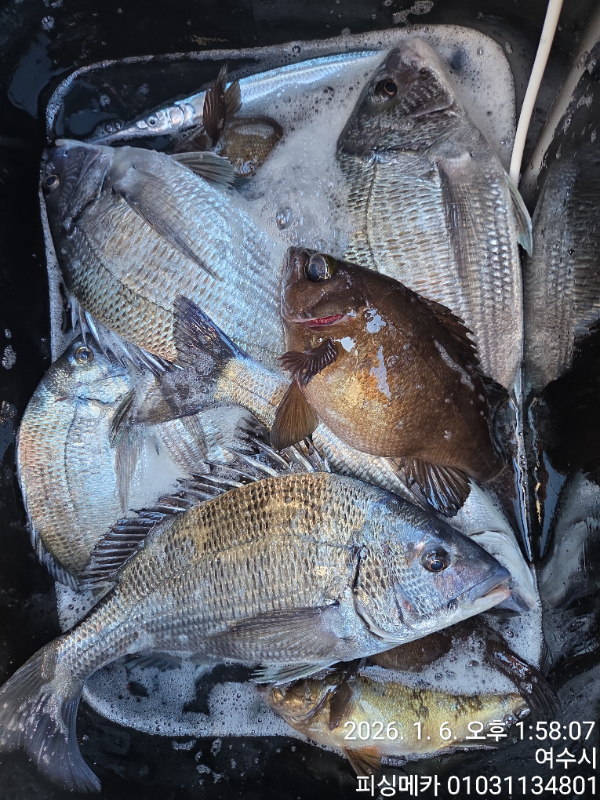
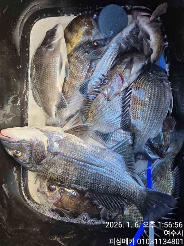
9일 금오열도 갯바위 출조합니다
피싱메카호
0
228
01.08 09:50
● 출항지 : 여수,광양
● 출조인원 : 1~2명
네임
카드
피싱메카
전남 여수시 신월동 국동항 소경도대합실
010-3113-4801
실시간 예약
홈페이지
밴드 바로가기
유튜브/SNS
안녕하세요 피싱메카 도경준입니다
9일 금오열도 갯바위 감성돔 낚시 출조합니다
03시출항 14시철수합니다
같이 가실분들은 연락 주세요
*** 여수 피싱메카 예약 안내 ***
예약문의 : 010-3113-4801
오시는길 : 전남 여수시 신월동 국동항 소경도대합실
홈페이지 : https://mecca.sunsang24.com/
0
신고
목록
0
댓글
로그인한 회원만 댓글 등록이 가능합니다.
×
Image Upload
로그인한 회원만 등록가능합니다.
포토
제목
이름
날짜
[사천] ((한사리))오늘.두미도&갈도 탱크54cm 53cm 49.46.…
출항지 : 사천 / 출조지 : 사천
한사리피싱
204
10시간전
한사리피싱
00:39
[통영] 욕지]감성돔5짜외 4짜중치급마릿수(금05시)
출항지 : 통영 / 출조지 : 통영
통영탑피싱
303
01.08
통영탑피싱
01.08
[통영] 욕지권 5.5.4.4외
출항지 : 통영 / 출조지 : 통영
피싱맨호
327
01.08
피싱맨호
01.08
[울산] 26년1월8일 장생포 동네낚시 떡전어 조황
출항지 : 울산 / 출조지 : 울산
장생포털보낚시
70
01.08
장생포털보낚시
01.08
[통영] 척포동성피싱 감성돔 52.50 조황입니다 ~~
출항지 : 통영 / 출조지 : 통영
척포동성피싱
160
01.08
척포동성피싱
01.08
[부산] 가덕대항낚시[감성돔4짜]조황입니다.
출항지 : 부산 / 출조지 : 부산
가덕도대항낚시선장
318
01.08
가덕도대항낚시선장
01.08
[부산] 가덕자유인낚시 감성돔 조황입니다.
출항지 : 부산 / 출조지 : 부산
가덕도자유인낚시
328
01.08
가덕도자유인낚시
01.08
[거제] 양지암 52외 감성돔 학공치 소식입니다
출항지 : 거제 / 출조지 : 거제
능포나이스낚시
332
01.08
능포나이스낚시
01.08
[남해] 금일 조황 올려 드립니다!
출항지 : 남해 / 출조지 : 남해
낚시가좋아two
322
01.08
낚시가좋아two
01.08
[남해] 마릿수 조황입니다~~
출항지 : 남해 / 출조지 : 남해
미조대림호
322
01.08
미조대림호
01.08
[통영] 6짜맛집~대물탱크~60~55~53~52~~
출항지 : 통영 / 출조지 : 통영
비키라피싱
857
01.08
비키라피싱
01.08
[거제] 구조라~50.50.50.50외 씨알좋은 감성돔들~~
출항지 : 거제 / 출조지 : 거제
거제포세이돈낚시
509
01.08
거제포세이돈낚시
01.08
[남해] 1월8일 풍성호 갯바위조황
출항지 : 남해 / 출조지 : 남해
풍성호
258
01.08
풍성호
01.08
[남해] 미조권 갯바위 감성돔 조황~~
출항지 : 남해 / 출조지 : 남해
미조낚시천국
276
01.08
미조낚시천국
01.08
[거제] 해금강 감성돔 조황
출항지 : 거제 / 출조지 : 거제
해금강태성낚시
259
01.08
해금강태성낚시
01.08
초기화
날짜순
조회순
검색
1
2
3
4
5
Search
검색대상
제목
내용
제목+내용
회원아이디
회원아이디(댓글)
글쓴이
글쓴이(댓글)
또는
그리고
검색어
필수
검색
닫기
검색조건
제목
내용
제목+내용
회원아이디
회원아이디(코)
글쓴이
글쓴이(코)
검색어
또는
그리고
검색
인낚몰 초특가
MAEK 맥 호래기 대바늘 호래기콕 J타입 (카본바디 2입)
어부공방 NEW 호래전
야마시타 SB 호래기 대바늘
★3,000★ 하야부사 6단 볼락 전갱이 카드채비 SD724 볼락채비
★1,000★볼락낚시에 최적인 메바트로볼 - 캐스팅볼, 메바볼
★13,000~★3NO 일본 오리지날 직수입 극강 멀티 무광 마크사 원줄
★500★ W쿠션 멀티 수중찌 M L - 전유동 반유동 끄심바리 필수품 수중쿠션
★5,900★ 여러개 있으면 아주 좋은 EVA 시스템 백
★ 1+1 플로팅, 세미, 카본 낚시줄 행사 호수선택가능 / 택상 1+1 원줄, 목줄 행사
★6,000★ 예민함의 끝판왕 애니원찌 벵에돔찌 학공치찌
★15,000★ 오동목 구멍찌 5개 + 메쉬 찌케이스 세트
★22만원★ 40W 집어등을 이 가격에!