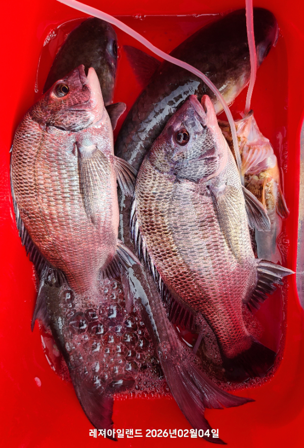
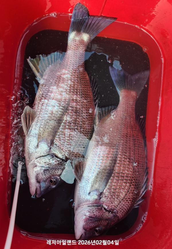
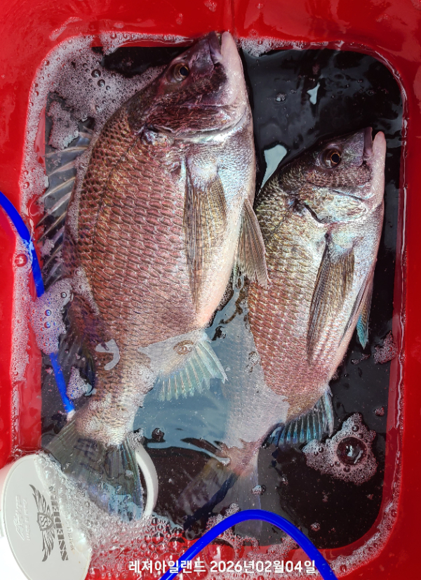
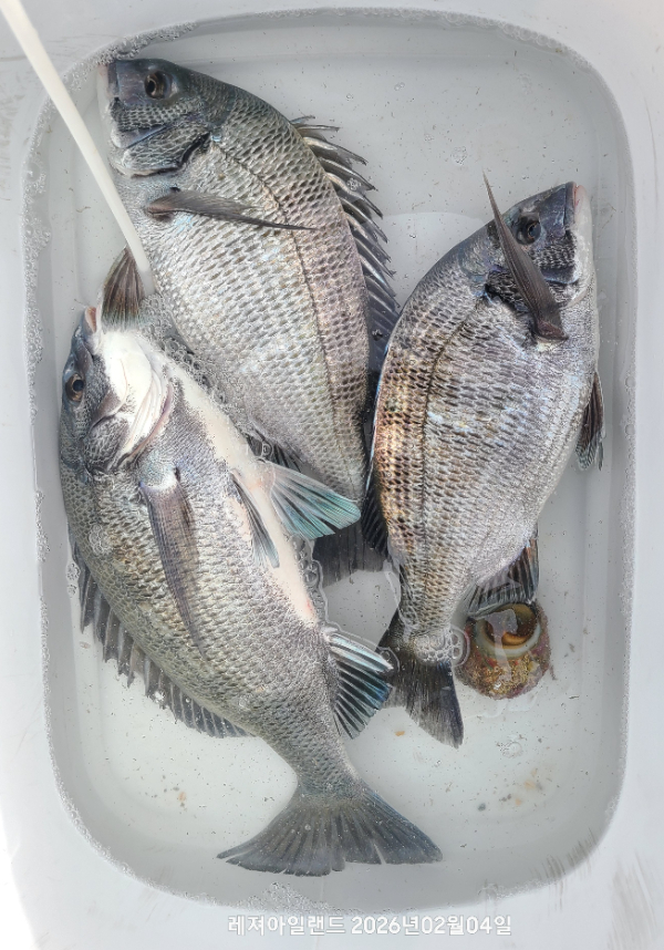
수/ 황제도 포인트 편차 없이 꾸준한 조황 ^^
02월 04일(수)
인낚 현재접속자
4,657명 (
363
)
공지사항
인낚도서관
점주선장전용 공지사항
로그인
광고/제휴 문의
운영진에게
인낚ㅣ인터넷바다낚시
0
어종별선상
어종별갯바위
낚시인조황
점주선장조황
출조정보
낚시광장
낚시지식인
낚시교실
중고장터
휴게실
인낚도서관
인낚몰
0
어종별선상
4대돔 조황
먹물 조황
갈치 조황
볼락&전갱이
빅게임 지깅&파핑
외줄&외수질
기타 어종
어종별갯바위
4대돔 조황
먹물 조황
갈치 조황
볼락&전갱이
농어&삼치&방어&부시리
기타 어종
낚시인조황
낚시인 번개조황
낚시인조행기
스탭조행기
우리낚시동호회이야기
전국낚시동호회소개
동호회갤러리
지난 조황자료보기(년도별 조황 자료)
점주선장조황
전국 실시간 조황
선상(배)+좌대 조황
갯바위+방파제 조황
점주선장전용 공지사항
지난 조황자료보기(년도별 조황 자료)
출조정보
낚시인동행출조
점주선장 갯바위 출조
점주선장 선상출조
기상파고정보(기상청)
해상예보
물때표
파고예보(일본)
실시간해양관측예보
스마트조석예보
낚시광장
낚시계뉴스
대회 및 낚시관련 홍보
제품평가단
신상품소개
낚시지식인
Q&A 묻고 답하기
지식인 베스트
조황/포인트 문의
낚시용품 사용기
낚시투표
토론방
新어류도감
낚시교실
낚시기법소개
어종별 낚시교실
입문자교실
중급자교실
낚시용어사전
중고장터
중고장터 이용후기
더치트 사기피해 검색
팝니다
삽니다
교환합시다
무료로 드립니다
부품팝니다
부품삽니다
일반 생활용품 사고 팔기
휴게실
출석부
낚시갤러리
세상사는 이야기(자유게시판)
낚시이야기 마당
먹고사는 이야기
구인구직
칭찬합니다
어째이런일이
습득물 찾기
인낚도서관
인낚 유튜브
인낚 칼럼
블루, 그것이 알고싶다
더블테일의 두 눈으로 보는 세상
입질의추억의 피싱다이어리
나無의 바다 이야기
전문강좌
海巖의 바다낚시 이야기
이성규의 전유동낚시 강좌
조성민의 금요루어클럽
메인
어종별선상
어종별갯바위
낚시인조황
점주선장조황
출조정보
낚시광장
낚시지식인
낚시교실
중고장터
휴게실
인낚도서관
인낚몰
0
전국 실시간 조황
선상(배)+좌대 조황
갯바위+방파제 조황
점주선장전용 공지사항
지난 조황자료보기(년도별 조황 자료)
점주/선장 >
갯바위 + 방파제 조황
수/ 황제도 포인트 편차 없이 꾸준한 조황 ^^
레져아일랜드
0
34
3시간전
● 출항지 : 장흥,완도
● 출조인원 : 20명 이상
네임
카드
레져아일랜드
전남 장흥군 회진면 해양낚시길 131 레져아일랜드
010-9567-1126
실시간 예약
홈페이지
밴드 바로가기
유튜브/SNS
*포인트 편차 없이 거의 모든 포인트에서 고른 조황을 보여 주네요
*바쁜 일정으로 조황 자주 게재 못하더라도 양해 바라며,밴드(레져아일랜드)에 들어 오시면 실시간 조황 확인 하실수 있습니다.
*** 장흥 레져아일랜드 예약 안내 ***
예약문의 :
010-9567-1126
오시는길 : 전남 장흥군 회진면 해양낚시길 131 레져아일랜드
홈페이지 : https://ireland.sunsang24.com/
밴
드
:https://band.us/band/71091142
0
신고
목록
0
댓글
로그인한 회원만 댓글 등록이 가능합니다.
×
Image Upload
로그인한 회원만 등록가능합니다.
포토
제목
이름
날짜
1
[통영] 삼덕뜬방}5짜.4짜들~이번주는금욜만갑니다~
1
출항지 : 통영 / 출조지 : 통영
비키라피싱
411
28분전
비키라피싱
18:30
[부산] 가덕자유인낚시 감성돔 조황입니다.
출항지 : 부산 / 출조지 : 부산
가덕도자유인낚시
37
29분전
가덕도자유인낚시
18:29
[남해] 미조 노구 마안도 갯바위 조황입니다. 02.04
출항지 : 남해 / 출조지 :
남해금성호
97
55분전
남해금성호
18:03
[남해] 금일 조황 올려 드립니다!
출항지 : 남해 / 출조지 : 남해
낚시가좋아two
88
1시간전
낚시가좋아two
17:58
[거제] 양지암 갯바위 감성돔 학공치 소식입니다
출항지 : 거제 / 출조지 : 거제
능포나이스낚시
74
1시간전
능포나이스낚시
17:52
[고흥,녹동] 4일 거문도 조황 입니다.
출항지 : 고흥,녹동 / 출조지 : 고흥,녹동
고흥한바다2호
28
1시간전
고흥한바다2호
17:47
[거제] 구조라~갯바위 조황입니다
출항지 : 거제 / 출조지 : 거제
거제포세이돈낚시
98
1시간전
거제포세이돈낚시
17:45
[남해] 2월4일 풍성호 갯바위 조황
출항지 : 남해 / 출조지 : 남해
풍성호
82
1시간전
풍성호
17:38
[통영] 스타]욕지권 대물찾아서 목요일 종일 정상출항
출항지 : 통영 / 출조지 : 통영
통영스타피싱
32
1시간전
통영스타피싱
17:37
[부산] 가덕털보낚시 감성돔47,45cm외 학꽁치 조황~~
출항지 : 부산 / 출조지 : 부산
가덕털보낚시
137
1시간전
가덕털보낚시
17:29
[남해] 오늘도5자
출항지 : 남해 / 출조지 :
남해빅마마호
79
2시간전
남해빅마마호
17:26
[거제] 해금강 대물감성돔 52 / 49Cm이하 잔당들(어제꺼 포함)
출항지 : 거제 / 출조지 : 거제
해금강태성낚시
98
2시간전
해금강태성낚시
17:21
[여수,광양] 2/4 여수대박호 54,53,52 cm 감성돔들로 쏟아져 올라오…
출항지 : 여수,광양 / 출조지 : 여수,광양
여수대박호자연낚시
98
2시간전
여수대박호자연낚시
17:11
[여수,광양] 날씨가 풀렸네요 감성돔 조황
출항지 : 여수,광양 / 출조지 : 여수,광양
돌산작금프린스호
89
2시간전
돌산작금프린스호
17:03
[부산] 가덕일호낚시 감성돔 조황
출항지 : 부산 / 출조지 : 부산
가덕도일호낚시
140
2시간전
가덕도일호낚시
16:41
초기화
날짜순
조회순
검색
1
2
3
4
5
Search
검색대상
제목
내용
제목+내용
회원아이디
회원아이디(댓글)
글쓴이
글쓴이(댓글)
또는
그리고
검색어
필수
검색
닫기
검색조건
제목
내용
제목+내용
회원아이디
회원아이디(코)
글쓴이
글쓴이(코)
검색어
또는
그리고
검색
인낚몰 초특가
MAEK 맥 호래기 대바늘 호래기콕 J타입 (카본바디 2입)
어부공방 NEW 호래전
야마시타 SB 호래기 대바늘
★3,000★ 하야부사 6단 볼락 전갱이 카드채비 SD724 볼락채비
★1,000★볼락낚시에 최적인 메바트로볼 - 캐스팅볼, 메바볼
★13,000~★3NO 일본 오리지날 직수입 극강 멀티 무광 마크사 원줄
★500★ W쿠션 멀티 수중찌 M L - 전유동 반유동 끄심바리 필수품 수중쿠션
★5,900★ 여러개 있으면 아주 좋은 EVA 시스템 백
★ 1+1 플로팅, 세미, 카본 낚시줄 행사 호수선택가능 / 택상 1+1 원줄, 목줄 행사
★6,000★ 예민함의 끝판왕 애니원찌 벵에돔찌 학공치찌
★15,000★ 오동목 구멍찌 5개 + 메쉬 찌케이스 세트
★22만원★ 40W 집어등을 이 가격에!