하태도 돌돔조황

신상품 소개


회원 랭킹


공지사항


NaverBand
점주/선장 > 갯바위 + 방파제 조황

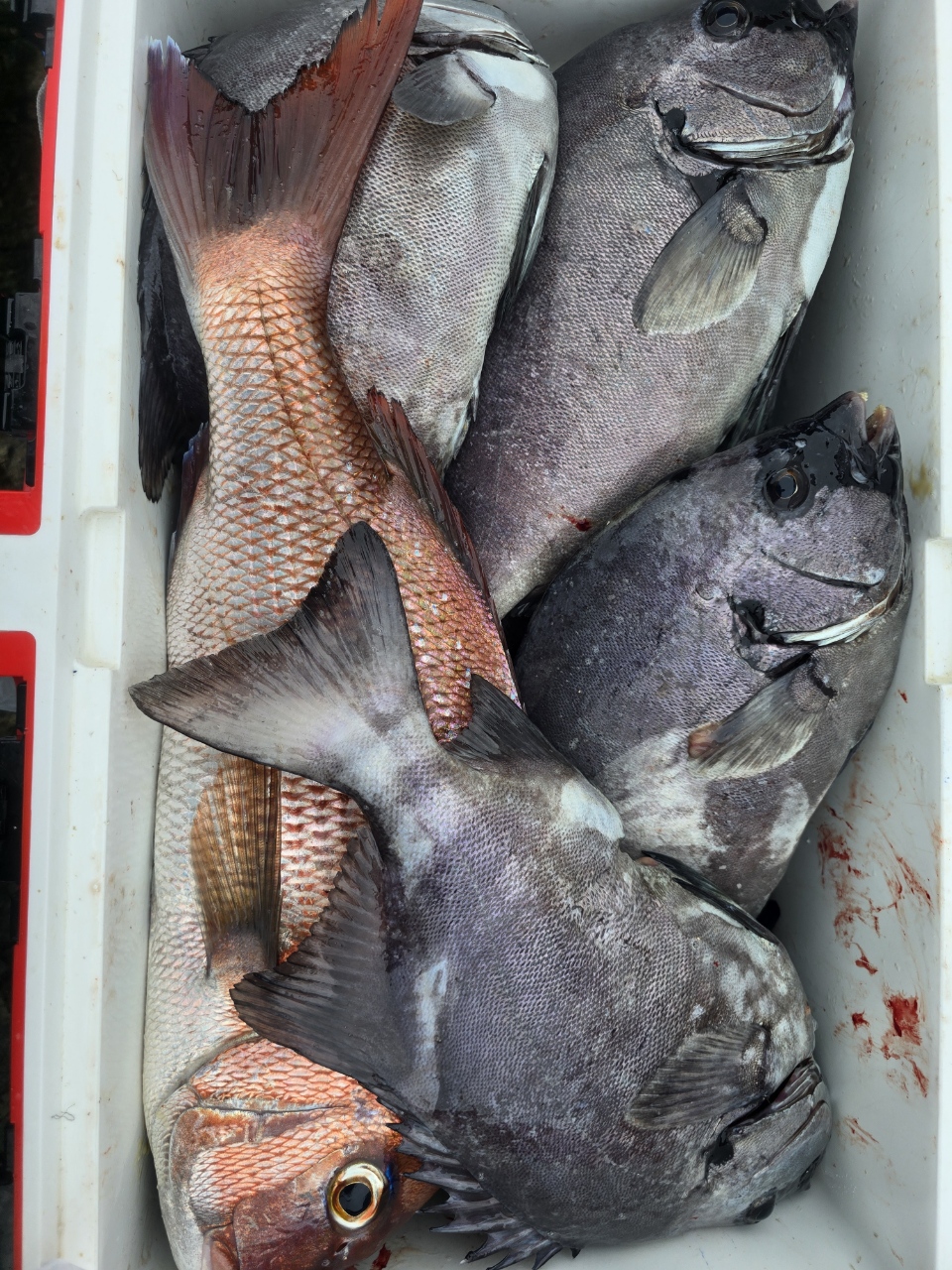
하태도 돌돔조황

진도신신낚시 0 407
● 출항지 : 해남,진도

​안녕하세요  

진도신신낚시 인사드립니다,

금,토 1박2일 하태도 돌돔 원투손님과 찌낚시 한분 총6분모시고,,

하태도입성,,

찌낚시손님은 3시간낚시후 쿨러체워서 낚시를 포기하셧다합니다,

원투 대물급 돌돔이 마릿수로 나와네요,,

수온과,,기온이 떨어짐과,,,동시  씨알좋은 돌돔이 엄청나옵니다,

다음출조는

9월30~10월1일 태도 1박2일 출조합니다,

출조문의

진도신신낚시

010-3086-0092

  • 페이스북으로 보내기
  • 트위터로 보내기
  • 구글플러스로 보내기
  • 카카오스토리로 보내기
  • 네이버밴드로 보내기
  • 네이버로 보내기
  • 텀블러로 보내기
  • 핀터레스트로 보내기
0 댓글
포토 제목
 
 

인낚 최신글


인낚 최신댓글


온라인 문의 안내


월~금 : 9:00 ~ 18:00
토/일/공휴일 휴무
점심시간 : 12:00 ~ 13:00