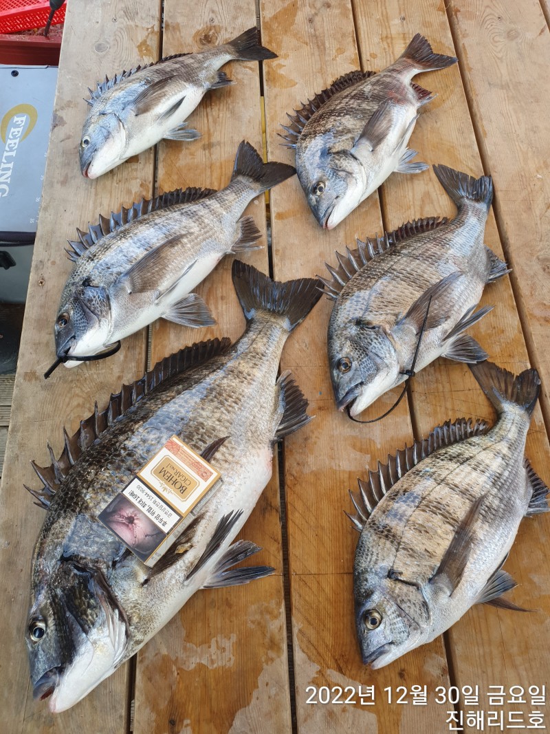
감성돔흘림ㅡ5짜.4짜들조황

신상품 소개


회원 랭킹


공지사항


NaverBand
점주/선장 > 선상(배) 조황
b_hot_activegloat_200x80.gif b_hot_innakmall_200x80_220704.jpg b_hot_ggsusan_hongeu_200x80.gif b_hot_innakmall_200x80_211203.gif

감성돔흘림ㅡ5짜.4짜들조황

진해리드호 0 566

오전 흘림조황입니다.

빵좋은5짜외 4짜들로 손맛봤습니다

기상좋으면 매일출조합니다.


월요일예약가능


 오전6시출항~14시


좋은 조과를 기대하며 계속 달려봅니다~    
 

네이버 밴드를 통해 출조 및 조황을 확인하실 수 있습니다. 

▼▼▼▼▼▼▼▼ 

밴드 링크: good피싱 


[쭈꾸미]

쭈꾸미낚시대.릴2000~3000번.합사0.8~1호

봉돌12~16호. 애자.에기


[감성돔(흘림)준비물]  

0.8~1호 흘림대  

2500 ~ 3000번릴  

원줄2.5 ~ 3호  

목줄 1.5 ~ 1.75  

2호 막대찌  

전자캐미  

(백크릴,밑밥,식사 제공) 

출조안내
    1/1(일요일) 감성돔 ㅡ 완료
1/2(월요일) 감성돔 ㅡ 예약가능
1/3(화요일) 감성돔 ㅡ 예약가능
1/4(수요일) 감성돔 ㅡ 예약가능
1/5(목요일) 감성돔 ㅡ 예약가능
1/6(금요일) 감성돔 ㅡ 예약가능
1/7(토요일) 감성돔 ㅡ 예약가능
1/8(일요일) 감성돔 ㅡ 예약가능
 

이후로 쭉~ 예약가능합니다.
문의사항은 전화나 문자주세요~  

기상악화시 출항이 취소될 수 있습니다.

출조문의 : 010 - 7919 -  3154 

부재시 : 010 - 3582  - 3154   
 
(밤10시 이후에는 꼭 전화로 예약해주세요)
 
입금계좌 : 502 - 21 - 0395490 경남은행(김제용)
 
안녕하십니까 
진해리드호입니다
정원12명 5톤 낚시전용배로 편안하게 낚시를 즐길 수 있고  
내부에는 쉴 수 있는 선실이 마련되어 있습니다.
출조하시는 조사님 한분도 최선을 다해 모시고 
 항상 노력하겠습니다.
 
(선내 수세식화장실완비)  
 

개인, 초보자, 단체(독배) 모두 환영합니다!!  

       평일 독배이용시 저렴하게 이용하실 수 있습니다.
주소 : 창원시 진해구 명제로 324번길 29 (삼포마을)

0 Comments
포토 제목
 
 

인낚 최신글


인낚 최신댓글


온라인 문의 안내


월~금 : 9:00 ~ 18:00
토/일/공휴일 휴무
점심시간 : 12:00 ~ 13:00