26일(월) 거제 법동출발, 감성돔낚시 전문 람보피싱 2호(실시간) 조황입니다. ※ 선내에서는 마스크를 필히 착용을 해 주시길 바랍니다. ※ 53Cm이상 대물 포획시, AJIKA(아지카) 최상급 클라스 라인 증정.
★ 27일 (화요일) 거제권 자연 어초권 감성돔낚시 전문 "예약가능" ☆ 27일 물때: 12물 만조: 11시 42분 / 간조: 17:38분) ※ 람보피싱은 1호 2호 3호 4호까지 직영 운영하고 있습니다.
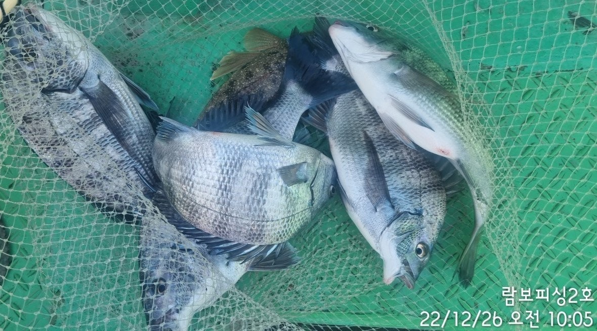
거제도 감성돔낚시와 참돔 선상낚시 전문출조점 람보피싱 2호입니다. 오랜만에 일조량이 충분한 기상상태, 봄날같은 따스함도 느껴 질 정도입니다.
새벽보다는 아침시간대 조류가 서서히 움직이기 시작하면서 4짜급까지 마릿수
손맛이 이어지고 있습니다. 주중 물때와 조류, 바람방향이 좋아 대물감성돔을
물론, 마릿수도 기대를 해 볼만한 환경이 수중어초권에 조성되고 있습니다.
내일, 27일 화요일부터 주중 예약가능합니다. 람보피싱은 가장 승율높은
자연 어초권을 전문적으로 출조합니다.
▦ 자연 어초권 감성돔 & 먼바다 참돔낚시 일정 안내 ▦ ★ 27일 (화) 어초권 감성돔낚시 & 먼바다 참돔낚시 전문 "예약가능" ★ 28일 (수) 어초권 감성돔낚시 & 먼바다 참돔낚시 전문 "예약가능" ★ 29일 (목) 어초권 감성돔낚시 & 먼바다 참돔낚시 전문 "예약가능" ★ 30일 (금) 어초권 감성돔낚시 & 먼바다 참돔낚시 전문 "예약가능" ★ 31일 (토) 어초권 감성돔낚시 & 먼바다 참돔낚시 전문 "예약가능" - 금요일/토요일/일요일 주말 예약은 서둘러 예약해주세요
▦ 감성돔 선상낚시 출조 ▦ (출조 시기) 11월부터 6월 까지. (종일/흘림낚시) 새벽부터 오후 2시 까지 - 도시락, 생수, 밑밥, 미끼 커피 (10만원) (종일/카고낚시) 새벽부터 오후 2시 까지 - 도시락, 생수, 밑밥, 미끼 커피 (10만원) ▶ 어초/여밭 감성돔낚시는 11월부터 4월 까지 (종일낚시만 운영).
▦ 참돔 선상낚시 출조 ▦ (출조 시기) 6월 부터 10월까지. (오전낚시) 새벽부터 13時 까지 (유동적) (오후낚시) 13時부터 일몰까지 (3명부터 출조 운영) - 도시락, 생수, 밑밥, 미끼 커피 (13만원)
<참돔낚시 채비> (낚 시 대) 1.5호대부터 2호대 까지 사용. (릴-Reel) 5000번, 원줄 5호, 목줄 3~5호 정도. (찌-Float) 잠수찌 -2B, -3B 사용 ※ 참돔낚시에는 막대찌 채비를 사용하지 않고, 참돔 기본 채비만 운용.
▦ 00피싱 이용 안내 ▦ ▶ 기상만 허락되면 1명 조사님이라도 매일 매일 출조합니다. ▶ 포인트는 수년간 가장 승율높은 포인트만을 선별해서 진입합니다. ▶ 찾아 주신 조사님들께 손맛 보실 수 있도록 최선을 다하겠습니다. ▶ 00피싱은 베테랑 선장 구성 (4선단으로 운영). ▶ 먼 바다 참돔 출조는 3명 이상 되면 출조합니다
◐ 협력 숙박시설 ◐ 산애수펜션 ☎ 010-8548-2366 (람보피싱 선단 출항지 5분 거리 위치) 경남 거제시 둔덕면 거제남서로 4658
◐ 주의 사항 ◐ ▶신분증(주민증 또는 운전면허증) 지참은 필수입니다. ▶주류 반입 및 음주 행위 금지와 구명복 착용은 필히 준수해야 합니다.