감성돔 흘림 조황입니다
12월 25일(목)
인낚 현재접속자
3,581명 (
83
)
공지사항
인낚도서관
점주선장전용 공지사항
로그인
광고/제휴 문의
운영진에게
인낚ㅣ인터넷바다낚시
0
어종별선상
어종별갯바위
낚시인조황
점주선장조황
출조정보
낚시광장
낚시지식인
낚시교실
중고장터
휴게실
인낚도서관
인낚몰
0
어종별선상
어종별 선상조황
4대돔 조황
먹물 조황
갈치 조황
볼락&전갱이
빅게임 지깅&파핑
외줄&외수질
기타 어종
어종별 갯바위조황
4대돔 조황
먹물 조황
갈치 조황
볼락&전갱이
농어&삼치&방어&부시리
기타 어종
어종별갯바위
어종별 선상조황
4대돔 조황
먹물 조황
갈치 조황
볼락&전갱이
빅게임 지깅&파핑
외줄&외수질
기타 어종
어종별 갯바위조황
4대돔 조황
먹물 조황
갈치 조황
볼락&전갱이
농어&삼치&방어&부시리
기타 어종
낚시인조황
낚시인 번개조황
낚시인조행기
스탭조행기
우리낚시동호회이야기
전국낚시동호회소개
동호회갤러리
지난 조황자료보기(년도별 조황 자료)
점주선장조황
전국 실시간 조황
선상(배)+좌대 조황
갯바위+방파제 조황
점주선장전용 공지사항
지난 조황자료보기(년도별 조황 자료)
출조정보
낚시인동행출조
점주선장 갯바위 출조
점주선장 선상출조
기상파고정보(기상청)
해상예보
물때표
파고예보(일본)
실시간해양관측예보
스마트조석예보
낚시광장
낚시계뉴스
대회 및 낚시관련 홍보
제품평가단
신상품소개
낚시지식인
Q&A 묻고 답하기
지식인 베스트
조황/포인트 문의
낚시용품 사용기
낚시투표
토론방
新어류도감
낚시교실
낚시기법소개
어종별 낚시교실
입문자교실
중급자교실
낚시용어사전
중고장터
중고장터 이용후기
더치트 사기피해 검색
팝니다
삽니다
교환합시다
무료로 드립니다
부품팝니다
부품삽니다
일반 생활용품 사고 팔기
휴게실
출석부
낚시갤러리
세상사는 이야기(자유게시판)
낚시이야기 마당
먹고사는 이야기
구인구직
칭찬합니다
어째이런일이
습득물 찾기
인낚도서관
인낚 유튜브
인낚 칼럼
블루, 그것이 알고싶다
더블테일의 두 눈으로 보는 세상
입질의추억의 피싱다이어리
나無의 바다 이야기
전문강좌
海巖의 바다낚시 이야기
이성규의 전유동낚시 강좌
조성민의 금요루어클럽
메인
어종별선상
어종별갯바위
낚시인조황
점주선장조황
출조정보
낚시광장
낚시지식인
낚시교실
중고장터
휴게실
인낚도서관
인낚몰
0
점주/선장 >
선상(배) 조황
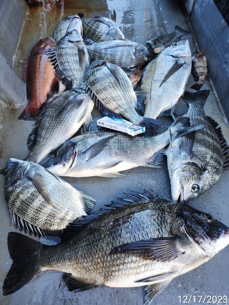
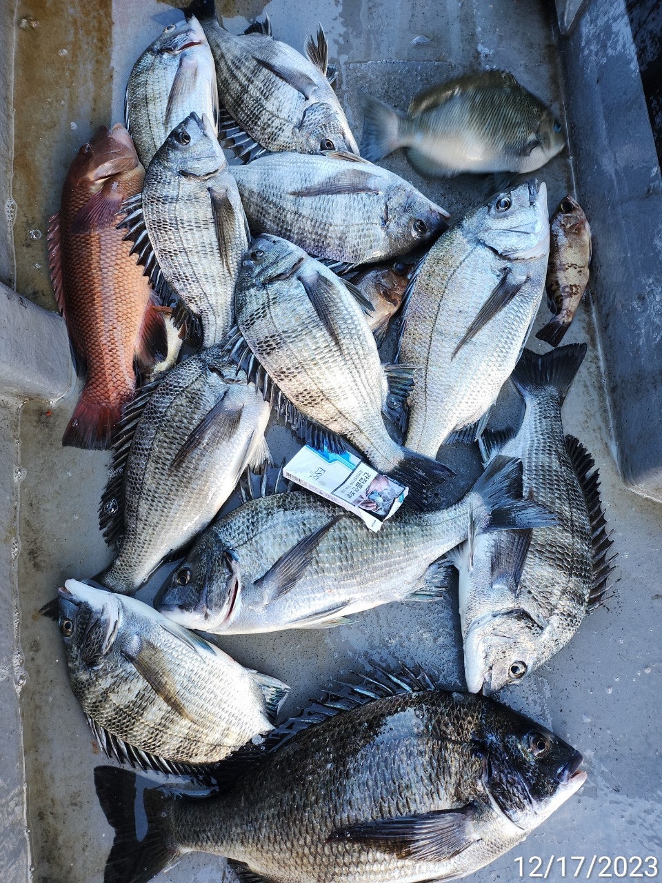
감성돔 흘림 조황입니다
간달프거제
0
184
2023.12.18 10:55
● 출항지 : 거제
● 출조인원 : 6~10명
안녕하세요
간달프 차선장입니다
43이하 좋은 놈들로
두자릿수 하고 복귀했습니다
함께 하실분들 계시면 언제든지 연락바랍니다
예약 가능합니다
감사합니다
※ 예약현황은 밴드 일정표 참고바랍니다
● 감성돔 선비안내
새벽 ~ 2시경 현장철수(10만원)
- 밀밥,미끼, 식사, 커피, 생수 제공됩니다
- 대체미끼는 개인 지참입니다
감사합니다
▶출조시 구명조끼/신분증은 반드시 지참해주세요.
▶ 예약문의: 간달프호 선장 010-6455-3914
- 부재시 문자주시면 빠른연락 드리겠습니다.
▶ 배타는곳; 경남 거제시 거제면 법동리 1056번지
▶ 선비 입금하실때
수협 차행우 0010 6455 3914
0
신고
목록
글쓴이
0
0
Lv.1
간달프거제
프리미엄회원
280 (2.8%)
안녕하세요 거제 법동항의 마법선장 간달프 잘 부탁드립니다
12.31
감성돔 흘림 조황입니다.
12.29
47외 감성돔 흘림 조황입니다
12.25
감성돔 흘림 마릿수 조황입니다(주말조황)
12.20
감성돔 흘림 조황입니다!
12.18
감성돔 흘림 조황입니다
0
댓글
로그인한 회원만 댓글 등록이 가능합니다.
×
Image Upload
로그인한 회원만 등록가능합니다.
포토
제목
이름
날짜
★ 23년 조황게시판 종료 / 2024년 게시판에서 작성 부탁드…
인터넷바다낚시
2024.01.02
★ 12월 금어기 안내
인터넷바다낚시
2023.12.15
조황 등재시 유의사항 (1일 2회까지 등록가능)
인터넷바다낚시
2022.10.06
제목 특수문자 사용금지 (온점, 쉼포, 느낌표, 괄호, 물결만 …
인터넷바다낚시
2022.12.05
선단조황 등록 방식 변경 안내
인터넷바다낚시
2021.03.25
[공지] ★ 23년 조황게시판 종료 / 2024년 게시판에서 작성 부탁드…
출항지 : 공지 / 출조지 :
인터넷바다낚시
8772
2024.01.02
인터넷바다낚시
2024.01.02
[진해] 《진해레전드>》알쭈꾸미사냥 먹물파티 조황-- 1일 해돋이 쭈사냥…
출항지 : 진해 / 출조지 :
진해레전드
1049
2023.12.31
진해레전드
2023.12.31
[진해] 31일 쭈꾸미 악조건에도 40수,30수,30수,20수,20수~!…
출항지 : 진해 / 출조지 :
진해라코피싱
801
2023.12.31
진해라코피싱
2023.12.31
[제주] 깊은바당호 12월30일 조황입니다
출항지 : 제주 / 출조지 :
깊은바당호
476
2023.12.31
깊은바당호
2023.12.31
[거제] 홍도, 안경섬 조황 올립니다.
출항지 : 거제 / 출조지 :
자바호
1424
2023.12.31
자바호
2023.12.31
[진해] "대물감성돔"53짜5짜49.48.47.46.외 25수 퍽~퍽~(…
출항지 : 진해 / 출조지 :
창원사랑호
1345
2023.12.31
창원사랑호
2023.12.31
[마산] 진동뉴성진호/4짜.3짜 감성돔
출항지 : 마산 / 출조지 :
진동뉴성진호
943
2023.12.31
진동뉴성진호
2023.12.31
[부산] 5짜4짜 참돔 대박 마리수+방어 처박기조황
출항지 : 부산 / 출조지 :
다대황금낚시
1183
2023.12.31
다대황금낚시
2023.12.31
[진해] 대물사냥
출항지 : 진해 / 출조지 :
진해바루나피싱
600
2023.12.31
진해바루나피싱
2023.12.31
[부산] 송정 조양호 전갱이 외 잡어 조황입니다~~!!
출항지 : 부산 / 출조지 :
송정조양호1
641
2023.12.31
송정조양호1
2023.12.31
[진해] 쭈꾸미출조!! 월욜부터 예약됩니다~
출항지 : 진해 / 출조지 :
진해고고피싱
470
2023.12.31
진해고고피싱
2023.12.31
1
[마산] 사계절호 감성돔 어초흘림조황 (47이하 마리수팍팍)
1
출항지 : 마산 / 출조지 :
사계절호
1119
2023.12.31
사계절호
2023.12.31
[부산] 송정대복호 말쥐치등 생활낚시 마릿수 조황~~
출항지 : 부산 / 출조지 :
송정대복호
443
2023.12.31
송정대복호
2023.12.31
[거제] 한해를 마무리 하면서...........
출항지 : 거제 / 출조지 :
거제바다로호
546
2023.12.31
거제바다로호
2023.12.31
[진해] 참돔 타이라바 조황 (2일 화/ 4일 목 예약가능)
출항지 : 진해 / 출조지 :
진해씨스타호
521
2023.12.31
진해씨스타호
2023.12.31
초기화
날짜순
조회순
검색
1
2
3
4
5
Search
검색대상
제목
내용
제목+내용
회원아이디
회원아이디(댓글)
글쓴이
글쓴이(댓글)
또는
그리고
검색어
필수
검색
닫기
검색조건
제목
내용
제목+내용
회원아이디
회원아이디(코)
글쓴이
글쓴이(코)
검색어
또는
그리고
검색
인낚몰 초특가
★3,000★ 하야부사 6단 볼락 전갱이 카드채비 SD724 볼락채비
★1,000★볼락낚시에 최적인 메바트로볼 - 캐스팅볼, 메바볼
★13,000~★3NO 일본 오리지날 직수입 극강 멀티 무광 마크사 원줄
★500★ W쿠션 멀티 수중찌 M L - 전유동 반유동 끄심바리 필수품 수중쿠션
★5,900★ 여러개 있으면 아주 좋은 EVA 시스템 백
★ 1+1 플로팅, 세미, 카본 낚시줄 행사 호수선택가능 / 택상 1+1 원줄, 목줄 행사
★6,000★ 예민함의 끝판왕 애니원찌 벵에돔찌 학공치찌
★15,000★ 오동목 구멍찌 5개 + 메쉬 찌케이스 세트
★22만원★ 40W 집어등을 이 가격에!
★5,000★ 전층쿠션 15세트입 S / L 사이즈
★2,000★ 전층쿠션 5세트입 S / L 사이즈
★10,000 미니집어등5개 + 425배터리 1개 + 스토퍼고무 10개