진해안골프로낚시 카고감성돔

신상품 소개


회원 랭킹


공지사항


NaverBand
점주/선장 > 선상(배) 조황
b_hot_activegloat_200x80.gif b_hot_innakmall_200x80_220704.jpg b_hot_ggsusan_hongeu_200x80.gif b_hot_innakmall_200x80_211203.gif

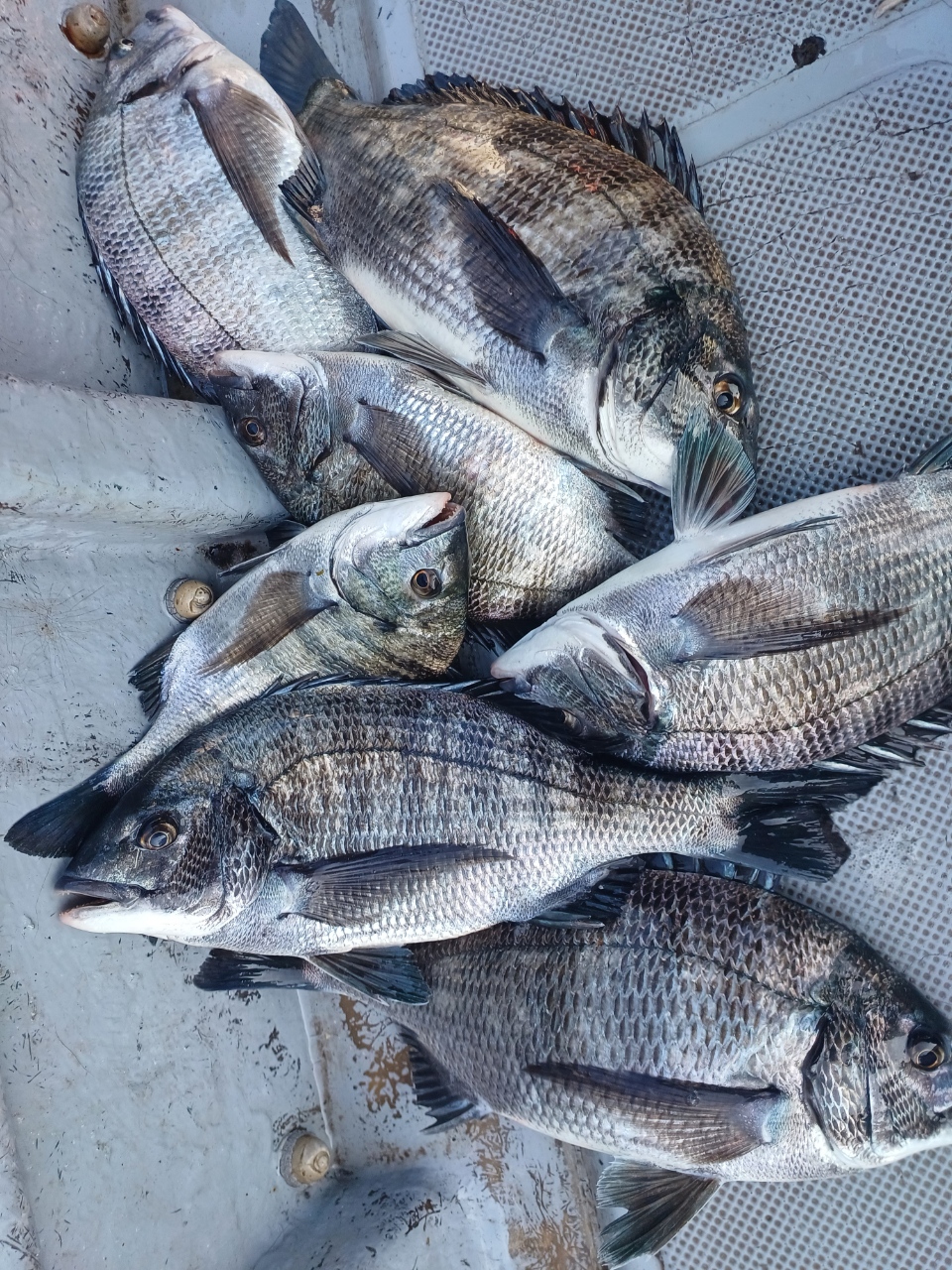
진해안골프로낚시 카고감성돔

안골프로낚시 0 155
● 출항지 : 진해


안녕하세요 안골프로낚십니다.

 오늘 많이 재미보고가셨습니다

내일 카고 감성돔자리있습니다 

편하게 연락주세요~^^

 

Tel:010 4546 2119

계좌: 수협  2020-4468-0489 박영민

0 댓글
포토 제목
 
 

인낚 최신글


인낚 최신댓글


온라인 문의 안내


월~금 : 9:00 ~ 18:00
토/일/공휴일 휴무
점심시간 : 12:00 ~ 13:00