낚시뚜에서 인낚으로 보내는 자동조황
| |||||||||||||||||||
천국피싱 뉴스피드호 " 주간 감성돔(흘림) "
1일 월요일 - 주간흘림3분예약가능 2일 화요일 - 주간흘림예약가능 3일 수요일 - 주간흘림예약가능 4일 목요일 - 주간흘림예약가능 5일 금요일 - 주간흘림예약가능 6일 토요일 - 주간흘림예약가능 7일 일요일 - 주간흘림예약가능 8일 월요일 - 주간흘림예약가능 9일 화요일 - 주간흘림예약가능 10일 수요일 - 주간흘림예약가능
예약완료에도 자리가 있을 수 있으니 연락 주세요~! 예약문의 010-5335-4699
| |||||||||||||||||||
![]() ![]() ![]() ![]() ![]() ![]() ![]() ![]() ![]() ![]() ![]() ![]() ![]() ![]() ![]() ![]() ![]() | |||||||||||||||||||
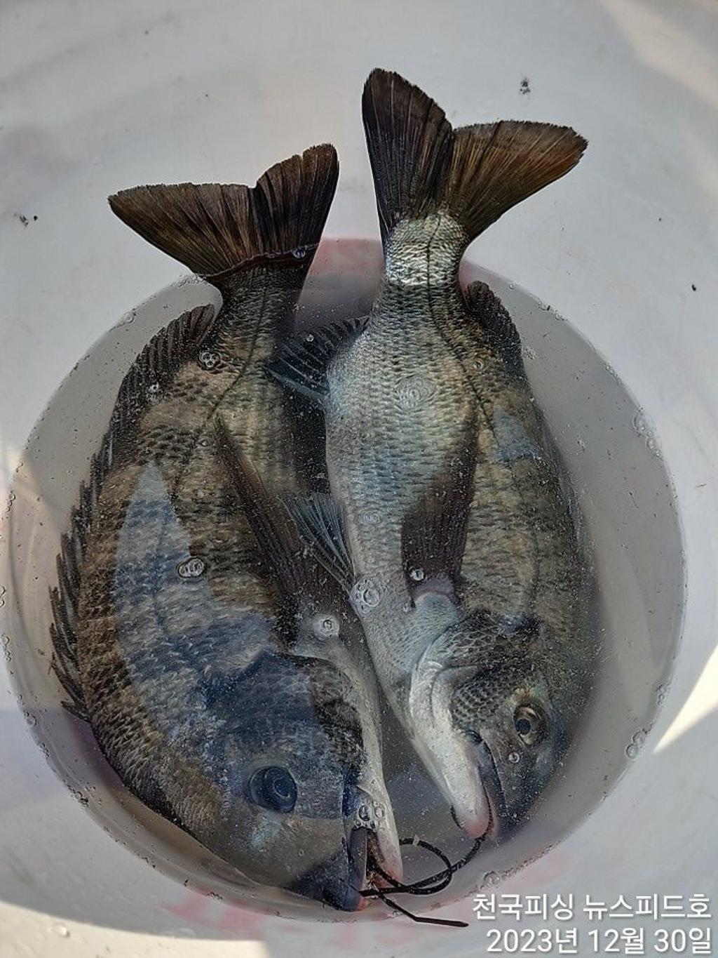
" 주간 감성돔 흘림" 철수 조황
43 40 40 40 40 38 37 찐한 손맛 보고 왔습니다 일요일은 기상악화로 휴항입니다 내일 월요일 몇자리 남았습니다 월화수목금토 쭉 예약 가능합니다
손맛 보러 가실 분 연락 주세요^^
항상 천국피싱을 찾아 주시는 조사님들께 한분 한분 최선을 다하고 더 나은 조황을 위하여 노력하겠습니다!
"진해천국피싱" 밴드로 초대합니다. 아래링크를 눌러 들어오세요~ 실시간 조황과 예약현황은 밴드에서 확인하실 수 있습니다. https://band.us/band/83427237 "감성돔 흘림" 주간 출조 출항 - 오전 5시 (유동적) 입항 - 오후 2시 (유동적) 선비 - 10만원 (백크릴, 밑밥, 식사포함) 대체미끼 개인준비 자리는 선착순입니다
"감성돔 흘림" 채비 낚시대 - 감성돔 전용 0.8~1호 릴 - 2500~3000번 (원줄 2~2.5호) 찌 - 막대찌 2호~3호 "먼바다 왕한치" 채비
낚시대 - 한치전용릴대, 타이라바대 수심체크 베이트릴 스피닝릴 원줄1호 8합사 채비 1단~3단 이카메탈 - 80g~120g 목줄 - 4~5호 추 - 25호~30호 자리 추첨번호가 잠자리 번호입니다
"준내만 갈치" 채비 낚시대 - 한치대, 이카메탈대, 팀런대, 문어대 합사 0.8호~1호 추 30~40호 베이트릴(수심체크), 스피닝릴 2500~3000번
자리 추첨번호가 잠자리 번호입니다 채비 및 미끼는 배에서 판매하고 있습니다.
대장쿨러 X
** 신분증 지참해 주세요 ** ** 개인 수건 지참해 주세요 **
안녕하십니까? 저희 뉴스피드호는 넓고 쾌적한 공간과 선실을 보유하고 있어 낚시하기에 좋습니다. 갓 지은 쌀밥과 다양한 밑반찬으로 푸짐하고 맛있는 집밥을 자랑합니다. 즐거운 추억 만들 수 있도록 최선을 다해 모시겠습니다.
**최신형 낚시배** 천국피싱 뉴스피드호(9.77톤)-정원 22명
승선시 신분증 및 구명조끼 필수 (신분증 미지참시 승선 불가) 술 반입 및 음주 절대 금지 "진해 천국피싱 뉴스피드호" 입금계좌 수협 - 2060-0076-3022 (배민주) 선비는 선입금입니다.
예약문의 010-5335-4699 선장문의 010-9393-9113 ☆☆예약은 약속입니다☆☆ 예약 후 부득이한 사정으로 취소 시 미리 연락 주세요. 당일 취소 시 예약금 환불 불가 기상악화로 인한 취소는 100% 환불
| |||||||||||||||||||
| |||||||||||||||||||
![]() |