통영 머구리 이선장의 연타피싱) 2024.12.29. 참돔 타이라바 5짜, 4짜 퍽퍽합니다~
12월 07일(일)
인낚 현재접속자
3,084명 (
152
)
공지사항
인낚도서관
점주선장전용 공지사항
로그인
광고/제휴 문의
운영진에게
인낚ㅣ인터넷바다낚시
0
어종별선상
어종별갯바위
낚시인조황
점주선장조황
출조정보
낚시광장
낚시지식인
낚시교실
중고장터
휴게실
인낚도서관
인낚몰
0
어종별선상
어종별 선상조황
4대돔 조황
먹물 조황
갈치 조황
볼락&전갱이
빅게임 지깅&파핑
외줄&외수질
기타 어종
어종별 갯바위조황
4대돔 조황
먹물 조황
갈치 조황
볼락&전갱이
농어&삼치&방어&부시리
기타 어종
어종별갯바위
어종별 선상조황
4대돔 조황
먹물 조황
갈치 조황
볼락&전갱이
빅게임 지깅&파핑
외줄&외수질
기타 어종
어종별 갯바위조황
4대돔 조황
먹물 조황
갈치 조황
볼락&전갱이
농어&삼치&방어&부시리
기타 어종
낚시인조황
낚시인 번개조황
낚시인조행기
스탭조행기
우리낚시동호회이야기
전국낚시동호회소개
동호회갤러리
지난 조황자료보기(년도별 조황 자료)
점주선장조황
전국 실시간 조황
선상(배)+좌대 조황
갯바위+방파제 조황
점주선장전용 공지사항
지난 조황자료보기(년도별 조황 자료)
출조정보
낚시인동행출조
점주선장 갯바위 출조
점주선장 선상출조
기상파고정보(기상청)
해상예보
물때표
파고예보(일본)
실시간해양관측예보
스마트조석예보
낚시광장
낚시계뉴스
대회 및 낚시관련 홍보
제품평가단
신상품소개
낚시지식인
Q&A 묻고 답하기
조황/포인트 문의
주간 베스트
낚시용품 사용기
낚시투표
토론방
新어류도감
낚시교실
낚시기법소개
어종별 낚시교실
입문자교실
중급자교실
낚시용어사전
중고장터
중고장터 이용후기
더치트 사기피해 검색
팝니다
삽니다
교환합시다
무료로 드립니다
부품팝니다
부품삽니다
일반 생활용품 사고 팔기
휴게실
출석부
낚시갤러리
세상사는 이야기(자유게시판)
낚시이야기 마당
먹고사는 이야기
구인구직
칭찬합니다
어째이런일이
습득물 찾기
메인
어종별선상
어종별갯바위
낚시인조황
점주선장조황
출조정보
낚시광장
낚시지식인
낚시교실
중고장터
휴게실
0
점주/선장 >
선상(배) 조황
☆ 공지사항 '조황등재시 유의사항' 게시글 필독
☆
- 당일 조황 올리기
- 이전 조황 복사해서 올리지 말기
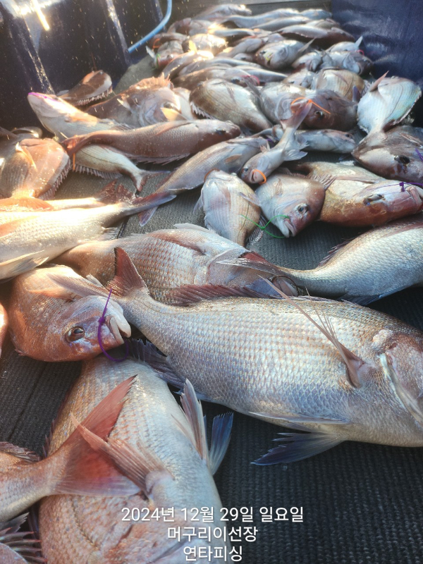
통영 머구리 이선장의 연타피싱) 2024.12.29. 참돔 타이라바 5짜, 4짜 퍽퍽합니다~
통영연타피싱
0
132
2024.12.29 19:24
● 출항지 : 고성
● 출조인원 : 6~10명
라바라바 타이라바~~~
5짜,4짜 퍽퍽퍽하네요 ㅎㅎ
주의보해제후 여러 포인트가 형성되니
참돔 놀이터에서
딱가돌리고 왔습니다
꼬시기가 쪼매 까칠했지만
잘꼬시는 분들 담구면 물어때네요ㅎㅎ
연타피싱 예약 사이트 안내
http://yeontafishing.sunsang24.com/
예약문의
머구리 이선장님 010 7135 2299
입금계좌
안은숙
수협 2020 5134 6033
배를 누르시면 선상24 예약사이트로 연결됩니다
문어 종일낚시 9만원
참돔타이라바 10만원
입니다
예약창에 문어든 타이라바든 먼저 예약 누르시면 그날은 먼저 예약된 어종으로 나갑니다
선택은 조사님이,
나머지는 머구리 이선장님과 뻐꾸미 사모장님이 알아서 챙깁니다^^*
자리는 여유있습니다
마감이 되었더라도 일행이 한두분 더 가고싶어 하시면 머구리 이선장님에게 연락주세요
자리는 추첨입니다
너무 일찍 오셔서 기다리지 않으셔도 됩니다
출발 30분전까지 도착하여 명부작성 후 늦어도 출발20분전에는 자리추첨 예정입니다
다만 도착시간이 늦을 경우 추첨에서 제외되고 남은 자리에서 일행끼리 같이하지 못하고 떨어져서 낚시할 수 있으니 시간 늦지 않게 도착 부탁드립니다
궁금하신게 있으시면 머구리 이선장님께 문의 바랍니다
통화가 어려울 경우 문자 남겨주시고
정 급할땐 밴드지기에게 전화주세요^^
[밴드 초대] 통영 연타피싱
https://band.us/n/a4a6A80cqa4aB
0
신고
검색
목록
글쓴이
1
0
Lv.1
거제연타피싱
점주선장
1,500 (15%)
거제 9.16톤 신조선 연타피싱입니다~
12.30
통영 머구리 이선장의 연타피싱) 2024.12.30. 올해 마지막 참돔 사냥 다녀왔습니다^^
12.29
통영 머구리 이선장의 연타피싱) 2024.12.29. 참돔 타이라바 5짜, 4짜 퍽퍽합니다~
12.28
통영 머구리 이선장의 연타피싱) 2024.12.28. 참돔타이라바조황
12.25
통영 머구리 이선장의 연타피싱)2024.12.25. 크리스마스에 참돔이 떼거리로 인사왔네요^^
12.20
통영 머구리 이선장의 연타피싱) 2024.12.20. 8짜 참돔이 왔어요!!!.
0
댓글
로그인한 회원만 댓글 등록이 가능합니다.
×
Image Upload
로그인한 회원만 등록가능합니다.
포토
제목
이름
날짜
★ 24년 조황게시판 종료 / 2025년 게시판에서 작성 부탁드…
인터넷바다낚시
01.01
★필독★ 조황 등재시 유의사항 (1일 2회까지 등록가능)
인터넷바다낚시
2022.10.06
제목 특수문자 사용금지 (온점, 쉼포, 느낌표, 괄호, 물결만 …
인터넷바다낚시
2022.12.05
선단조황 등록 방식 변경 안내
인터넷바다낚시
2021.03.25
[고성] 병산 감성돔 42외 마리수 선상흘림조황~^^
출항지 : 고성 / 출조지 :
병산낚시레저
647
2024.12.31
병산낚시레저
2024.12.31
[고성] 24년 마지막날 흘림 조황 입니다.2일부터 널널합니다.
출항지 : 고성 / 출조지 :
고성용맹호
356
2024.12.31
고성용맹호
2024.12.31
[고성] 31일 태권호 감성돔 흘림 조황입니다.이벤트 진행중
출항지 : 고성 / 출조지 :
고성태권호
346
2024.12.31
고성태권호
2024.12.31
[고성] 리드호 내일 감성돔 출조합니다.
출항지 : 고성 / 출조지 :
리드호
212
2024.12.31
리드호
2024.12.31
[고성] Feel~받는 필바다 감성동 카고 짬 조황
출항지 : 고성 / 출조지 :
필바다레저
237
2024.12.31
필바다레저
2024.12.31
[고성] 5짜5짜5짜4짜 4짜등등등등 총11수 조황
출항지 : 고성 / 출조지 :
마리스호풍어피싱
342
2024.12.31
마리스호풍어피싱
2024.12.31
[고성] ((고성 주인호))<이벤트중>주인호 감성돔 마릿수조황~
출항지 : 고성 / 출조지 :
주인피싱
215
2024.12.31
주인피싱
2024.12.31
[고성] 대물감성돔 5짜 5짜 5짜 5짜 4짜 4짜 4짜 카고 조항 입니…
출항지 : 고성 / 출조지 :
맥전포스피드피싱
382
2024.12.31
맥전포스피드피싱
2024.12.31
[고성] 감성호 사량권감성돔^^씨알 마리수 만족~(흘림)
출항지 : 고성 / 출조지 :
감성호
434
2024.12.31
감성호
2024.12.31
[고성] 야간문어 낙지 다녀왔습니다
출항지 : 고성 / 출조지 :
탈레스호
219
2024.12.31
탈레스호
2024.12.31
[고성] 통영 머구리 이선장의 연타피싱) 2024.12.30. 올해 마지…
출항지 : 고성 / 출조지 :
통영연타피싱
196
2024.12.30
통영연타피싱
2024.12.30
[고성] 참돔(대박행진)5짜전후 쏟아져요~화끈 손맛~베이호(31일 예약)
출항지 : 고성 / 출조지 :
고성베이호
427
2024.12.30
고성베이호
2024.12.30
[고성] 사량도굴어장 졸업식날 1.91kg대물문어 내어주네요
출항지 : 고성 / 출조지 :
탈레스호
168
2024.12.30
탈레스호
2024.12.30
[고성] 사량도 어초 흘림 마리수 굿~~~~ 내일 자리 있습니다.
출항지 : 고성 / 출조지 :
고성용맹호
301
2024.12.30
고성용맹호
2024.12.30
[고성] 대물감성돔 5짜 5짜 5짜 4짜 4짜 4짜 카고 조항 입니다
출항지 : 고성 / 출조지 :
맥전포스피드피싱
317
2024.12.30
맥전포스피드피싱
2024.12.30
초기화
날짜순
조회순
목록
검색
1
2
다음검색
Search
검색대상
제목
내용
제목+내용
회원아이디
회원아이디(댓글)
글쓴이
글쓴이(댓글)
또는
그리고
검색어
필수
검색
닫기
검색조건
제목
내용
제목+내용
회원아이디
회원아이디(코)
글쓴이
글쓴이(코)
검색어
또는
그리고
검색
인낚몰 초특가
★500★ W쿠션 멀티 수중찌 M L - 전유동 반유동 끄심바리 필수품 수중쿠션
★5,900★ 여러개 있으면 아주 좋은 EVA 시스템 백
★ 1+1 플로팅, 세미, 카본 낚시줄 행사 호수선택가능 / 택상 1+1 원줄, 목줄 행사
★6,000★ 예민함의 끝판왕 애니원찌 벵에돔찌 학공치찌
★15,000★ 오동목 구멍찌 5개 + 메쉬 찌케이스 세트
★22만원★ 40W 집어등을 이 가격에!
★5,000★ 전층쿠션 15세트입 S / L 사이즈
★2,000★ 전층쿠션 5세트입 S / L 사이즈
★10,000 미니집어등5개 + 425배터리 1개 + 스토퍼고무 10개
★13,500 深海 심해대물 갈치집어등 3개 5LED 오색 집어등 갈치낚시 필수품 건전지3개 포함 수중집어등
★9,900★ 수제공방 갈치 풀치 잔치세트 짬낚시 필수 하나로 끝
★8,650~★ 아부가르시아 카치카치다마 유동식 타이라바 - 80g / 100g / 120g / 140g