- 당일 조황 올리기 - 이전 조황 복사해서 올리지 말기 |
남해 미조 내셔널호(선상낚시) 감성돔 조황입니다~!!#내셔널피싱 #내셔널호
#남해 #남해선상낚시 #선상낚시
#감성돔낚시 #남해감성돔조황
#카고낚시 #흘림낚시
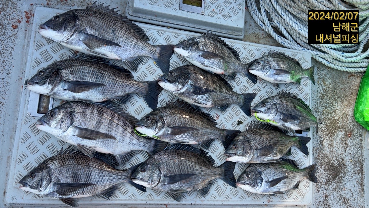
#2월7일 #5물
내셔널입니다~!!
오늘은 두분 모시고 속닥하니 카고 다녀왔습니다~
카고 몇개 안들어가서 바로 입질!!
카고망이 보이는데, 훌러덩 벗겨지네요ㅜ
아숩지만, 열심히 하신결과..............
대장감성돔52포함 12마리!!!!
출조 문의나, 궁금하신 사항이 있으시면 010-4100-2788
으로 연락 바랍니다~^^
https://band.us/@nationalfishing
내셔널호, 내셔널피싱, 남해선상낚시, 남해감성돔조황, 남해감성돔낚시, 남해카고낚시, 남해흘림낚시, 남해여행, 남해체험낚시
안녕하세요 남해 미조 팔랑마을에 위치한 선상낚시 갯바위낚시 전문 내셔널피싱 입니다 ㆍ #내셔널피싱 은 2023년 최신 표준어선형 설계로 5톤사이즈 이지만 6~7톤급 넓은 구조로 낚시하기편한 넓은통로와 깨끗한 화장실, 아늑한 선실이 구비되어 있는 최신식 #남해선상낚시 #갯바위낚시 배 입니다. ㆍ 또한 최신형 전자장비와 40년 낚시&어부 인생을 살아오신 아버지의 노하우로 정확한 포인트 낚시가 가능하며 승선인원은 12명으로 #흘림낚시 #루어낚시 #생활낚시 #갯바위낚시 등 모든장르의 낚시가 가능합니다. 남해바다길 40년 노하우로 풍성한 조과로 모시겠습니다. ㆍ #남해낚시 배 내셔널피싱은 #감성돔낚시 #참돔낚시 #볼락낚시 #농어낚시 #무늬오징어루어낚시 #생활낚시 전문입니다 ㆍ 찾아오시는길은 네이게이션으로 [남해군 미조면 미조로 317-10] 검색후 앞 선착장으로 오시면 주차시설 널널 합니다 ㆍ 문의 010 4100 2788 (입질팍팍)