(실시간) 감성돔들 참돔들 4짜급들 마리수~거제대어낚시2호(29일 예약)

신상품 소개


회원 랭킹


공지사항


NaverBand
점주/선장 > 선상(배) 조황

▶ 지켜주세요! ◀
 
 - 당일 조황을 올리셔야 합니다. 
 - 지난 조황은 2일이내 미등록 조황만 가능합니다. 
 - 이미 올린 조황을 붙여넣기하여 계속 등재하시면 중복조황에 해당합니다. 
 - 당일 조황을 올리면서 이전 조황을 같이 올리면 중복조황에 해당합니다.
 - 조황없는 출조정보는 출조정보 게시판을 이용하시길 바랍니다. 
 - 올린 글 삭제하고 다시 올려 상단에 올리려는 방법, 이용규칙 위반입니다. 
 - 제목에 특수문자 사용하시면 안됩니다. (온점, 쉼표, 느낌표, 괄호, 물결만 허용)

 ☆ 공지사항에 '조황등재시 유의사항' 게시글을 꼭 확인하시고 조황작성 부탁드리며, 가장 기본적인 
    규칙이 지켜지지 않을 시 예고없이 글 삭제 및 이용정지 될 수 있음을 알려드립니다. 
 
b_hot_innakmall_200x80_240307.jpg b_hot_innakmall_200x80_220704.jpg b_hot_ggsusan_hongeu_200x80.gif b_hot_innakmall_200x80_211203.gif

(실시간) 감성돔들 참돔들 4짜급들 마리수~거제대어낚시2호(29일 예약)

거제대어낚시2호 1 53
● 출항지 : 거제
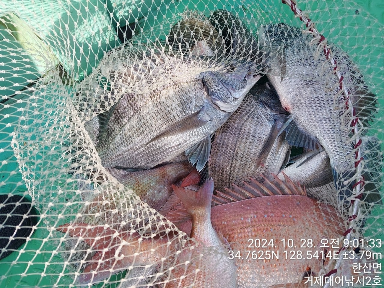
28일(월요일) 거제도 감성돔 흘림낚시 "거제대어2호" (실시간)조황입니다.
※감성돔 53Cm 참돔 68Cm이상(日1명) 대어&아지카이벤트 최상급원줄 증정!!!

☆ 29일(화요일) 감성돔낚시 선외기대여 "예약가능"
(29일 4물, 만조 07:11 간조 12:59)감성돔/참돔/선외기 대여/생활낚시/숙박OK!!!
(실시간) 어초여밭 감성돔들 참돔들 4짜급들 마리수~
  • 사용자가 올린 이미지

거제대어낚시2호, 어초, 여밭 감성돔 흘림낚시 조황입니다.
역시~ 명포인트답게 오늘은 이른 시간부터 감성돔들과 참돔들이 뒤썩여
번갈아가며 입질을 해댑니다. 좋은 활성도에 퍽~퍽~입질이 시작되었고,
감성돔 4짜급들외 마리수와 참돔으로 찐한 손맛중입니다. 입질은 시원
하게 가져 가는데 빠지는 녀석들이 5수 정도, 남은시간 더~집중해
보겠습니다. 주말까지 좋은 물때 구간으로 진입해 승율이 높아집니다.
내일 예약 가능합니다.

내일, 29일(화요일) 먼바다 참돔낚시, 어초여밭 감성돔흘림낚시와
선외기 대여 분산 출조합니다.대물들이 본격 움직이기 시작했습니다.

▣ 거제대어낚시 참돔부시리/감성돔낚시/선외기대여 일정 안내 ▣
★숙박+낚시배를 동시에 이용하고자 하는 분들은 할인 혜택 적용.
(선외기 소식) 선외기대에서 돌문어 굵은놈들 본격 입성했습니다.
☆29일(화요일) 4물, 참돔낚시 감성돔낚시 선외기대여 "예약가능"
☆30일(수요일) 5물. 참돔낚시 감성돔낚시 선외기대여 "예약가능"
☆31일(목요일) 6물. 참돔낚시 감성돔낚시 선외기대여 "예약가능"
☆11월 1일(금요일) 7물. 참돔낚시 감성돔낚시 선외기대여 "예약가능"
☆11월 2일(토요일) 8물. 참돔낚시 감성돔낚시 선외기대여 "예약가능"
※ 좋은 포인트 선정을 위해 예약을 미리미리 서둘러 주십시요.

거제대어낚시 선상낚시 예약(독채 민박)
문의 ☎ 010-6400-2082 / ☎ 010-454-393
ㅁ선외기 예약: ☎ 010-6400-2082
■ 밴드: https://band.us/@geojdaeeofishing
  • 사용자가 올린 이미지
  • 사용자가 올린 이미지
  • 사용자가 올린 이미지
  • 사용자가 올린 이미지
  • 사용자가 올린 이미지
  • 사용자가 올린 이미지
  • 사용자가 올린 이미지
  • 사용자가 올린 이미지
  • 사용자가 올린 이미지
  • 사용자가 올린 이미지
  • 사용자가 올린 이미지
거제대어낚시는 1~8선단을 운영하고 있으며 거제도에서 가장 큰
규모를 자랑합니다. 단체팀/회사팀/기업팀/동호회팀/선상 낚시대회도
가능한 충분한 인원을 수용 가능합니다.

■ 돌문어낚시 ■
새벽 4시 30분 출발해서 오후 1시 전후까지 운영.
- 식사, 음료 커피 제공

■ 참돔 흘림낚시 (내만권/중장거리 상시 출조)
한나절:새벽부터 ~ 2시까지(유동적) 13만원
- 밑밥,미끼,도시락 제공, 커피, 음료, 생수 제공
(낚싯대) 기본 1.5호~2호대 530(경질대 선호)
(릴) 4000번~6000번. 권사량 150~200미터 추천되는 스피닝릴.
(라인) 원줄 4~6호 플로팅 세미타입, 목줄 후로로카본 100% 4호~6호 선호.
(바늘) 참돔 8~12호, 큐션또는 수중큐션 -2B ~ -5B, 좁쌀봉돌, 스위벨도래
※독배는 시간 조정 가능합니다.

▦ 거제대어낚시 참돔 시상 내역 ▦ 일 1명씩 시상됩니다.
68Cm 이상 - 최상급 원줄 증정

■ 생활낚시 & 낚시체험
- 상시 예약 출조 가능합니다.
- 낚은 고기로 회썰어 드립니다.
- 몸만 오시면 됩니다.(낚싯대, 장비일절제공, 구명복 제공)

■ 선외기 대여
(4인승)- 13만원, (3인승) - 10만원 / (2인승) - 8만원 / (1인승)- 7만원.
영업구역 내 조정면허증 필요 없으므로, 누구나 이용이 가능합니다.
- 선외기 사용교육 3분이면 바로, 운전하실 수 있습니다.

★안전 주의 사항★
- 거제대어낚시 선단 이용시, 안전한 낚시를 위해 선착장 통로 이용시 미끌림을
주의 해 주시길 바랍니다. 통로 좌우에 있는 핸들을 잡고 이동하시면 안전합니다.
- 선착장도착전, 배에서 미리 내리지 마시고, 배가 정박하고, 로프를 묶은 뒤에
하선해 주시길 바랍니다.

★대어낚시 선단★
거제 대어낚시 1호 ㅡ 안젤라호
거제 대어낚시 2호 ㅡ 안드레아호
거제 대어낚시 3호 ㅡ 야호(YAHO)
거제 대어낚시 4호 ㅡ 돌핀호
거제 대어낚시 5호 ㅡ 미래호
거제 대어낚시 6호 ㅡ 거제바다호
거제 대어낚시 7호 ㅡ 사랑호
거제 대어낚시 8호 ㅡ 대어호

■ 주변 제휴 민박집 ■
아지랑 민박(단체-독채) ☎010-6400-2082
해송굴구이민박 (단체) ☎010-2545-3755
거제 대어낚시 주변 파라스파찜질방 검색하시면 됩니다.

☎ 거제대어낚시 선상낚시 예약(독채 민박) 문의☎
☎ 010-6400-2082 / ☎ 010-4547-3937
ㅁ선외기: ☎ 010-6400-2082
■ 밴드: https://band.us/@geojdaeeofishing

★찾아오시는길★
※출항지: 거제시 거제면 법동리 1074번지 아지랑경로당 방파제
사무실 :거제시 거제면 서정리 746-3(GS25시편의점)검색하시면 바로 옆 위치
★★★신분증 꼭 지참해주세요★★★
  • 사용자가 올린 이미지

, , , , , , , , , , , , , , , , , , , , , , , , , , , , , , , , , , , , , , , , , ,

1 댓글
거제대어낚시2호 24-10-28 11:05 0  
29일 거제도 참돔 감성돔 선외기 예약 자리 있습니다. 감사합니다.
포토 제목
 
 

인낚 최신글


인낚 최신댓글


온라인 문의 안내


월~금 : 9:00 ~ 18:00
토/일/공휴일 휴무
점심시간 : 12:00 ~ 13:00