카드
경남마산합폭구진동면광암해안길16
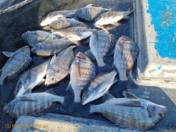
진동 강인피싱 오늘 감성돔 한분 조황내일자리여유
경남마산합폭구진동면광암해안길16

진동강인호입니다
오늘1분조사님조항입니다.
살아나는 물때감성돔 마리수조항 예상하고있읍니다조과입니다.
내일예약가능합니다
.
감성돔 진동선상채비 어렵지않고 준비사항도 많지않읍니다
아가는감성감성돔선상및
밴드및전화주시면... 간소한채비 필요한것만 알려드리겠읍니다.
지 않니다
평일은 자리여유가많읍니다
요
조건손
손맛보실수있도록 최선을다하곘읍니다
야간 예약 가능합니다.(3분이상예약가능합니다)
채비노하우는 전화로 문의해주세요
최선을 다하는 강인호 되겠읍니다..
선사에서 무료제공
( 컵라면 생수 커피 개인 라면)
■감성돔 출항시간■
출항: 오전4전후(유동적)
입항: 오후13시전후(유동적)
■선비■
감성돔 내만권9만원
감성돔 준내만권10만
감성돔 한산권 11만원 (밉밥/입갑)포함
-------------------------------------------
*예약 문의*
010-2410-2442
010-3800-0266
*입금 계좌*
우체국(김인자)
612077-02-022680
구명복 배에도 구비 되어있습니다
이번감성돔 시즌부터
진동강인피싱은
실시간조항 밴드활동을 합니다.
많은 관심 바랍니다
아래주소로
많은 관심 부탁드려요^^
진동 강인피싱' 밴드로 초대합니다.
https://band.us/n/a4ae9cCf59y8S
밴드명을 검색해 가입할 수 있습니다.
