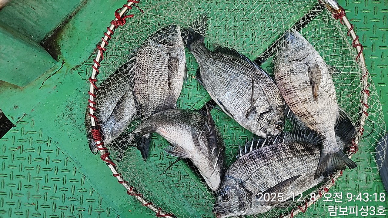
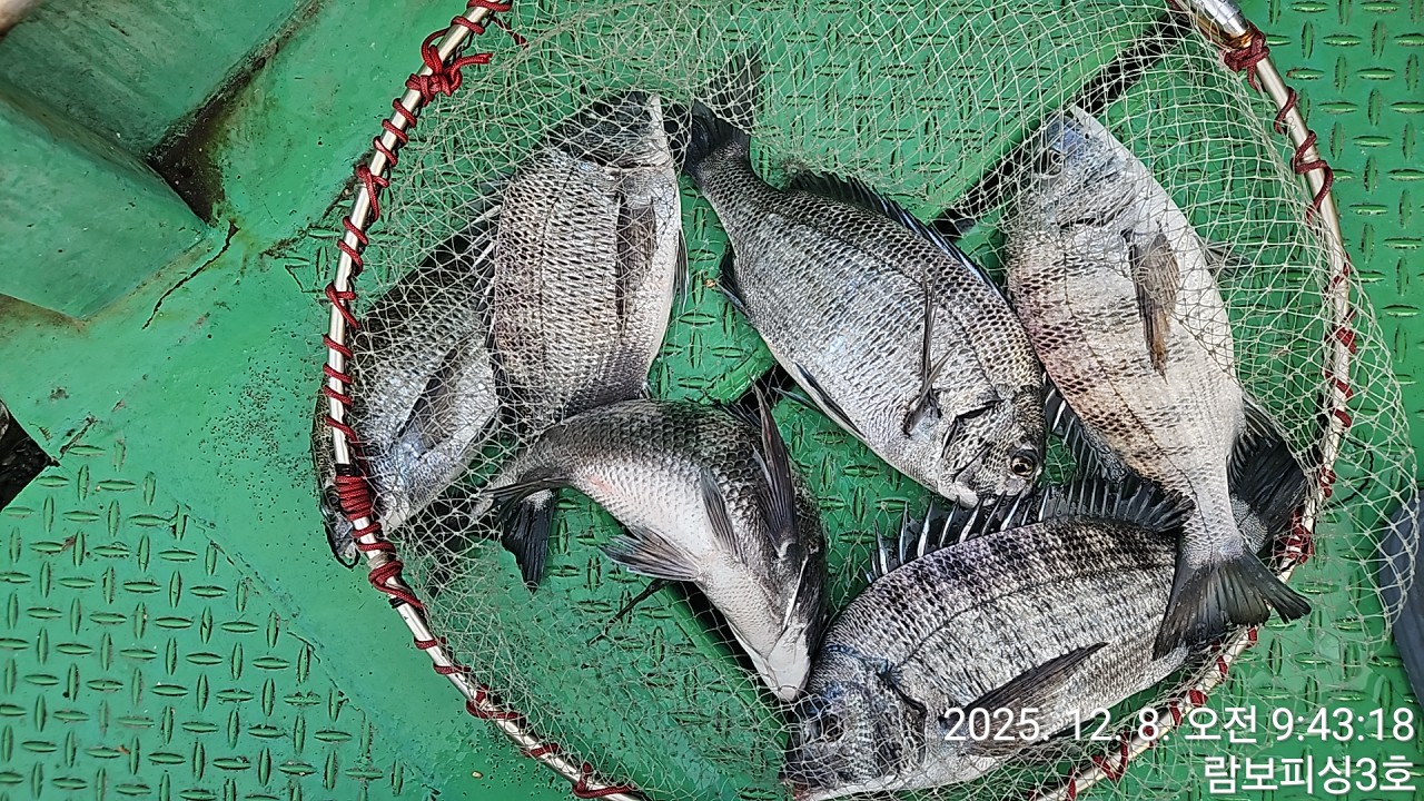
(어초여밭)4짜외 따문따문

신상품 소개


회원 랭킹


공지사항


NaverBand
점주/선장 > 선상 + 좌대 조황

(어초여밭)4짜외 따문따문

람보3호한결호 1 57
● 출항지 : 거제 ● 출조지 : 거제
밴드 바로가기
금일 입질이 너무 예민하네요
3마리 빠지고 4짜외 올라옵니다 
남은시간 열심히 쪼아보겠습니다 
낼 예약가능 합니다 

※ 공휴일과 주말 예약은 서둘러 예약하시면 승율포인트로 우선 진입.

▦ 람보피싱 (참돔/감성돔낚시 전용선 체제)
(출조 문의) ☎010.8387.0331 (부재시) ☎010.9046.1156
(출항지 주소) 경남 거제시 거제면 법동리 1056번지
▶람보피싱 밴드 :  https://band.us/@zzxx6954
▦ 참돔낚시 먼바다 어초 흘림낚시 안내 ▦ 
(출조 시기) 5월 부터 10월까지.(14만원)
(오전낚시) 새벽부터 13時 까지 (유동적)
(오후낚시) 13時부터 일몰까지 (3명부터 출조 운영)
- 도시락, 생수, 밑밥, 미끼 커피 

▦ 거제도 감성돔 선상(흘림)낚시 출조 ▦(시즌오프)
(출조 시기) 11월부터 6월 까지.
(종일/흘림낚시) 새벽 5시 출발 오후 2시 까지
- 도시락, 생수, 밑밥, 미끼 커피 (11만원)
(종일/카고낚시) 새벽부터 오후 2시 까지
- 도시락, 생수, 밑밥, 미끼 커피 (11만원)
▶ 어초/여밭 감성돔낚시는 11월부터 4월 까지 (종일낚시

  • 페이스북으로 보내기
  • 트위터로 보내기
  • 구글플러스로 보내기
  • 카카오스토리로 보내기
  • 네이버밴드로 보내기
  • 네이버로 보내기
  • 텀블러로 보내기
  • 핀터레스트로 보내기
1 댓글
포토 제목
 
 

인낚 최신글


인낚 최신댓글


온라인 문의 안내


월~금 : 9:00 ~ 18:00
토/일/공휴일 휴무
점심시간 : 12:00 ~ 13:00