하동피싱호 하동 야간 낚시 시즌이 왔습니다

신상품 소개


회원 랭킹


공지사항


NaverBand
점주/선장 > 선상 + 좌대 조황

하동피싱호 하동 야간 낚시 시즌이 왔습니다

하동피싱호 0 114
● 출항지 : 남해

a470bbd14d41bd99e449b72471f3a0b1_1765194047_2435.jpg
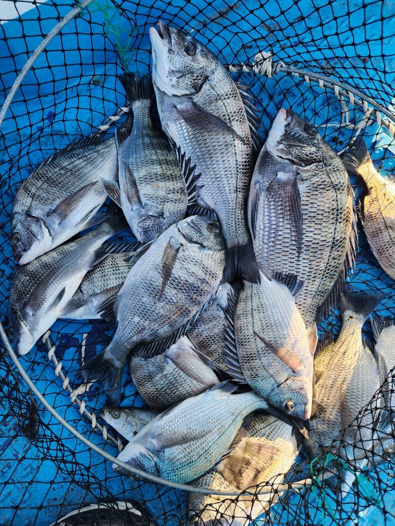
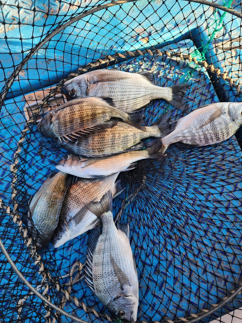
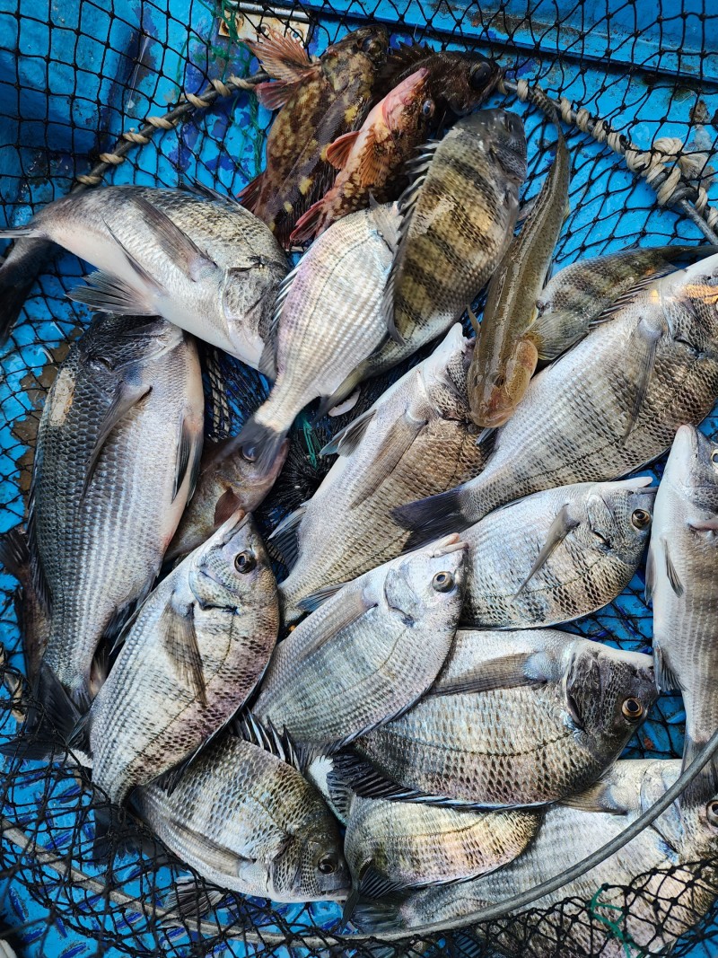
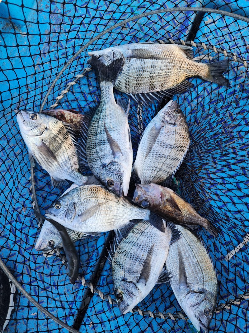
토요일 일요일 조황입니다 금요일 야간 조황은 사진 미촬영으로사진이 없습니다 하동 야간 시즌이 왔습니다 바다는 아직도 

가을인가봐요 30전후 사이즈에 4짜가 한마리씩 섞여 너옵니다

싸이즈는 아직 아쉽지만 손맛 눈맛 볼수있습니다 피싱호는 주말에만 출조합니다 이번주는 금요일 야간 토요일 주간  토요일 

야간 일요일 주간 출조 합니다 함께하실분 연락주세요 010 4850 1644 부재시 010 4555 1423 



a470bbd14d41bd99e449b72471f3a0b1_1765194051_7012.jpg



a470bbd14d41bd99e449b72471f3a0b1_1765194055_3847.jpg



a470bbd14d41bd99e449b72471f3a0b1_1765194059_1344.jpg



a470bbd14d41bd99e449b72471f3a0b1_1765194062_6101.jpg



a470bbd14d41bd99e449b72471f3a0b1_1765194066_4145.jpg



a470bbd14d41bd99e449b72471f3a0b1_1765194070_1575.jpg



▶ 지켜주세요! ◀

- 당일 조황을 올리셔야 합니다.
- 지난 조황은 2일이내 미등록 조황만 가능합니다.
- 이미 올린 조황을 붙여넣기하여 계속 등재하시면 중복조황에 해당합니다.
- 당일 조황을 올리면서 이전 조황을 같이 올리면 중복조황에 해당합니다.
- 조황없는 출조정보는 출조정보 게시판을 이용하시길 바랍니다.
- 올린 글 삭제하고 다시 올려 상단에 올리려는 방법, 이용규칙 위반입니다.
- 제목에 특수문자 사용하시면 안됩니다. (온점, 쉼표, 느낌표, 괄호, 물결만 허용)

☆ 공지사항에 '조황등재시 유의사항' 게시글을 꼭 확인하시고 조황작성 부탁드리며, 가장 기본적인
규칙이 지켜지지 않을 시 예고없이 글 삭제 및 이용정지 될 수 있음을 알려드립니다.

  • 페이스북으로 보내기
  • 트위터로 보내기
  • 구글플러스로 보내기
  • 카카오스토리로 보내기
  • 네이버밴드로 보내기
  • 네이버로 보내기
  • 텀블러로 보내기
  • 핀터레스트로 보내기
0 댓글
포토 제목
 
 

인낚 최신글


인낚 최신댓글


온라인 문의 안내


월~금 : 9:00 ~ 18:00
토/일/공휴일 휴무
점심시간 : 12:00 ~ 13:00