네임
카드
카드
고성드래곤피싱
경남 고성군 삼산면
두포로 522-66
010-9339-6947
경남 고성군 삼산면
두포로 522-66
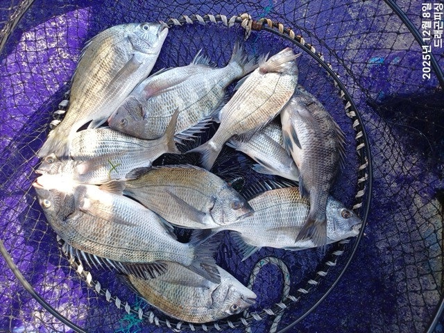
금,토,일 감시 흘림 자리여유 함께하실분 연락주세요.
비예보가있어 쉬고 지난 출조엔 계속 이어지는 감시 입질에
출조하신 조우님 전원 손맛보고 터지고 빠지고 마릿수
12일:7자리여유 13일:5자리여유 14일:4자리여유 15일:7자리여유

☞ 예약은 입금순으로 합니다.(펑크내는 분들이 너무많아서 이해하세요)
계좌번호 : 국민은행 558201-01-411286 조영식
☞ 출항 6시 철수 2시 전후 입항 선비 10만원
☞ 밑밥, 미끼,캔음료,점심 제공

■ 고성드래곤피싱 :https://band.us/@dragon6666
밴드에서 바로 조황 확인 예약 가능합니다.
■ 선장 ☎010 9339 6947■ 출항지 : 구주소: 고성군 삼산면 두포리946-1,
도로명: 경남고성군 삼산면 두포길 522-66( 네이브 지도 드래곤피싱 검색 )
#선상낚시 #흘림찌낚시 #고성선상낚시 #고성낚시배 #감성돔조황
#바다낚시 #어초 #고성참돔 #고성돌문어전문 #감성돔흘림
#고성바다낚시 #남해바다 #고성내만갈치 #체험낚시 #고성돌문어낚시
#통영바다낚시 #출조모집 #초보환영 #회사야유회겸낚시
#내만갈치 #다잡아생활낚시 #단체환영 #고성갑오징어낚시 #참돔
#고성감성돔낚시 #고성감성돔 #고성참돔흘림
#고성감성돔흘림 #고성배낚시 #배낚시 #독배할인