어초흘림 》4짜중초반과 중치급
12월 16일(화)
인낚 현재접속자
4,795명 (
374
)
공지사항
인낚도서관
점주선장전용 공지사항
로그인
광고/제휴 문의
운영진에게
인낚ㅣ인터넷바다낚시
0
어종별선상
어종별갯바위
낚시인조황
점주선장조황
출조정보
낚시광장
낚시지식인
낚시교실
중고장터
휴게실
인낚도서관
인낚몰
0
어종별선상
어종별 선상조황
4대돔 조황
먹물 조황
갈치 조황
볼락&전갱이
빅게임 지깅&파핑
외줄&외수질
기타 어종
어종별 갯바위조황
4대돔 조황
먹물 조황
갈치 조황
볼락&전갱이
농어&삼치&방어&부시리
기타 어종
어종별갯바위
어종별 선상조황
4대돔 조황
먹물 조황
갈치 조황
볼락&전갱이
빅게임 지깅&파핑
외줄&외수질
기타 어종
어종별 갯바위조황
4대돔 조황
먹물 조황
갈치 조황
볼락&전갱이
농어&삼치&방어&부시리
기타 어종
낚시인조황
낚시인 번개조황
낚시인조행기
스탭조행기
우리낚시동호회이야기
전국낚시동호회소개
동호회갤러리
지난 조황자료보기(년도별 조황 자료)
점주선장조황
전국 실시간 조황
선상(배)+좌대 조황
갯바위+방파제 조황
점주선장전용 공지사항
지난 조황자료보기(년도별 조황 자료)
출조정보
낚시인동행출조
점주선장 갯바위 출조
점주선장 선상출조
기상파고정보(기상청)
해상예보
물때표
파고예보(일본)
실시간해양관측예보
스마트조석예보
낚시광장
낚시계뉴스
대회 및 낚시관련 홍보
제품평가단
신상품소개
낚시지식인
Q&A 묻고 답하기
지식인 베스트
조황/포인트 문의
낚시용품 사용기
낚시투표
토론방
新어류도감
낚시교실
낚시기법소개
어종별 낚시교실
입문자교실
중급자교실
낚시용어사전
중고장터
중고장터 이용후기
더치트 사기피해 검색
팝니다
삽니다
교환합시다
무료로 드립니다
부품팝니다
부품삽니다
일반 생활용품 사고 팔기
휴게실
출석부
낚시갤러리
세상사는 이야기(자유게시판)
낚시이야기 마당
먹고사는 이야기
구인구직
칭찬합니다
어째이런일이
습득물 찾기
인낚도서관
인낚 유튜브
인낚 칼럼
블루, 그것이 알고싶다
더블테일의 두 눈으로 보는 세상
입질의추억의 피싱다이어리
나無의 바다 이야기
전문강좌
海巖의 바다낚시 이야기
이성규의 전유동낚시 강좌
조성민의 금요루어클럽
메인
어종별선상
어종별갯바위
낚시인조황
점주선장조황
출조정보
낚시광장
낚시지식인
낚시교실
중고장터
휴게실
인낚도서관
인낚몰
0
전국 실시간 조황
선상(배)+좌대 조황
갯바위+방파제 조황
점주선장전용 공지사항
지난 조황자료보기(년도별 조황 자료)
점주/선장 >
선상 + 좌대 조황
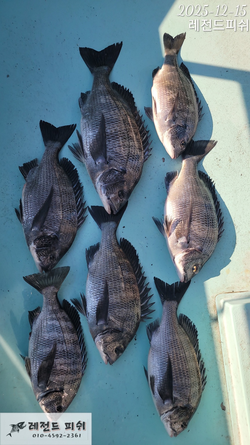
어초흘림 》4짜중초반과 중치급
레전드피쉬
0
47
12.15 14:56
● 출항지 : 거제
● 출조지 : 거제
● 출조인원 : 3~5명
네임
카드
레전드피쉬
실시간 예약
홈페이지
밴드 바로가기
유튜브/SNS
선장홀로 조업출조 했습니다.
미약한 조류속에서 마릿수로 손맛 즐겼습니다.
내일도 좋은 기상을 보이고 있습니다.
이어가 보겠습니다.
예약 가능합니다.
010 4592 2361
《밴드에 오시면 더욱많은 조황정보가 있으니 가입하기 꼭 눌러주세요》
밴드 바로가기 : https://band.us/@legendfish
예약문의는 010 4592 2361
부재시 선장마눌레게노맘 010 2480 2361
☆☆☆☆☆☆☆☆☆☆☆☆☆☆☆☆☆☆☆☆☆☆☆☆☆
《 감성돔 찌낚시 》
감성돔흘림 : 11만원
*종일낚시: 출항시간기준 8시간 전.후입니다
※독배는 시간 조정 가능합니다.
안전한 운항을 위하여 예약문의는 저녁 9시까지 부탁드립니다!
예약 010 4592 2361
출항지 : 경남 거제시 거제면 산달1길 15-8
0
신고
목록
0
댓글
로그인한 회원만 댓글 등록이 가능합니다.
×
Image Upload
로그인한 회원만 등록가능합니다.
포토
제목
이름
날짜
[거제] [감성돔]겁나 물어주네요 퍽퍽퍽!
출항지 : 거제 / 출조지 : 거제
거제여명호
2
32초전
거제여명호
16:36
[통영] 알쭈꾸미 오늘도 좋습니다
출항지 : 통영 / 출조지 : 사천
삼천포와따피싱
1
1분전
삼천포와따피싱
16:36
[거제] 거제마리너호)부/방지깅 조황입니다!!수목금 자리여유
출항지 : 거제 / 출조지 :
거제마리너호
0
1분전
거제마리너호
16:36
[고성] (로드피싱)문어&낙지 마릿수!사이즈 굿굿~17일(수)출조확정!함…
출항지 : 고성 / 출조지 : 통영
로드피싱
35
2분전
로드피싱
16:35
[거제] 먼바다흘림 왜이리 많이 터집니까 코피터지네요
출항지 : 거제 / 출조지 :
거제대양피싱
4
3분전
거제대양피싱
16:34
[진해] 아폴로거제권뚱돼지괴물56/47/오짜/사짜들의 행진와우대박/내일자…
출항지 : 진해 / 출조지 : 거제
진해유경낚시
15
4분전
진해유경낚시
16:33
1
[거제] 감성돔흘림 44,42,41,4짜급으로 두분 찐한 손맛.내일예약가…
1
출항지 : 거제 / 출조지 : 거제
거제오로라호
1
4분전
거제오로라호
16:33
[사천] 에이스 감성돔 ~좋아요
출항지 : 사천 / 출조지 : 사천
피싱에이스호
4
5분전
피싱에이스호
16:32
1
[통영] 문어(초대물들) 3Kg외 2.7K 1.8K외 키로오버만 16수~…
1
출항지 : 통영 / 출조지 : 거제
통영락피싱
9
7분전
통영락피싱
16:29
[남해] 항촌 감성돔
출항지 : 남해 / 출조지 : 남해
산다라호
10
8분전
산다라호
16:29
[포항] 12-16(실시간)방어 잡으면 쌍걸이~만쿨.수7시출항
출항지 : 포항 / 출조지 : 포항
킹덤호
11
15분전
킹덤호
16:22
[진해] 진해 감성돔 흘림 4짜외
출항지 : 진해 / 출조지 : 거제
다은피싱
16
17분전
다은피싱
16:19
[거제] 어초!! 대물 감성돔 5짜외마릿수!!예약가능
출항지 : 거제 / 출조지 : 거제
거제영웅낚시
15
18분전
거제영웅낚시
16:19
[진해] 감성돔흘림 4짜들들들..외 5수로 마무리..내일예약가능자리여유
출항지 : 진해 / 출조지 : 진해
진해행암한성낚시
18
18분전
진해행암한성낚시
16:19
1
[통영] 문어(대박) 2K外 키로오버 KKKKKKKKKKKKKKKK 대물…
1
출항지 : 통영 / 출조지 : 거제
고고피싱호
9
21분전
고고피싱호
16:16
초기화
날짜순
조회순
검색
1
2
3
4
5
Search
검색대상
제목
내용
제목+내용
회원아이디
회원아이디(댓글)
글쓴이
글쓴이(댓글)
또는
그리고
검색어
필수
검색
닫기
검색조건
제목
내용
제목+내용
회원아이디
회원아이디(코)
글쓴이
글쓴이(코)
검색어
또는
그리고
검색
인낚몰 초특가
★500★ W쿠션 멀티 수중찌 M L - 전유동 반유동 끄심바리 필수품 수중쿠션
★5,900★ 여러개 있으면 아주 좋은 EVA 시스템 백
★ 1+1 플로팅, 세미, 카본 낚시줄 행사 호수선택가능 / 택상 1+1 원줄, 목줄 행사
★6,000★ 예민함의 끝판왕 애니원찌 벵에돔찌 학공치찌
★15,000★ 오동목 구멍찌 5개 + 메쉬 찌케이스 세트
★22만원★ 40W 집어등을 이 가격에!
★5,000★ 전층쿠션 15세트입 S / L 사이즈
★2,000★ 전층쿠션 5세트입 S / L 사이즈
★10,000 미니집어등5개 + 425배터리 1개 + 스토퍼고무 10개
★13,500 深海 심해대물 갈치집어등 3개 5LED 오색 집어등 갈치낚시 필수품 건전지3개 포함 수중집어등
★9,900★ 수제공방 갈치 풀치 잔치세트 짬낚시 필수 하나로 끝
★8,650~★ 아부가르시아 카치카치다마 유동식 타이라바 - 80g / 100g / 120g / 140g