(감성돔)어장 NO 자연어초권 대물만을 노립니다~베이호(20일 자리 여유)

신상품 소개


회원 랭킹


공지사항


NaverBand
점주/선장 > 선상 + 좌대 조황

(감성돔)어장 NO 자연어초권 대물만을 노립니다~베이호(20일 자리 여유)

고성베이호 0 106
● 출항지 : 고성
감성돔 시즌 OPEN~ 대물 사냥 고고씽~
12일(금요일) 욕지권 자연어초 감성돔 흘림낚시 "고성베이호" 출조합니다.
※ 참돔 68Cm 아지카라인 이벤트, 카고 절대 사절~자연 어초여밭 흘림낚시!!!

20일(토) 06시 출발, 자연어초 감성돔낚시 "예약가능"
(감성돔)어장 낚시 NONO~ 대물 사냥 자연어초권 직항!!!
가을 바다의 주인공 감성돔 시즌이 시작됩니다~!!
  • 사용자가 올린 이미지

자연 어초 대물 사냥 전문 고성 베이호 입니다.
가을로 접어든 바다에 맞추어 가을 바다의 주인공 대물 감성돔을
대상어로 출조합니다. 어장낚시 카고 낚시 사절~ 자연어초권
대물만을 노리며 출조합니다 함께하실 분들 연락주십시오~
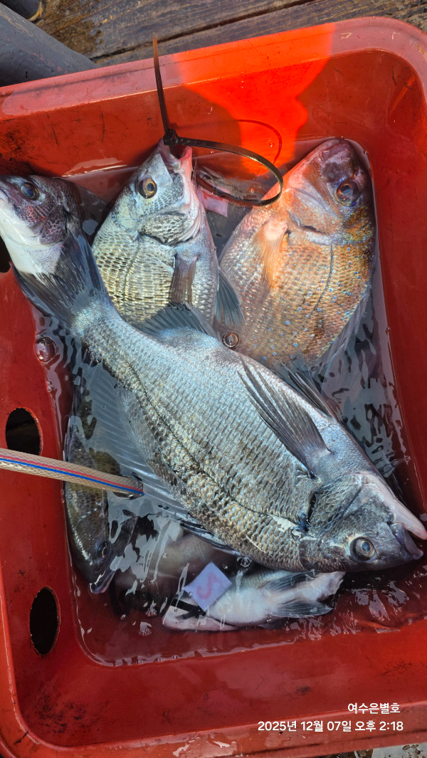
작년 이맘때 자연어초권 대물 감성돔 조황 첨부합니다~

20일(토요일) 고성출발, 남해권 자연어초 감성돔낚시 직항합니다.

▣ 고성베이호 자연 어초 여밭 흘림낚시 출조 일정 ▣
★20일(토) 6물, 자연어초 대물 감성돔낚시 "예약가능"
★21일(일) 7물, 자연어초 대물 감성돔낚시 "예약가능"
★22일(월) 8물, 자연어초 대물 감성돔낚시 "예약가능"
★23일(화) 9물, 자연어초 대물 감성돔낚시 "예약가능"
★24일(수) 10물, 자연어초 대물 감성돔낚시 "예약가능"
★25일(목) 11물, 자연어초 대물 감성돔낚시 "예약가능"
※주중, 주말 예약 가능합니다.

■ 고성 베이호 ☎010 4596 1782
■ 출항지 : 고성군 삼산면 두포리177-16 블루웨일 글램핑內
■ 밴드 : https://band.us/@bayho
  • 사용자가 올린 이미지
  • 사용자가 올린 이미지
  • 사용자가 올린 이미지
▣감성돔 참돔낚시 자연어초 여밭포인트 공략 ▣
1) (출항) 오전 6시 출발, 오후 2시경 (유동적)
2) 출조지역: 사량도(추도권)
원도권역 : 욕지도, 좌사리도, 갈도권
3) 밑밥, 미끼, 도시락 제공
- 커피, 생수,음료 등은 상시 비치되어 있습니다.

▣ 아지카(AJIKA)라인 특별시상 ▣
- 낚시줄회사 아지카(AJIKA)라인에서 감성돔 55Cm이상
최상급라인 "구레스페셜"원줄 증정(배송비 무료)합니다.

■ 고성 베이호 ☎010 4598 1782
■ 출항지 : 고성군 삼산면 두포리177-16 블루웨일 글램핑內
■ 밴드 : https://band.us/@bayho
■블로그 : https://blog.naver.com/bayfishing
  • 사용자가 올린 이미지

, , , , , , , , , , , , , , , , , , , , , ,

  • 페이스북으로 보내기
  • 트위터로 보내기
  • 구글플러스로 보내기
  • 카카오스토리로 보내기
  • 네이버밴드로 보내기
  • 네이버로 보내기
  • 텀블러로 보내기
  • 핀터레스트로 보내기
0 댓글
포토 제목
 
 

인낚 최신글


인낚 최신댓글


온라인 문의 안내


월~금 : 9:00 ~ 18:00
토/일/공휴일 휴무
점심시간 : 12:00 ~ 13:00