거제시 장승포로 마전9길16
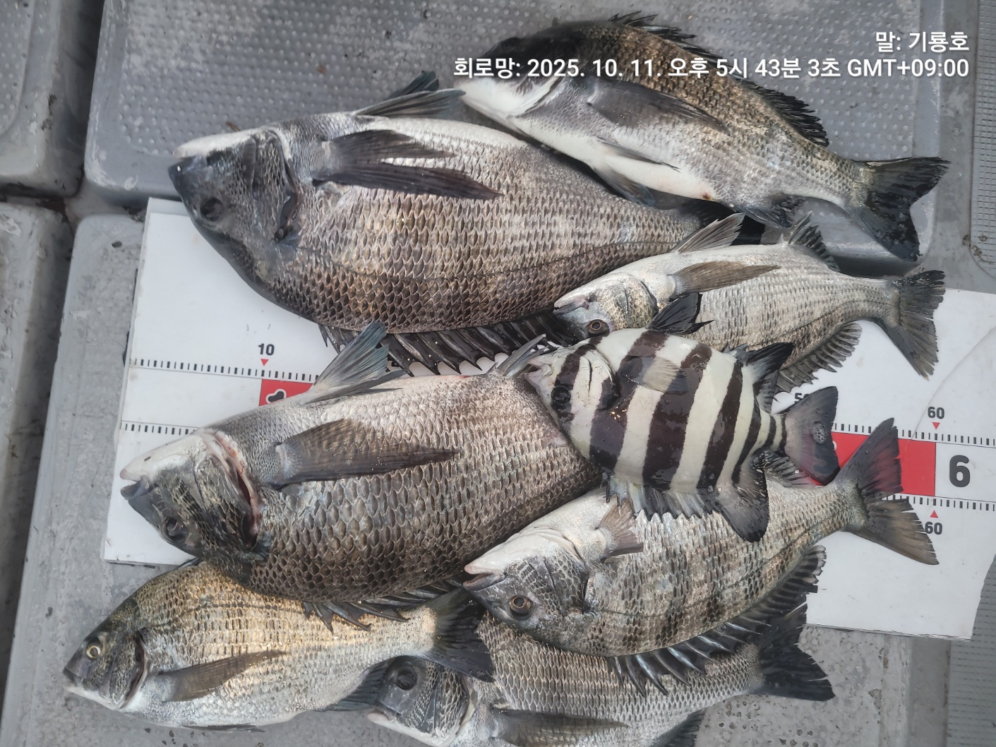
조사님 7분과 감시사냥 다녀왔습니다~
5자 2마리 외 총 다섯마리잡고 즐낚하고 입항했네요ㅎㅎ
상시 출조예약 가능합니다 :)
로그인한 회원만 등록가능합니다.