네임
카드
카드
테라호
경남 창원시 진해구 안골로 93
010-4543-1157
경남 창원시 진해구 안골로 93



반갑습니다. 진해안골 테라호입니다.
- 낚시배 위치 : 경남 창원시 진해구 안골로 93 (주차가능)
- 밴드주소 : https://band.us/@terrafishing
- 계좌번호 : 농협 302-4543-1157-91
- 예약/문의 : 010 - 4543 - 1157 (테라호 선장- 정변우)
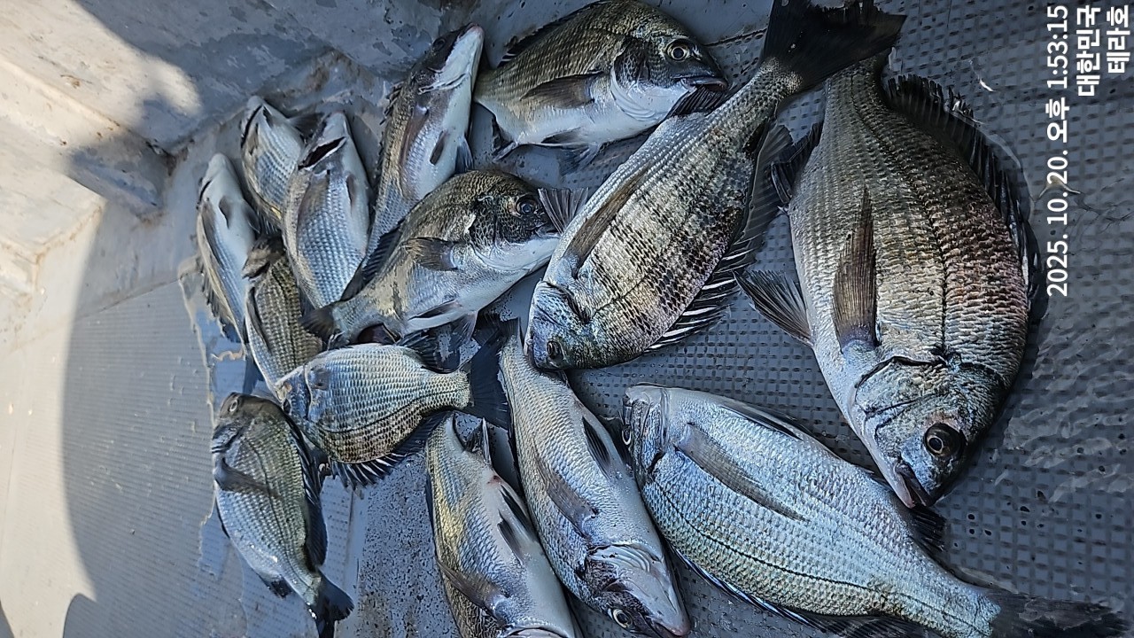
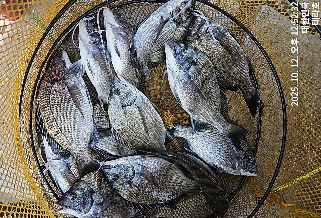
<감성돔 흘림 출조 안내>
1) 출조시간 : 05시 전후 ~ 오후 1시 전후(유동적)
2) 밑밭, 크릴 새우, 옥수수콘 등 무상제공
3) 대체미끼는 개인별 준비.
4) 점심식사,음료,물, 커피 제공
5) 선비 : 10만원
<10월 넷째주 감성돔 흘림 최신 예약현황> - 주중 독배환영
10/21(화) : 2명여유
10/22(수) : 배정비(휴항)
10/23(목) : 자리여유
10/24(금) : 자리여유
10/25(토) : 예약완료
10/26(일) : 예약완료























|
|
|
|

