








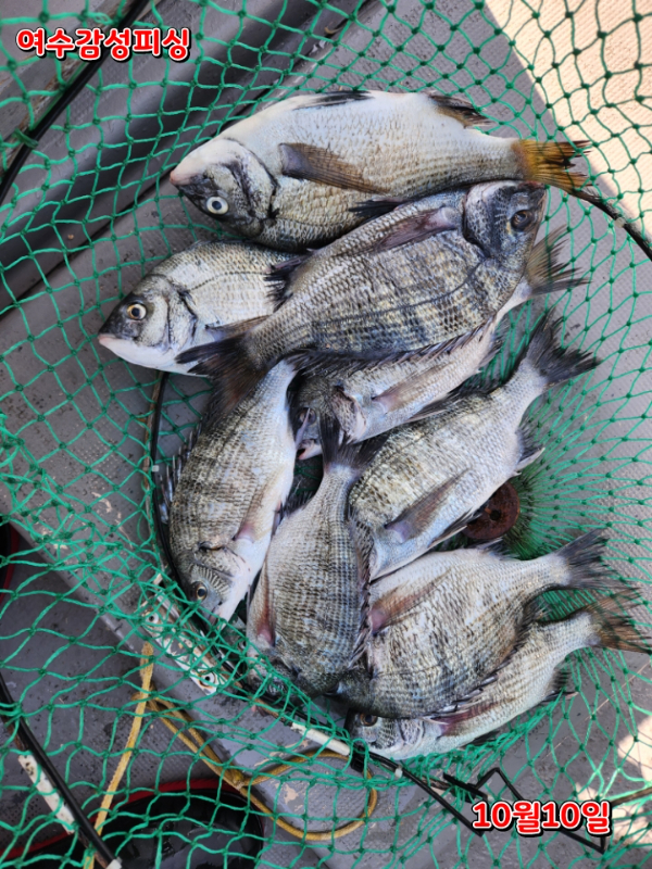
※※내일(수)감성돔출조하오니 선상24 예약. 문의주세요 지난주말 선상찌낚시 감성돔조황입니다 토요일~중치급 손맛 볼수 있었으나 일요일은 초보분들도 계시고 바람도 많이 불어 시원찮네요
참돔 감성돔 ■ 문어 ■쭈꾸미 ■갑오징어 ■ 참돔 ■ 붉바리 농어외■수질)
■선상낚시출조전문 감성피싱입니다.정원은 선장포함 9명 3톤입니다. 다양한 어종으로 출조하오니 언제든지 문의주세요
※※※예약현황※※※10월22일(수)6분예약가능 10월23일(목)예약가능 10월24일(금)예약완료 10월25일(토)예약가능 10월26일(일)예약가능 ■감성돔준비물: 1호 낚시대 막대찌(원줄2.5호이상) 1.5호막대찌이상반달멈춤고무 순간수중봉돌 1.5호이상.쿠션고무. 도래.목줄 1.5호. 바늘 3호 좁쌀봉돌(유동적)
■ 출조시간 05시30분~14시30분까지(유동적)
■생활낚시 요금안내][최소 출조인원]■참돔 : 13만 5인이상■생활낚시 : 5인이상(문어)■감성돔:12만(개인인당)■돌문어낚시 = 8만원(1인)■쭈꾸미낚시 = 8만원(1인)■농어 붉바리 외수질 문의■생활낚시는 인원부족시 출조불가 단: 독배출조가능1~2인(상담) (출조시간 자율조정)■선사제공 : 개인 점심도시락(집밥) 커피 음료 생수등■낚시대대여가능(파손시비용발생)
●예약완료 후 당일 최소 출조인원이다 차지 않는 경우 출항문자 19시 문자드립니다
●참돔(막대찌낚시) = 130,000원 (5인이상)● 참돔준비물 : 낚시대(1.5이상), 릴(5000번이상), 막대찌(3호이상), 원줄(5호이상), 목줄(3호이상), 낚시바늘(10~12호)
생활낚시독배환영(도다리 쭈꾸미 갑오징 돌문어)독배 상담
[참돔 감성돔 독배 요금 및 안내]■ 주중 : 4~7명(600,000원) + 1인추가당(50,000)■ 주말 : 4~7명(650,000원)감성돔
● 독배는 밑밥, 미끼, 식사포함되지 않으며, 별도로 구매가능합니다.
● 생활낚시 또는 감성돔, 참돔으로 구분하여 독배가 가능합니다 [위치안내 및 입금안내]
■ 1~배타는곳:여수시 화정면 화백해안길333(화정면백야리)백야낚시앞
● 2~배타는곳:여수시 화양면 세포당머리길 28-8 (남해수산연구소밑)
● 배타는곳은 주차장 협소로 (전날18시쯤)변동될수 있으니 전날 문자 드립니다
● 신분증 필히 지참부탁드립니다.●농협(김진우)352-0844-0426-63
[예약문의]● 선장(김진우)010-5439-4836 (부재시 : 010-9191-1864)● 선입금하셔야 예약이 완료됩니다.
[취소/환불안내]●독배예약 후 1일전 취소는 불가~●독배예약 후 2일전 취소는 50% 환불됩니다.●독배예약 후 3일전 취소는 전액환불됩니다.
[출조안내]- 모든 출조 일정은 선장님 결정에 의해 이루어집니다.- 기상악화시 100% 환불처리 됩니다.

*** 여수 감성피싱 예약 안내 ***
예약문의 : 010-5439-4836
오시는길 : 전남 여수시 화양면 세포당머리길 28-8
홈페이지 : https://gamsung.sunsang24.com/