감성돔 찌낚시 조황입니다
12월 10일(수)
인낚 현재접속자
4,874명 (
326
)
공지사항
인낚도서관
점주선장전용 공지사항
로그인
광고/제휴 문의
운영진에게
인낚ㅣ인터넷바다낚시
인낚몰
0
어종별선상
어종별갯바위
낚시인조황
점주선장조황
출조정보
낚시광장
낚시지식인
낚시교실
중고장터
휴게실
인낚도서관
인낚몰
0
어종별선상
어종별 선상조황
4대돔 조황
먹물 조황
갈치 조황
볼락&전갱이
빅게임 지깅&파핑
외줄&외수질
기타 어종
어종별 갯바위조황
4대돔 조황
먹물 조황
갈치 조황
볼락&전갱이
농어&삼치&방어&부시리
기타 어종
어종별갯바위
어종별 선상조황
4대돔 조황
먹물 조황
갈치 조황
볼락&전갱이
빅게임 지깅&파핑
외줄&외수질
기타 어종
어종별 갯바위조황
4대돔 조황
먹물 조황
갈치 조황
볼락&전갱이
농어&삼치&방어&부시리
기타 어종
낚시인조황
낚시인 번개조황
낚시인조행기
스탭조행기
우리낚시동호회이야기
전국낚시동호회소개
동호회갤러리
지난 조황자료보기(년도별 조황 자료)
점주선장조황
전국 실시간 조황
선상(배)+좌대 조황
갯바위+방파제 조황
점주선장전용 공지사항
지난 조황자료보기(년도별 조황 자료)
출조정보
낚시인동행출조
점주선장 갯바위 출조
점주선장 선상출조
기상파고정보(기상청)
해상예보
물때표
파고예보(일본)
실시간해양관측예보
스마트조석예보
낚시광장
낚시계뉴스
대회 및 낚시관련 홍보
제품평가단
신상품소개
낚시지식인
Q&A 묻고 답하기
조황/포인트 문의
주간 베스트
낚시용품 사용기
낚시투표
토론방
新어류도감
낚시교실
낚시기법소개
어종별 낚시교실
입문자교실
중급자교실
낚시용어사전
중고장터
중고장터 이용후기
더치트 사기피해 검색
팝니다
삽니다
교환합시다
무료로 드립니다
부품팝니다
부품삽니다
일반 생활용품 사고 팔기
휴게실
출석부
낚시갤러리
세상사는 이야기(자유게시판)
낚시이야기 마당
먹고사는 이야기
구인구직
칭찬합니다
어째이런일이
습득물 찾기
메인
어종별선상
어종별갯바위
낚시인조황
점주선장조황
출조정보
낚시광장
낚시지식인
낚시교실
중고장터
휴게실
0
전국 실시간 조황
선상(배)+좌대 조황
갯바위+방파제 조황
점주선장전용 공지사항
지난 조황자료보기(년도별 조황 자료)
점주/선장 >
선상 + 좌대 조황
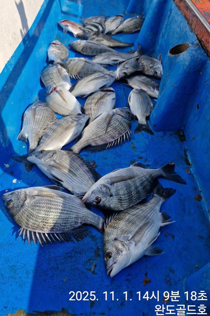
감성돔 찌낚시 조황입니다
완도골드호
0
67
11.01 18:13
● 출항지 : 완도
● 출조지 : 목포
● 출조인원 : 1~2명
네임
카드
완도골드호
전남 완도군 완도읍 석장길 15-18 완도골드호
010-3870-8167
실시간 예약
홈페이지
밴드 바로가기
유튜브/SNS
북서풍이 심하게불어
아쉬운 조황입니다
조사님들 수고하셨습니다
다음주 쭉~예약됩니다
출조문의 010-3870-8167 골드호
0
신고
목록
0
댓글
로그인한 회원만 댓글 등록이 가능합니다.
×
Image Upload
로그인한 회원만 등록가능합니다.
포토
제목
이름
날짜
[마산] 카고 감성돔 4짜 4
출항지 : 마산 / 출조지 : 거제
마산스텔라호
2
2분전
마산스텔라호
20:37
[진해] 9일 야간낙지 왕낙지들~!!문어,쭈꾸미는 보너스~!!(예약가능)
출항지 : 진해 / 출조지 : 진해
진해라코피싱
32
9분전
진해라코피싱
20:30
[진해] "대물감성돔" 5짜5짜연일 탕탕~ 4짜4짜4짜들과 마릿수 조황~…
출항지 : 진해 / 출조지 : 거제
창원사랑호
88
14분전
창원사랑호
20:25
[통영] 통영 서하호 선장 혼자 조업 출항 카고 4시간 다녀왔습니다.
출항지 : 통영 / 출조지 :
서하피싱
27
27분전
서하피싱
20:12
[통영] 통영 서하호 25년 문어시즌 종료합니다
출항지 : 통영 / 출조지 :
서하피싱
9
27분전
서하피싱
20:12
[사천] 선비 5만원.쭈꾸미 찾아 삼백만리...덩치는 솥두껑이었습니다!!
출항지 : 사천 / 출조지 :
삼천포모개섬피싱
23
34분전
삼천포모개섬피싱
20:05
[통영] [통영대교피싱]늦은 조황소식 전합니다~
출항지 : 통영 / 출조지 :
통영대교피싱
20
35분전
통영대교피싱
20:04
[거제] [장승포 기룡호] 슈퍼전갱이 조황입니다 :)
출항지 : 거제 / 출조지 : 거제
기룡호선장
20
38분전
기룡호선장
20:01
[진해] 2.4K외 야간문어 손맛굿( 목,금,~야간,,토,일~주간예약중
출항지 : 진해 / 출조지 : 진해
진해골드스타2
33
39분전
진해골드스타2
20:00
[부산] 덩치급 문어들.
출항지 : 부산 / 출조지 : 부산
서린호
9
39분전
서린호
19:59
[진해] 5짜5짜4짜 대물감성돔!낼 자리여유~(목금토일 예약가능)
출항지 : 진해 / 출조지 : 거제
진해수성호
81
44분전
진해수성호
19:55
[진해] (원도권)대물 문어 시즌 K오버~K급 주렁 주렁~강민호(12일 …
출항지 : 진해 / 출조지 : 진해
진해강민호
45
44분전
진해강민호
19:55
[진해] 12/10 오늘도 대물돌문어외 k급으로 손맛 굿~~ 내일예약가…
출항지 : 진해 / 출조지 : 진해
진해삼포청해낚시
16
47분전
진해삼포청해낚시
19:52
[사천] 왕주꾸미" 조황/목,금 5만원 출조(자리 널널)
출항지 : 사천 / 출조지 :
삼천포해모수호
21
59분전
삼천포해모수호
19:40
[통영] 유촌 형만레저 선외기 감성돔 문어 조황입니다
출항지 : 통영 / 출조지 :
유촌형만레저
33
1시간전
유촌형만레저
19:34
초기화
날짜순
조회순
검색
1
2
3
4
5
Search
검색대상
제목
내용
제목+내용
회원아이디
회원아이디(댓글)
글쓴이
글쓴이(댓글)
또는
그리고
검색어
필수
검색
닫기
검색조건
제목
내용
제목+내용
회원아이디
회원아이디(코)
글쓴이
글쓴이(코)
검색어
또는
그리고
검색
인낚몰 초특가
★500★ W쿠션 멀티 수중찌 M L - 전유동 반유동 끄심바리 필수품 수중쿠션
★5,900★ 여러개 있으면 아주 좋은 EVA 시스템 백
★ 1+1 플로팅, 세미, 카본 낚시줄 행사 호수선택가능 / 택상 1+1 원줄, 목줄 행사
★6,000★ 예민함의 끝판왕 애니원찌 벵에돔찌 학공치찌
★15,000★ 오동목 구멍찌 5개 + 메쉬 찌케이스 세트
★22만원★ 40W 집어등을 이 가격에!
★5,000★ 전층쿠션 15세트입 S / L 사이즈
★2,000★ 전층쿠션 5세트입 S / L 사이즈
★10,000 미니집어등5개 + 425배터리 1개 + 스토퍼고무 10개
★13,500 深海 심해대물 갈치집어등 3개 5LED 오색 집어등 갈치낚시 필수품 건전지3개 포함 수중집어등
★9,900★ 수제공방 갈치 풀치 잔치세트 짬낚시 필수 하나로 끝
★8,650~★ 아부가르시아 카치카치다마 유동식 타이라바 - 80g / 100g / 120g / 140g