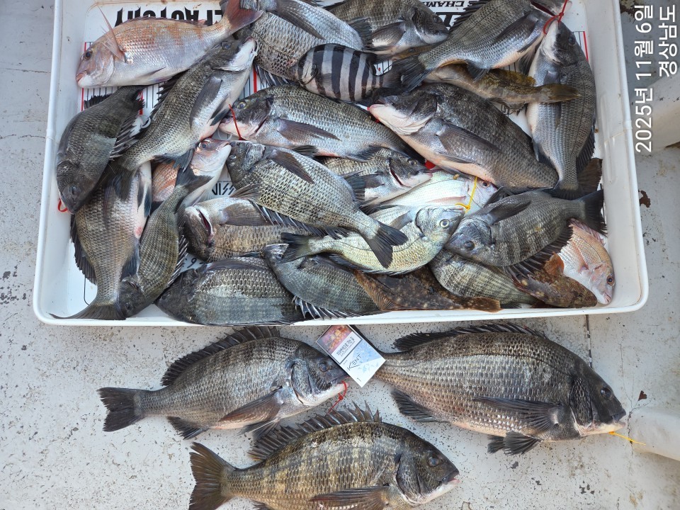
사계절호 감성돔 어초흘림조황 (5짜,4짜,4짜~~)
12월 11일(목)
인낚 현재접속자
3,689명 (
200
)
공지사항
인낚도서관
점주선장전용 공지사항
로그인
광고/제휴 문의
운영진에게
인낚ㅣ인터넷바다낚시
인낚몰
0
어종별선상
어종별갯바위
낚시인조황
점주선장조황
출조정보
낚시광장
낚시지식인
낚시교실
중고장터
휴게실
인낚도서관
인낚몰
0
어종별선상
어종별 선상조황
4대돔 조황
먹물 조황
갈치 조황
볼락&전갱이
빅게임 지깅&파핑
외줄&외수질
기타 어종
어종별 갯바위조황
4대돔 조황
먹물 조황
갈치 조황
볼락&전갱이
농어&삼치&방어&부시리
기타 어종
어종별갯바위
어종별 선상조황
4대돔 조황
먹물 조황
갈치 조황
볼락&전갱이
빅게임 지깅&파핑
외줄&외수질
기타 어종
어종별 갯바위조황
4대돔 조황
먹물 조황
갈치 조황
볼락&전갱이
농어&삼치&방어&부시리
기타 어종
낚시인조황
낚시인 번개조황
낚시인조행기
스탭조행기
우리낚시동호회이야기
전국낚시동호회소개
동호회갤러리
지난 조황자료보기(년도별 조황 자료)
점주선장조황
전국 실시간 조황
선상(배)+좌대 조황
갯바위+방파제 조황
점주선장전용 공지사항
지난 조황자료보기(년도별 조황 자료)
출조정보
낚시인동행출조
점주선장 갯바위 출조
점주선장 선상출조
기상파고정보(기상청)
해상예보
물때표
파고예보(일본)
실시간해양관측예보
스마트조석예보
낚시광장
낚시계뉴스
대회 및 낚시관련 홍보
제품평가단
신상품소개
낚시지식인
Q&A 묻고 답하기
조황/포인트 문의
주간 베스트
낚시용품 사용기
낚시투표
토론방
新어류도감
낚시교실
낚시기법소개
어종별 낚시교실
입문자교실
중급자교실
낚시용어사전
중고장터
중고장터 이용후기
더치트 사기피해 검색
팝니다
삽니다
교환합시다
무료로 드립니다
부품팝니다
부품삽니다
일반 생활용품 사고 팔기
휴게실
출석부
낚시갤러리
세상사는 이야기(자유게시판)
낚시이야기 마당
먹고사는 이야기
구인구직
칭찬합니다
어째이런일이
습득물 찾기
메인
어종별선상
어종별갯바위
낚시인조황
점주선장조황
출조정보
낚시광장
낚시지식인
낚시교실
중고장터
휴게실
0
전국 실시간 조황
선상(배)+좌대 조황
갯바위+방파제 조황
점주선장전용 공지사항
지난 조황자료보기(년도별 조황 자료)
점주/선장 >
선상 + 좌대 조황
사계절호 감성돔 어초흘림조황 (5짜,4짜,4짜~~)
사계절호
0
398
11.07 15:26
● 출항지 : 마산
● 출조지 : 마산
● 출조인원 : 6~10명
네임
카드
사계절호
실시간 예약
홈페이지
밴드 바로가기
유튜브/SNS
안녕하십니까 진동사계절호 감성돔 어초흘림조황입니다
5짜,4짜,4짜,4짜 ~~~
올해 첫5짜 올라오네요
대물들 물고늘어나니 굵은목줄 준비하세요
금일 열낚하신 조사님들 고생하셨습니다
11/8토요일~예약완료
11/9일요일~예약가능
11/10월요일~예약가능
11/12화요일~예약가능
(주소~마산 진동면 요장리267-37번지 창원 서부수협앞 )
(연락처~010-6563-2364)
(은행계좌~기업은행171-021614-02-018 김성호)
(선비~내만 10만원 이수도,외포 11만원,밑밥 미끼포함)
(출조시간~오전 5시 출항 오후 1~2시 입항)
(감성돔 어초흘림 준비물)
낚시대 : 1~1.5호 흘림대
릴 : 2500~3000 스피닝 릴
라인:원줄2~3호 목줄 2~2.5호
찌:2~3호 막대찌
0
신고
목록
0
댓글
로그인한 회원만 댓글 등록이 가능합니다.
×
Image Upload
로그인한 회원만 등록가능합니다.
포토
제목
이름
날짜
[진해] 10일야간문어 대박~3.4K1.7K외먹폭( 오늘야간예약중
출항지 : 진해 / 출조지 : 진해
진해골드스타2
1
4분전
진해골드스타2
08:04
[마산] 구산면 썬피싱 ㅡ 호래기 조황 계속 출조합니다
출항지 : 마산 / 출조지 : 마산
구산면썬피싱
8
5분전
구산면썬피싱
08:03
[통영] [부성피싱]왕칼치+왕열기 달이지니 갈치조황이 점점 살아나네요 쿨…
출항지 : 통영 / 출조지 : 통영
통영부성피싱호
9
6분전
통영부성피싱호
08:02
[여수,광양] <여수뉴피닉스호> 왕쭈꾸미ㅡ 내일 금요일부터 금,토,일, 자리많…
출항지 : 여수,광양 / 출조지 : 여수,광양
여수피닉스피싱
5
11분전
여수피닉스피싱
07:56
[통영] 대물감성돔 풍화리 선외기 신성호 쭈꾸미 갑오징어 문어 카고 흘림…
출항지 : 통영 / 출조지 :
신성호낚시레저
7
16분전
신성호낚시레저
07:51
[통영] 통영세린호 12/11일 철수조황사진 대갈치 아직 끝나지 안았다
출항지 : 통영 / 출조지 :
통영세린피싱
37
33분전
통영세린피싱
07:34
[포항] 10일 오후 중삼치 방어
출항지 : 포항 / 출조지 : 포항
포항신신카이져호
9
33분전
포항신신카이져호
07:34
[통영] 은빛나래피싱 먼바다 대갈치 11일 입항 사진 입니다. 약속의 새…
출항지 : 통영 / 출조지 : 통영
은빛나래피싱
54
39분전
은빛나래피싱
07:29
[진해] 윤피싱 주말 쭈꾸미 출조합니다!!
출항지 : 진해 / 출조지 : 진해
진해윤피싱
19
1시간전
진해윤피싱
06:58
[진해] 칠성호 감성돔 흘림 조황입니다 제법 괜찮네요 ~
출항지 : 진해 / 출조지 :
진해형제피싱
34
1시간전
진해형제피싱
06:38
[진해] 칠성호 감성돔 흘림 조황입니다 제법 괜찮네요 ~
출항지 : 진해 / 출조지 :
진해형제피싱
15
2시간전
진해형제피싱
06:31
[사천] 알쭈꾸미 오늘도 굿~금토일 주말 출조모집 합니다.
출항지 : 사천 / 출조지 : 남해
사천new본전피싱
19
2시간전
사천new본전피싱
06:24
[진해] 감성돔(카고)ㅡ5짜 .4짜후반.중반.초반급 마릿수로 손맛가득(예…
출항지 : 진해 / 출조지 : 진해
진해레져
52
2시간전
진해레져
06:15
[진해] "감성돔" 46.45외 4짜들과 마릿수 조황~(내일 예약가능)
출항지 : 진해 / 출조지 : 거제
창원사랑호
29
2시간전
창원사랑호
06:03
[통영] ((뽈락.왕열기))간밤 곰발왕뽈 ㆍ신짝왕열기 쿨러잇빠이. 토요일…
출항지 : 통영 / 출조지 :
통영짱낚시
103
3시간전
통영짱낚시
05:33
초기화
날짜순
조회순
검색
1
2
3
4
5
Search
검색대상
제목
내용
제목+내용
회원아이디
회원아이디(댓글)
글쓴이
글쓴이(댓글)
또는
그리고
검색어
필수
검색
닫기
검색조건
제목
내용
제목+내용
회원아이디
회원아이디(코)
글쓴이
글쓴이(코)
검색어
또는
그리고
검색
인낚몰 초특가
★500★ W쿠션 멀티 수중찌 M L - 전유동 반유동 끄심바리 필수품 수중쿠션
★5,900★ 여러개 있으면 아주 좋은 EVA 시스템 백
★ 1+1 플로팅, 세미, 카본 낚시줄 행사 호수선택가능 / 택상 1+1 원줄, 목줄 행사
★6,000★ 예민함의 끝판왕 애니원찌 벵에돔찌 학공치찌
★15,000★ 오동목 구멍찌 5개 + 메쉬 찌케이스 세트
★22만원★ 40W 집어등을 이 가격에!
★5,000★ 전층쿠션 15세트입 S / L 사이즈
★2,000★ 전층쿠션 5세트입 S / L 사이즈
★10,000 미니집어등5개 + 425배터리 1개 + 스토퍼고무 10개
★13,500 深海 심해대물 갈치집어등 3개 5LED 오색 집어등 갈치낚시 필수품 건전지3개 포함 수중집어등
★9,900★ 수제공방 갈치 풀치 잔치세트 짬낚시 필수 하나로 끝
★8,650~★ 아부가르시아 카치카치다마 유동식 타이라바 - 80g / 100g / 120g / 140g